Title: Transactions of the American Society of Civil Engineers, Vol. LXVIII, Sept. 1910
Author: Bertram Henry Majendie Hewett
W. L. Brown
Release date: February 21, 2013 [eBook #42149]
Most recently updated: October 23, 2024
Language: English
Credits: Produced by Juliet Sutherland, Martin Mayer and the Online
Distributed Proofreading Team at http://www.pgdp.net
Transcribers' Notes:
Some tables don't sum to the numbers indicated; no corrections have been
made. All numbers are from the original.
Minor inconsistencies in hyphenation have been retained.
[A] Presented at the meeting of June 1st, 1910.
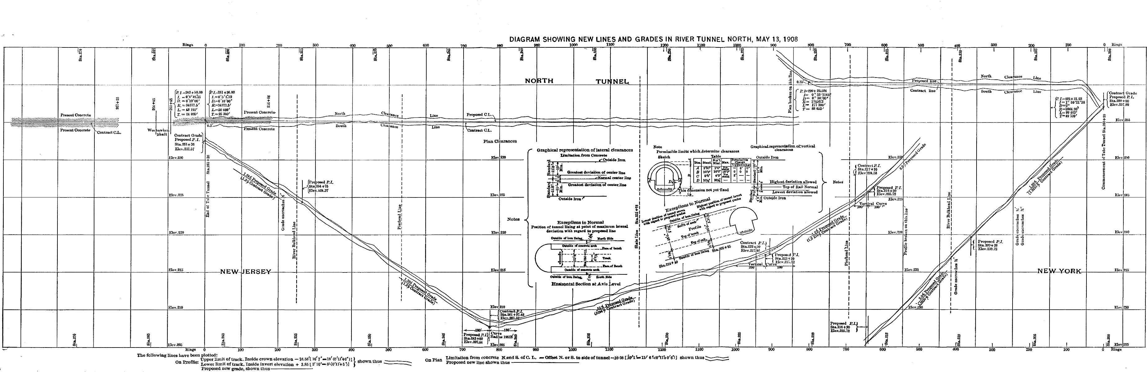
The section of the Pennsylvania Railroad Tunnel work described in this paper is that lying between Tenth Avenue, New York City, and the large shaft built by the Company at Weehawken, N. J., and thus comprises the crossing of the North or Hudson River, the barrier which has stood for such a long time between the railroads and their possession of terminal stations in New York City. The general plan and section, Plate XXVIII, shows the work included.
This paper is written from the point of view of those engaged by the Chief Engineer of the Railroad Company to look after the work of construction in the field. The history of the undertaking is not included, the various phases through which many of the designs and plans passed are not followed, nor are the considerations regarding foundations under the subaqueous portions of the tunnels and the various tests made in connection with this subject set out, as all these matters will be found in other papers on these tunnels.
This paper only aims to describe, as briefly as possible, the actual designs which were finally adopted, the actual conditions met on the ground, and the methods of construction adopted by the contractors.
For easy reference, and to keep the descriptions of work of a similar character together, the subject will be treated under the four main headings, viz.: Shafts, Plant, Land Tunnels, and River Tunnels.
It is not intended to give much length to the description of the Shafts or the Land Tunnels, as more interest will probably center in the River Tunnels.
The shafts did not form part of the regular tunnel contract, but were built under contract by the United Engineering and Contracting Company while the contract plans for the tunnel were being prepared. In this way, when the tunnel contracts were let, the contractor found the shafts ready, and he could get at his work at once.
Two shafts were provided, one on the New York side and one on the New Jersey side. Their exact situation is shown on Plate XXVIII. They were placed as near as possible to the point at which the disappearance of the rock from the tunnels made it necessary to start the shield-driven portion of the work.
The details of the shafts will now be described briefly.
The Manhattan Shaft.—The Manhattan Shaft is located about 100 ft. north of the tunnel center; there was nothing noticeable about its construction. General figures relating to both shafts are given in Table 1.
The Weehawken Shaft.—The Weehawken Shaft is shown in Fig. 1. This, as will be seen from Table 1, was a comparatively large piece of work. The shaft is over the tunnels, and includes both of them. In the original design the wall of the shaft was intended to follow in plan the property line shown in Fig. 2, and merely to extend down to the surface of the rock, which, as disclosed by the preliminary borings, was here about 15 ft. below the surface. However, as the excavation proceeded, it was found that this plan would not do, as the depth to the rock surface varied greatly, and was often much lower than expected; the rock itself, moreover, was very treacherous, the cause being that the line of junction between the triassic sandstone, which is here the country rock, and the intrusive trap of the Bergen Hill ridge, occurs about one-third of the length of the shaft from its western end, causing more or less disintegration of both kinds of rock. Therefore it was decided to line the shaft with concrete throughout its entire depth, the shape being changed to a rectangular plan, as shown in the drawings. At the same time that the shaft was excavated, a length of 40 ft. of tunnels at each end of it was taken out, also on account of the treacherous nature of the ground, thus avoiding risk of injury to the shaft when the tunnel contractors commenced work. There was much trouble with floods during the fall of 1903, and numerous heavy falls of ground occurred, in spite of extreme care and much heavy timbering. The greatest care was also taken in placing the concrete lining, and the framing to support the forms was carefully designed and of heavy construction; the forms were of first-class workmanship, and great care was taken to keep them true to line. A smooth surface was given to the concrete by placing a 3-in. layer of mortar at the front of the walls and tamping this dry facing mixture well down with the rest of the concrete. The east and west walls act as retaining walls, while those on the north and south are facing walls, and are tied to the rock with steel rods embedded and grouted into the rock and into the concrete. Ample drainage for water at the back of the wall was provided by upright, open-joint, vitrified drains at frequent intervals, with dry-laid stone drains leading to them from all wet spots in the ground. A general view of the finished work is shown in Fig. 1, Plate XXIX, and Table 1 gives the most important dates and figures relating to this shaft.
TABLE 1.— Particulars of Shafts on the North River Tunnels of the Pennsylvania Railroad Tunnels Into New York City.
| Location. | Depth, in feet. | Width, in feet. | Length, in feet. | Excavation (including drifts) | Concrete, in cubic yards. | Date commenced. | Date finished. | Ground met: | Lined with: | Cost to Railroad Company. | Cost per cubic foot. |
|---|---|---|---|---|---|---|---|---|---|---|---|
| Manhattan: 11th Avenue and 32d Street. | 55 | 22 | 32 | 2,010 | 209 | June 10th, 1903. | December 11th, 1903. | Top 13 ft. filled; red mica schist and granite. | Concrete reinforced with steel beams down to rock. | $12,943.75 | $0.335 |
| Weehawken: Baldwin Avenue. | 76 | At bottom 56, at top 100 | At bottom 115.75, at top 154 | 55,315 | 9,810 | June 11th, 1903. | September 1st, 1904 | Top 6 ft. filled, 30ft. sand hardpan, decomposed rock (trap and sandstone)below. | Concrete with steel tie-rods in rock. | 166,162,98 | 0.337 |
After the tunnel work was finished, both shafts were provided with stairs leading to the surface, a protective head-house was placed over the New York Shaft, and a reinforced concrete fence, 8 ft. high, was built around the Weehawken Shaft on the Company's property line, that is, following the outline of the shaft as originally designed.
Before beginning a description of the tunnel work, it may be well to set out in some detail the arrangements made on the surface for conducting the work underground.
All the work was carried on from two shafts, one at Eleventh Avenue and 32d Street, New York City—called the Manhattan Shaft—and one at Baldwin Avenue, Weehawken, N. J.—called the Weehawken Shaft. [Pg 157]
The characteristics of the two sites were radically different, and called for different methods of handling the transportation problem. The shaft site at Manhattan is shown on Plate XXX. It will be seen that there was not much room, in fact, the site was too cramped for comfort; the total area, including the space occupied by the old foundry, used for power-houses, offices, etc., was about 3,250 sq. yd. This made it necessary to have two stages, one on the ground level for handling materials into the yard, and an overhead gantry on which the excavated materials were handled off the premises. The yard at Weehawken was much larger; it is also shown on Plate XXX. Its area was about 15,400 sq. yd. in the yard proper, and there was an additional space of about 750 sq. yd. alongside the wharf at the "North Slip," on the river front, connected with the main portion of the yard by an overhead trestle.
All the cars at Manhattan were moved by hand, but at Weehawken two electric locomotives with overhead transmission were used.
At the Manhattan Shaft the power-house plant was installed on the ground floor of the old foundry building which occupied the north side of the leased area. This was a brick building, quite old, and in rather a tumble-down condition when the Company took possession, and in consequence it required quite a good deal of repair and strengthening work. The first floor of the building was used by the contractor as offices, men's quarters, doctor's offices, and so on, and on the next one above, which was the top floor, were the offices occupied by the Railroad Company's field engineering staff.
On the Weehawken side, the plant was housed in a wooden-frame, single-story structure, covered with corrugated iron. It was rectangular in plan, measuring 80 by 130 ft.
At both sides of the river the engines were bedded on solid concrete on a rock foundation.
The installation of the plant on the Manhattan side occupied from May, 1904, to April, 1905, and on the Weehawken side from September, 1904, to April, 1905. Air pressure was on the tunnels at the New York side on June 25th, 1905, and on the Weehawken side on the 29th of the same month.
The plants contained in the two power-houses were almost identical, there being only slight differences in the details of arrangement due to local conditions. A list of the main items of the plant at one power-house is shown in Table 2.
TABLE 2.—Plant at One Power-House.
| No. of items | Description of item. | Cost. |
|---|---|---|
| Three | 500-h.p. water-tube Sterling boilers | $15,186 |
| Two | Feed pumps, George F. Blake Manufacturing Company | 740 |
| One | Henry R. Worthington surface condenser | 6,539 |
| Two | Electrically-driven circulating pumps on river front | 5,961 |
| Three | Low-pressure compressors, Ingersoll-Sergeant Drill Company | 33,780 |
| One | High-pressure compressor, Ingersoll-Sergeant Drill Company | 6,665 |
| Three | Hydraulic power pumps, George F. Blake Manufacturing Company | 3,075 |
| Two | General Electric Company's generators coupled to Ball and Wood engines | 7,626 |
| Total cost of main items of plant | $79,572 | |
| Sumary of Cost of One Plant. | ||
| Total cost of main items of plant | $79,572 | |
| Cost of four shields (including installation, demolition, large additions and renewals, piping, pumps, etc.) | 103,560 | |
| Cost of piping, connections, drills, derricks, installation of offices and all miscellaneous plant | 101,818 | |
| Cost of installation, including preparation of site | 39,534 | |
| Total prime cost of one power-house plant | $324,484 | |
The following is a short description of each item of plant in Table 2:
Boilers.—At each shaft there were three 500-h.p., water-tube boilers, Class F (made by Sterling and Company, Chicago, Ill.). They had independent steel stacks, 54 in. in diameter and 100 ft. above grate level; each had 5,000 sq. ft. of heating surface and 116 sq. ft. of grate area. The firing was by hand, and there were shaking grates and four doors to each furnace. Under normal conditions of work, two boilers at each plant were able to supply all the steam required. The average working pressure of the steam was 135 lb. per sq. in.
The steam piping system was on the loop or by-pass plan. The diameter of the pipes varied from 14 in. in the main header to 10 in. in the body of the loop. The diameter of the exhaust steam main increased from 8 in. at the remote machines to 20 in., and then to 30 in., at the steam separator, which in turn was connected with the condensers. A pipe with an automatic relief valve from the exhaust to the atmosphere was used when the condensers were shut down. All piping was of the standard, flanged extra-heavy type, with bronze-seated gate-valves on the principal lines, and globe-valves on some of the auxiliary ones. There was an 8-in. water leg on the main header fitted with a Mason-Kelly trap, and other smaller water traps were set at suitable intervals.
Each boiler was fitted with safety valves, and there were automatic release valves on the high-and low-pressure cylinders of each compressor, as well as on each air receiver.
Buckwheat coal was used, and was delivered to the bins on the Manhattan side by teams and on the Weehawken side by railroad cars or in barges, whence it was taken to the power-house by 2-ft. gauge cars. An average of 20 tons of coal in each 24 hours was used by each plant.
The water was taken directly from the public service supply main. The daily quantity used was approximately 4,000 gal. for boiler purposes and 4,400 gal. for general plant use. Wooden overhead tanks having a capacity of 14,000 gal. at each plant served as a 12-hour emergency supply.
Feed Pumps.—There were two feed pumps at each plant. They had a capacity of 700 cu. ft. per min., free discharge. The plungers were double, of 6-in. diameter, and 10-in. stroke, the steam cylinders were of 10-in. diameter and 10-in. stroke. An injector of the "Metropolitan Double-Tube" type, with a capacity of 700 cu. ft. per min., was fitted to each boiler for use in emergencies.
The feed-water heater was a "No. 9 Cochrane," guaranteed to heat 45,000 lb. of water per hour, and had a total capacity of 85.7 cu. ft. It was heated by the exhaust steam from the non-condensing auxiliary plant.
Condenser Plant.—There were two surface condensers at each plant. Each had a cooling surface sufficient to condense 22,500 lb. of steam per hour, with water at a temperature of 70° Fahr. and barometer at 30 in., maintaining a vacuum of 26 in. in the condenser. Each was fitted with a Blake, horizontal, direct-acting, vacuum pump.
Circulating-Water Pumps.—Two circulating-water pumps, supplying salt water directly from the Hudson River, were placed on the wharf. They were 8-in. centrifugal pumps, each driven by a 36-h.p., General Electric Company's direct-current motor (220 volts and 610 rev. per min.), the current being supplied from the contractor's power-house generators. The pumps were run alternately 24 hours each at a time. Those on the Manhattan side were 1,300 ft. from the power-house, and delivered their water through a 16-in. pipe; those on the Weehawken side were 450 ft. away, and delivered through a 14-in. pipe. There was also a direct connection with the city mains, in case of an accident to the salt-water pumps. [Pg 161]
Low-Pressure Compressors.—At each plant there were three low-pressure compressors. These were for the supply of compressed air to the working chambers of the subaqueous shield-driven tunnels. They were also used on occasions to supply compressed air to the cylinders of the high-pressure compressors, thus largely increasing the capacity of the latter when hard pressed by an unusual call on account of heavy drilling work in the rock tunnels. They were of a new design, of duplex Corliss type, having cross-compound steam cylinders, designed to operate condensing, but capable of working non-condensing; the air cylinders were simple duplex. The steam cylinder valves were of the Corliss release type, with vacuum dash-pots. The valves in the air cylinders were mechanically-operated piston valves, with end inlet and discharge. The engines used steam at 135 lb. pressure. The high-and low-pressure steam cylinders were 14 in. and 30 in. in diameter, respectively, with a stroke of 36 in. and a maximum speed of 135 rev. per min. The two air cylinders were 23½ in. in diameter, and had a combined capacity of 35.1 cu. ft. of free air per revolution, and, when running at 125 rev. per min., each machine had an actual capacity of 4,389 cu. ft. of free air per min., or 263,340 cu. ft. per hour. The air cylinders were covered by water-jackets through which salt water from the circulating pumps flowed. A gauge pressure of 50 lb. of air could be obtained.
Each compressor was fitted with an automatic speed and air-pressure regulator, designed to vary the cut-off according to the volume of air required, and was provided with an after-cooler fitted with tinned-brass tube and eight Tobin-bronze tube-plates having 809 sq. ft. of cooling surface; each one was capable of reducing the temperature of the air delivered by it to within 10° Fahr. of the temperature of the cooling water when its compressor was operated at its fullest capacity. From the after-cooler the air passed into a vertical receiver, 4 ft. 6 in. in diameter and 12 ft. high, there being one such receiver for each compressor. The receivers were tested to a pressure of 100 lb. per sq. in. The after-coolers were provided with traps to collect precipitated moisture and oil. The coolers and receivers were fitted with safety valves set to blow off at 1 lb. above the working pressure. The air supply was taken from without, and above the power-house roof, but in very cold weather it could be taken from within doors.
High-Pressure Compressors.—There was one high-pressure compressor at each plant. Each consisted of two duplex air cylinders fitted to a cross-compound, Corliss-Bass, steam engine. The two steam cylinders were 14 and 26 in. in diameter, respectively, and the air cylinders were 14¼ in. in diameter and had a 36-in. stroke. The air cylinder was water-jacketed with salt water supplied from the circulating water pumps.
The capacity was about 1,100 cu. ft. of free air per min. when running at 85 rev. per min. and using intake air at normal pressure, but, when receiving air from the low-pressure compressors at a pressure of 30 lb. per sq. in., the capacity was 3,305 cu. ft. of free air per min.; receiving air at 50 lb. per sq. in., the capacity would have been 4,847 cu. ft. of free air per min. This latter arrangement, however, called for more air than the low-pressure compressors could deliver. With the low-pressure compressor running at 125 rev. per min. (its maximum speed), it could furnish enough air at 43.8 lb. per sq. in. to supply the high-pressure compressor running at 85 rev. per min. (its maximum speed); and, with the high-pressure compressor delivering compressed air at 150 lb., the combined capacity of the arrangement would have been 4,389 cu. ft. of free air per min.
The air passed through a receiver, 4 ft. 6 in. in diameter and 12 ft. high, tested under a water pressure of 225 lb. per sq. in., before being sent through the distributing pipes.
Hydraulic Power Pumps.—At each power-house there were three hydraulic power pumps to operate the tunneling shields. One pump was used for each tunnel, leaving the third as a stand-by. The duplex steam cylinders were 15 in. in diameter, with a 10-in. stroke; the duplex water rams were 2⅛ in. in diameter with a 10-in. stroke. The pumps were designed to work up to 6,000 lb. per sq. in., but the usual working pressure was about 4,500 lb. The piping, which was extra heavy hydraulic, was connected by heavy cast-steel screw coup [Pg 163]lings having a hexagonal cross-section in the middle to enable tightening to be done with a bolt wrench. The piping was designed to withstand a pressure of 5,500 lb. per sq. in.
Electric Generators.—At each plant there were two electric generators supplying direct current for both lighting and power, at 240 volts, through a two-wire system of mains. They were of Type M-P, Class 6, 100 kw., 400 amperes, 250 rev. per min., 240 volts no load and 250 volts full load. They were connected direct to 10 by 20 by 14-in., center-crank, tandem-compound, engines of 150 h.p. at 250 rev. per min. A switch-board, with all the necessary fuses, switches, and meters, was provided at each plant.
Lubrication.—In the lubricating system three distinct systems were used, each requiring its own special grade of oil.
The journals and bearings were lubricated with ordinary engine oil by a gravity system; the oil after use passed through a "White Star" filter, and was pumped into a tank about 15 ft. above the engine-room floor.
The low-pressure air cylinders were lubricated with "High Test" oil, having a flash point of 600° Fahr. The oil was forced from a receiving tank into an elevated tank by high-pressure air. When the tank was full the high-pressure air was turned off and the low-pressure air was turned on, in this way the air pressure in the oil tank equalled that in the air cylinder being lubricated, thus allowing a perfect gravity system to exist.
The steam cylinders and the high-pressure air cylinders were fed with oil from hand-fed automatic lubricators made by the Detroit Lubrication Company, Detroit, Mich.
"Steam Cylinder" oil was used for the steam cylinders and "High Test" oil (the same as used for the low-pressure air cylinders) for the high-pressure air cylinders. The air cylinder and steam cylinder lubricators were of the same kind, except that no condensers were necessary. The steam cylinder and engine oil was caught on drip pans, and, after being filtered, was used again as engine oil in the bearings. The oil from the air cylinders was not saved, nor was that from the steam cylinders caught at the separator.
Cost of Operating the Power-House Plants.—In order to give an idea of the general cost of running these plants, Tables 3 and 4 are given as typical of the force employed and the general supplies needed [Pg 164] for a 24-hour run of one plant. Table 3 gives a typical run during the period of driving the shields, and Table 4 is typical of the period of concrete construction. In the latter case the tunnels were under normal air pressure. Before the junction of the shields, both plants were running continuously; after the junction, but while the tunnels were still under compressed air, only one power-house plant was operated.
TABLE 3.—Cost of Operating One Power-House for 24 Hours During Excavation and Metal Lining.
| No. | Labor. | Rate per day. | Amount. |
|---|---|---|---|
| 6 | Engineers | $3.00 | $18.00 |
| 6 | Firemen | 2.50 | 15.00 |
| 2 | Oilers | 2.00 | 4.00 |
| 2 | Laborers | 2.00 | 4.00 |
| 4 | Pumpmen | 2.75 | 11.00 |
| 2 | Electricians | 3.50 | 7.00 |
| 1 | Helper | 3.00 | 3.00 |
| Total per day | $62.00 | ||
| Total for 30 days | $1,860.00 | ||
| Supplies. | |||
| Coal (14 tons per day) | $3.25 | $45.50 | |
| Water | 7.00 | 7.00 | |
| Oil (4 gal. per day) | 0.50 | 2.00 | |
| Waste (4 lb. per day) | 0.07 | 0.28 | |
| Other supplies | 1.00 | 1.00 | |
| Total per day | $55.78 | ||
| Total for 30 days | $1,673.00 | ||
| Total cost of labor and supplies for 30 days | $3,533.00 | ||
Stone-Crusher Plant.—A short description of the stone-crusher plant will be given, as it played an important part in the economy of the concrete work. In order to provide crushed stone for the concrete, the contractor bought (from the contractor who built the Bergen Hill Tunnels) the pile of trap rock excavated from these tunnels, which had been dumped on the piece of waste ground to the north of Baldwin Avenue, Weehawken, N. J.
The general layout of the plant is shown on Plate XXX. It consisted of a No. 6 and a No. 8 Austin crusher, driven by an Amex, single-cylinder, horizontal, steam engine of 120 h.p., and was capable of crushing about 225 cu. yd. of stone per 10-hour day. The crushers and conveyors were driven from a countershaft, in turn driven from the engine by an 18-in. belt.
TABLE 4.—Cost of Operating the One Plant for 24 Hours During Concrete Lining.
| No. | Labor. | Rate per day. | Amount. |
|---|---|---|---|
| 2 | Engineers | $3.00 | $6.00 |
| 2 | Firemen | 2.50 | 5.00 |
| 2 | Pumpmen | 3.00 | 6.00 |
| 1 | Foreman Electrician | 6.00 | 6.00 |
| 1 | Electrician | 3.00 | 3.00 |
| 1 | Laborer | 2.00 | 2.00 |
| Total per day | $28.00 | ||
| Total for 30 days | $840.00 | ||
| Supplies. | |||
| Coal (14 tons per day) | $3.15 | $44.10 | |
| Oil (4 gal. per day) | 0.50 | 2.00 | |
| Water | 13.00 | 13.00 | |
| Other supplies | 2.00 | 2.00 | |
| Total per day | $61.10 | ||
| Total for 30 days | $1,833.00 | ||
| Total cost of labor and supplies for 30 days | $2,673.00 | ||
The process of crushing was as follows: The stone from the pile was loaded by hand into scale-boxes which were lifted by two derricks into the chute above the No. 6 crusher. One derrick had a 34-ft. mast and a 56-ft. boom, and was worked by a Lidgerwood steam hoister; the other had a 23-ft. mast and a 45-ft. boom, and was worked by a "General Electric" hoist. All the stone passed first through the No. 6 crusher, after which it was lifted by a bucket conveyor to a screen, placed about 60 ft. higher than and above the stone bin. The screen was a steel chute pierced by 2½-in. circular holes, and was on a slope of about 45°; in order to prevent the screen from choking, it [Pg 166] was necessary to have two men continually scraping the stone over it with hoes. All the stone passing the screen was discharged into a bin below with a capacity of about 220 cu. yd. The stone not passing the screen passed down a diagonal chute to a No. 8 crusher, from which, after crushing, it was carried back by a second bucket conveyor to the bin, into which it was dumped without passing a screen. The No. 8 crusher was arranged so that it could, when necessary, receive stone direct from the stone pile. The cars in which the stone was removed could be run under the bin and filled by opening a sliding door in the bottom of the bin. A track was laid from the bin to connect with the contractor's surface railway in the Weehawken Shaft yard, and on this track the stone could be transported either to the Weehawken Shaft direct, for use on that side of the river, or to the wharf, where it could be dumped into scows for transportation to New York.
The cars used were 3-cu. yd. side-dump, with flap-doors, and were hauled by two steam Dinky locomotives.
The average force employed was:
| 1 | foreman | @ | $3.00 | per | day. | Supervising. |
| 24 | laborers | " | 1.75 | " | " | Loading scale-boxes for derricks. |
| 4 | laborers | " | 1.75 | " | " | Feeding crushers. |
| 2 | laborers | " | 1.75 | " | " | Watching screens to prevent clogging. |
| 1 | engineer | " | 4.00 | " | " | Driving steam engine. |
| 2 | engineers | " | 3.50 | " | " | On the derricks. |
| 1 | night watchman. | Watching the plant at night. | ||||
Owing to the constant break-down of machinery, chutes, etc., inseparable from stone-crushing work, there was always at work a repair gang consisting of either three carpenters or three machinists, according to the nature of the break-down.
The approximate cost of the plant was:
| Machinery | $5,850 |
| Lumber | 3,305 |
| Erection labor | 3,999 |
| ———— | |
| Total | $13,154 |
The cost of the crushed stone at Weehawken amounted to about $0.91 per cu. yd., and was made up as follows:
| Cost of stone | $0.22 |
| Labor in operation of plant | 0.31 |
| Plant supplies | 0.11 |
| [B] Plant depreciation | 0.27 |
| ——— | |
| Total | $0.91 |
[B]Assuming that the scrap value of derricks and engines is one-half the cost, crushers one-third the cost, and other items nothing.
The crushed stone at the Manhattan Shaft cost about $1.04 per cu. yd., the difference of $0.13 from the Weehawken cost being made up of the cost of transfer across the river, $0.08, and transport from the dock to the shaft, $0.05.
Miscellaneous Plant.—The various pieces of plant used directly in the construction work, such as derricks, hauling engines, pumps, concrete mixers, and forms, will be found described or at least mentioned in connection with the methods used in construction.
The tunneling shields, however, will be described now, as much of the explanation of the shield-driven work will not be clear unless preceded by a good idea of their design.
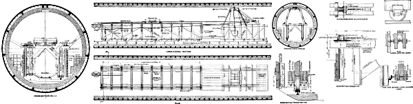
During the period in which the original contract drawings were being made, namely, in the latter part of 1903 and the early part of 1904, considerable attention was given to working out detailed studies for a type of shield which would be suitable for dealing with the various kinds of ground through which the shield-driven tunnels had to pass. This was done in order that, when the contract was let, the engineer's ideas of the requirements of the shields should be thoroughly crystallized, and so that the contractor might take advantage of this long-thought-out design, instead of being under the necessity of placing a hurried order for a piece of plant on which so much of the safety as well as of the speed of his work depended. Eventually, the contractor took over these designs as they stood, with certain minor modifications, and the shields as built and worked gave entire satisfaction. The chief points held in view were ample strength, easy access to the working face combined with ease and quickness of closing the diaphragm, and general simplicity. A clear idea of the main features of the design can be gathered from Fig. 3 and Plate XXXI.
[Pg 168] The interior diameter of the skin was 2 in. greater than the external diameter of the metal lining of the tunnel, which was 23 ft. The skin was made up of three thicknesses of steel plate, a ¾-in. plate outside and inside, with a ⅝-in. plate between; thus the external diameter of the skin was 23 ft. 6¼ in. The length over all (exclusive of the hood, to be described later) was 15 ft. 11-7/16 in. The maximum overlap of the skin over the erected metal lining was 6 ft. 4½ in., and the minimum overlap, 2 ft.
There were no inside or outside cover-plates, the joints of the various pieces of skin plates being butt-joints covered by the overlap of adjoining plates. All riveting was flush, both inside and outside. The whole circumference of each skin plate was made up of eight pieces, each of which extended the entire length of the shield, the only circumferential joint on the outside being at the junction of the removable cutting edge (or of the hood when the latter was in position) with the shield proper.
Forward of the back ends of the jacks, the shield was stiffened by an annular girder supporting the skin, and in the space between the stiffeners of which were set the 24 propelling rams used to shove the shield ahead by pressure exerted on the last erected ring of metal lining, as shown on Plate XXXI.
To assist in taking the thrust of these rams, gusset-plates were placed against the end of each ram cylinder, and were carried forward to form level brackets supporting the cast-steel cutting-edge segments. The stiffening gussets, between which were placed the rams, were also carried forward as level brackets, for the same purpose. The cast-steel segmental cutting edge was attached to the front of the last mentioned plates.
The interior structural framing consisted of two floors and three vertical partitions, giving nine openings or pockets for access to the face; these pockets were 2 ft. 7 in. wide, the height varying from 2 ft. 2 in. to 3 ft. 4 in., according to their location. The openings were provided with pivoted segmental doors, which were adopted because they could be shut without having to displace any ground which might be flowing into the tunnel, and while open their own weight tended to close them, being held from doing so by a simple catch.
For passing through the varied assortment of ground before entering on the true sub-river silt, it was decided to adopt the forward detachable extension, or hood, which has so often proved its worth in ground needing timber for its support, as shown in Fig. 2, Plate XXIX. This hood extended 2 ft. 1 in. beyond the cutting edge, and from the top down to the level of the upper platform. Additional pieces were provided by which the hood might have been brought down as far as the lower platform, but they were not used. Special trapezoidal steel castings formed the junction between the hood and the cutting edge. The hood was in nine sections, built up of two ¾-in. and one ⅝-in. skin plates, as in the main body of the skin, and was supported by bracket plates attached to the forward ends of the ram chambers. The hoods were bolted in place, and were removed and replaced by regular cutting-edge steel castings after the shields had passed the river lines.
The floors of the two platforms, of which there were eight, formed by the division of the platforms by the upright framing, could be extended forward 2 ft. 9 in. in front of the cutting edge, or 8 in. in front of the hood. This motion was given by hydraulic jacks. The sliding platform could hold a load of 7,900 lb. per sq. ft., which was equal to the maximum head of ground and water combined. The uses of these platforms will be described under the heading "Construction." The weight of the structural portion of each shield was about 135 tons.
The remainder of the shield was the hydraulic part, which provided its motive force and gave the power to the segment erector. The hydraulic fittings weighed about 58 tons per shield, so that the total weight of each shield was about 193 tons. The hydraulic apparatus was designed for a maximum pressure of 5,000 lb. per sq. in., a minimum pressure of 2,000 lb., and a test pressure of 6,000 lb. The actual average pressure used was about 3,500 lb. per sq. in.
There were 24 shoving rams, with a diameter of 8½ in. and stroke of 38 in. The main ram was single-acting. The packings could be tightened up from the outside without removing the ram, a thing which is of the greatest convenience, and cannot be done with the differential plunger type. Some of the chief figures relating to the shield rams, with a water pressure of 5,000 lb. per sq. in., are: [Pg 171]
| Forward force of one ram | 275,000 lb. |
| Forward force of 24 rams (all) | 6,600,000 lb. |
| Forward force of 24 rams | 3,300 tons of 2,000 lb. |
| Equivalent pressure per square inch of face | 105 lb. |
| Equivalent pressure per square foot of face | 15,200 lb. |
| Pull-back force of one ram | 26,400 lb. |
| Pull-back pressure on full area of ram | 480 lb. per sq. in. |
The rams developed a tendency to bend, under the severe test of shoving the shield all closed, or nearly so, through the river silt, and it is probable that it would have been better to make the pistons 10 in. in diameter instead of 8½ in.
Each sliding platform was actuated by two single-acting rams, 3½ in. in diameter and having a stroke of 2 ft. 9 in. The rams were attached to the rear face of the shield diaphragm inside the box floors, and the cylinders were movable, sliding freely on bearings in the floor. The front ends of the cylinders were fixed to the front ends of the sliding platforms. The cylinder thus supported the front end of the sliding platform, and was designed to carry its half of the load on the platform. Some of the leading figures in connection with the platform rams, at a working pressure of 5,000 lb. per sq. in., are:
| Forward force of each pair of rams (in each platform) | 96,000 lb. |
| Total area of nose of sliding platform | 1,060 sq. in. |
| Maximum reaction per square inch on nose | 90 lb. |
| Maximum reaction per square foot on nose | 13,040 lb. |
Each shield was fitted with a single erector mounted on the rear of the diaphragm. The erector consisted of a box-shaped frame mounted on a central shaft revolving on bearings attached to the shield. Inside of this frame there was a differential hydraulic plunger, 4 in. and 3 in. in diameter and of 48-in. stroke. To the plunger head were attached two channels sliding inside the box frame, and to the projecting ends of these the grip was attached. At the opposite end of the box frame a counterweight was attached which balanced about 700 lb. of the tunnel segment at 11 ft. radius. [Pg 172]
The erector was revolved by two single-acting rams fixed horizontally to the back of the shield above the erector pivot through double chains and chain wheels keyed to the erector shaft.
The principal figures connected with the erector, assuming a water pressure of 5,000 lb. per sq. in., are:
| Weight of heaviest tunnel segment | 2,584 lb. |
| Weight of erector plunger and grip | 616 lb. |
| Total weight to be handled by the erector ram | 3,200 lb. |
| Total force in erector ram moving from center of shield | 35,000 lb. |
| Total force in erector ram moving toward center of shield | 27,500 lb. |
| Weight at 11-ft. radius which is balanced by counterweight | 700 lb. |
| Maximum net weight at 11-ft. radius to be handled by turning rams | 1,884 lb. |
| Total force of each rotating ram, at 5,000 lb. per sq. in. | 80,000 lb. |
| Load at 11-ft. radius, equivalent to above | 3,780 lb. |
When the shield was designed, a grip was also designed by which the erector could handle segments without any special lugs being cast on them. A bolt was passed through two opposite bolt holes in the circumferential flanges of a plate. The grip jaws closed over this bolt and locked themselves. The projecting fixed ends of the grip were for taking the direct thrust on the grip caused by the erector ram when placing a segment.
It happened, however, that there was delay in delivering these grips, and, when the shield was ready to start, and the grip was not forthcoming, Mr. Patrick Fitzgerald, the Contractor's Superintendent, overcame this trouble by having another grip made.
In this design, also, a self-catching bolt is placed through the segment and the grip catches the bolt. In simplicity and effectiveness in working, this new design eventually proved a decided advance on the original one, and, as a result, all the shields were fitted with the new grip, and the original design was discarded.
The great drawback to the original grip was that the plate swung on the lifting bolt, and thus brought a great strain on the bolt when [Pg 173] held rigidly at right angles to the erector arm. The original design was able to handle both Aand Bsegments, and key segments, without alteration; in the new design, an auxiliary head had to be swung into position to handle the key, but this objection did not amount to a practical drawback.
The operating floor from which the shield was controlled, and at which the valves were situated, was placed above the rams which rotate the erector, and formed a protection for them. The control of the shield rams was divided into four groups: the seven lower rams constituted one group, the upper five, another, and the six remaining on each side, the other two. Each group was controlled by its own stop and release valve. Individual rams were controlled by stop-cocks.
The control of the sliding platform rams was divided into two groups, of which all the rams on the upper floor made one, and all those in the lower floor, the other; here, again, each group had its own stop and release valve, and individual platforms were controlled by stop-cocks arranged in blocks from which the pipes were carried to the rams.
The in-and-out movements of the erector ram were controlled by a two-spindle, balanced, stop and release valve, controlled by a hand-wheel. The erector rotating rams were controlled by a similar valve, with four spindles, also operated by a single hand-wheel. Both wheels were placed inside the top shield pockets, and within easy reach of the operating platform.
The hydraulic pressure was brought through the tunnel by a 2-in. hydraulic pipe. Connection with the shield was made by a flexible copper pipe, the 2-in. line being extended as the shield advanced.
The following is a brief account of the main features of the "Land Tunnel" work, by which is meant all the part of the structure built without using tunneling shields.
The Land Tunnels consist of about 977 ft. of double tunnel on the New York side and 230 ft. on the New Jersey side, or a total of 1,207 lin. ft. of double tunnel. [Pg 174]
The general design of the cross-section consists of a semi-circular arch, vertical side-walls and a flat invert. The tunnel is adapted for two lines of track, each being contained in its compartment or tunnel. The span of the arch is wider than is absolutely necessary to take the rolling stock, and the extra space is utilized by the provision of a sidewalk or "bench" forming by its upper surface a gangway, out of the way of traffic, for persons walking in the tunnels, and embedded in its mass are a number of vitrified earthenware ducts, for high-and low-tension electric cables. The provision of this bench enables its vertical wall to be brought much nearer to the side of the rolling stock than is usually possible, thus minimizing the effects of a derailment or other accident. Refuge niches for trackmen, and ladders to the top of the bench are provided at frequent intervals. In cases where a narrow street limits the width of the structure, as on the New York side, the two tunnels are separated by a medial wall of masonry, thus involving excavation over the entire width of both tunnels, and in such case the tunnels are spoken of as "Twin Tunnels"; where the exigencies of width are not so severe, the two tunnels are entirely distinct, and are separated by a wall of rock. This type is found on the Weehawken side. The arches are of brick, the remainder of the tunnel lining being of concrete.
The work on the Land Tunnels on the Manhattan side was carried on from the shaft at 11th Avenue and 32d Street. [Pg 175]
The plans and designs for these tunnels are shown on Plate XXXII. In this short length of about 977 ft. there are no less than nine different kinds of cross-section. The reason for these changes is the fact that the two lines of track are here not straight and parallel to the center line between the tunnels, but are curved, although symmetrical about this center line. The various changes of section are to enable the tunnels to be built in straight lengths, thus avoiding the disadvantages attending the use of curved forms, and at the same time minimizing the quantity of excavation, an item which accounts for from 60 to 70% of the total cost of tunnels of this type. Of course, there are corresponding and obvious disadvantages in the adoption of many short lengths of different cross-sections, and these disadvantages were well brought out in the course of the work; on the whole, however, they may be said to have justified their adoption. These New York Land Tunnels were divided into three contracts, viz.: From Station 190 + 15 (the Portal to the open work of the Terminal Station at the east side of Tenth Avenue, New York City) to Station 197 + 60, called "Section Gy-East." The next contract, called "Section Gy-West Supplementary," extended from Station 197 + 60 to Station 199 + 20, which is the east side of Eleventh Avenue. The third contract was called "Section Gy-West," and extended from Station 199 + 20 to Station 231 + 78 (the dividing line between the States of New York and New Jersey). Thus, for nearly all its length, this contract consists of shield-driven tunnel. The portion between Stations 199 + 20 and 199 + 91.5, however, was of the Land Tunnel type, and therefore will be included here. A fourth contract extended from Station 231 + 78 to the Weehawken Shaft at Station 263 + 50, and of this all but 230 ft. was of the shield-driven type, only the portion next to the Weehawken Shaft being of the Land Tunnel type.
The four contracts were let to one contractor (The O'Rourke Engineering Construction Company), and the work was carried on simultaneously in all four, so that the division into contracts had no bearing on the methods of work adopted, and these will now be described as a whole and with no further reference to the different sections.
Work was started on the New York side on April 18th, 1904, the Weehawken shaft being at that date still under construction. As will have been noted in the description of the shafts, the contractor found a shaft already prepared for his use, and cross-drifts at grade and at right angles to the future tunnels, and extending across their entire width. The first essential was to get access to the shield chambers, which were to lie about 330 ft. to the west of the shaft, so that the construction of these enlargements in which the shields for the subaqueous tunnels were to be built might be finished as soon as possible and thus allow the earliest possible start to be made with the shield-driven tunnels.
With this in view, two bottom headings, on the center line of each of the two tracks, were driven westward from the western cross-heading at the foot of the shaft. When about 138 ft. had been made in this way, the two headings were brought together and a break-up was made to the crown level of the tunnel, as the depth of rock cover was doubtful. From this break-up a top heading was driven westward to Station 200 + 30. While widening the heading out at Station 200 + 20 the rock was penetrated on the south side. The exposed wet sand and gravel started to run, and, as a consequence, a change in design was made, the shield chambers (and consequently the start of the shield-driven tunnels) being moved eastward from their original location 133 ft. to their present location. A certain amount of time was necessarily spent in making these changes of design, which involved a rearrangement of the whole layout from the Terminal Station to the start of the River Tunnels. On July 5th, 1904, however, the new design was formally approved. No sooner had this been decided than a strike arose on the work, and this was not settled until August 1st, 1904, but from that time the work progressed without delay. No further reference will be made to the work in the shield chambers, as that will come under the heading of "River Tunnels," being of the segmental, cast-iron lined type.
A top heading was now driven over the original bottom heading west of the shaft, and at the same time the original cross-drifts from the shaft were amalgamated with and broken down by a heading driven at the crown level of the "Intercepting Arch" which here cuts across the ordinary run of tunnel at right angles and affords access to the tunnels from the shafts.
The excavation of the upper portion of the intercepting arch at its southern end gave some trouble, and caused some anxiety, as the rock cover was penetrated and the wet sand and gravel were exposed. This made it necessary to timber all this section heavily, and the tracks of the New York Central Railroad directly above were successfully supported. The general way in which this timbering was carried out will be described under the head of "Timbering." [Pg 177]
Meanwhile, the excavation of the tunnels west of the intercepting arch was continued until the North and South Tunnels were taken out to their full outlines, leaving a core of rock between them. This core was gradually removed, and timbering supporting the rock above the middle wall was put in as excavation went on. The ground, which was entirely of micaceous schist, typical of this part of Manhattan, seamed with veins of granite, was rather heavy at the west end, or adjacent to the shield chambers, and required complete segmental timbering across the whole span. One heavy fall of rock in the corewall between the North and South Tunnels took place on November 2d, but fortunately did not extend beyond the limits of the permanent work. On November 7th, 1904, the excavation east of the intercepting arch was begun by driving a bottom heading in the South Tunnel. This was continued to Station 197 + 14 and then was taken up to the crown level and worked as a top heading with the view of keeping track, by making exploratory borings upward from the roof at frequent intervals, of the rock surface, which was here irregular and not known with any degree of certainty. The work was not pressed with any vigor, because all efforts were then being bent toward excavating from the River Tunnels as much rock as possible. In Section Gy-East the conditions were exceptionally variable, as the rock was subject to sudden changes from a soft crumbling mica schist to broad bands of hard granite, and, in addition, the rock surface was very irregular, and, for a good length of this section, was below the crown of the tunnel, a condition which led to the adoption of the cut-and-cover method for part of the work.
The irregularity in conditions called for varying methods of procedure, but in general the methods were as shown on Plate XXXIII, and described as follows:
In Solid Rock.—Where there was plenty of good rock cover, a top middle heading was driven, which was afterward widened out to the full cross-section of the twin tunnel arches. If necessary, a few lengths of segmental timbering were put in before taking down the bench, which was generally kept some 40 or 50 ft. behind the breast of the heading. After the bench was down, the middle conduit trench was excavated and the trimming done.
In Soft Rock.—Where there was not enough rock cover, or where there was actual soft ground in the roof, wall-plate headings at the springing line level were driven ahead of the remainder of the work. The wall-plates were laid in these, the roof was taken out in short lengths, and segmental timbering spanning from wall-plate to wall-plate was put in. The roof being thus held, the bench excavation proceeded without trouble. Where the rock was penetrated and soft ground showed in the roof, poling boards were driven ahead over the crown-bars, as shown in Fig. 4.
Cut-and-Cover Work.—After some 225 ft. had been driven from the intercepting arch, it was found that the crown of the tunnel was continually in soft ground. To ascertain the extent of this condition the contractor decided to make soundings as far as Tenth Avenue, which was done by sinking trial pits and making wash-borings in the street. These soundings showed that there would be soft ground in the crown from Station 194 + 75 to Station 194 + 25 (at one point to a depth of 12 ft. below the crown), and on each side of this section the cover was insufficient from Station 193 + 58 to Station 195 + 30. This condition being known, it was decided to adopt cut-and-cover work for this length, the principal reasons being that repairs to sewers, streets, and drains would be no more, and probably less, expensive than with the tunnel method; the underpinning of a heavy brick brewery building adjoining the works on the north side would be facilitated, and the opening in the street, through which muck and materials could be handled, would relieve the congested shaft, through which the large volume of muck from the River Tunnels was then being conveyed. On the other hand, the cut-and-cover method was adversely affected by the presence of a heavy timber trestle built down the south side of the street and over which passed all the excavation from the Terminal Station, amounting to a very heavy traffic. As this trestle had to be supported, it complicated the situation considerably. Very little active progress was made between June, 1905, and April, 1906, as the contractor's energies during that time were much taken up with the progress of the shield-driven tunnels. In April, 1906, preparations were made to start a 50-ft. length of open cut, rangers being fixed and sheathing driven; and the sewer which ran down the middle of this street was diverted to the outside of the open-cut length.
April and May were occupied in driving the sheathing down to rock, supporting the trestle, underpinning the adjoining brewery, and excavating the soft material above the rock. On June 2d, 1906, rock was reached, and, by July 31st, the excavation was down to subgrade over nearly the whole 50 ft. in the first length. In the meantime another length was opened up, and eventually a third.
The surface of the rock now seemed to be rising, and the heavy buildings had been passed, so that tunneling was reverted to for the rest of the work, though many difficulties were caused by soft rock in the roof from time to time.
When the excavation for the open-cut work of the Terminal Station had advanced to the line of Tenth Avenue, the contractor started a heading from this point and drove westward under Tenth Avenue until the headings driven eastward from the cut-and-cover portion, were met.
This was done to expedite the work under Tenth Avenue, where the ground was not very good, where there were several important gas and water mains in the street, and where, moreover, the tunnels were of exceptionally large span (24 ft. 6 in.), making a total width of some 60 ft. for the excavation. The excavation for the New York Tunnels was practically finished in January, 1908.
Drilling and Blasting.—The foregoing short description will serve to show in a general way the scheme adopted in making the excavation. A few details on drilling and blasting methods may not be out of place.
Percussive drills run by air pressure were used. They were Ingersoll-Sergeant, Nos. 3½, A-86, C-24, and F-24. The air came from the high-pressure compressor previously described. This compressor, without assistance, could supply air for nine drills, but, when fed by compressed air from the lower pressure, its capacity was increased three or four times.
The air was compressed to 100 lb. per sq. in. in the power-house, and was delivered at about 80 lb. per sq. in. at the drills. A 3-in. air line was used. The drill steel was 1⅛-to 1⅜-in. octagonal. The holes were about 3¼ in. in diameter at starting and 2⅝ in. at the full depth of 10 ft. The powder used on the New York side was 40% Forcite, the near presence of heavy buildings and lack of much rock cover necessitating light charges and many holes spaced close together.
To compensate the contractor for the inevitable excavation done outside the neat lines of the masonry lining, the excavation was paid for to the "Standard Section Line" which was 12 in. outside the neat lines on top and sides and 6 in. outside at the bottom of the cross-section. The actual amount of excavation done was about 11% greater than that paid for. The distance excavated beyond the neat line, because of the very heavy timbering necessary, was about 2.1 ft. instead of the 1 ft. allowed, and at the bottom about 0.85 ft. instead of the 0.50 ft. paid for.
For a period of 5 months detailed records were kept of the drilling and blasting. About 12,900 cu. yd. of excavation are included. A [Pg 181] sketch and table showing the method of driving the heading, the number and location of the holes drilled, and the amount of powder used, is given in Fig. 5. From this and similar figures the information in Table 5 is derived.
| Portion of excavation. | Feet of Hole drilled per cubic Yard of Execavation | Pounds of Power Used per Cubic Yard of Excavation | ||||
|---|---|---|---|---|---|---|
| 15-ft. 4-in. span-- twin tunnel | 19-ft. 6-in. span-- twin tunnel | 24-ft. 6-in. span-- twin tunnel | 15-ft. 4-in. | 19-ft. 6-in. | 24-ft. 6-in. | |
| Wall-plate heading [C] | 13.00 | 10.97 | 10.97 | 3.77 | 2.85 | 2.85 |
| Total heading[C] | 7.87 | 8.17 | 7.81 | 2.31 | 2.02 | 1.78 |
| Bench and raker bench[C] | 5.97 | 6.15 | 7.56 | 0.94 | 0.93 | 1.13 |
| Trench[C] | 9.82 | 15.96 | 18.10 | 1.84 | 2.49 | 2.73 |
| Average for section[C] | 6.69 | 7.43 | 8.95 | 1.28 | 1.30 | 1.45 |
| Actual amount [D] | 6.82 | 7.27 | 8.95 | 1.22 | 1.24 | 1.27 |
[C] Figures taken from typical cross-sections.
[D] This gives the actual amount of drilling done and powder used per cubic yard for the whole period of 5 months of observation, but as this length included 280 ft. of heading and only 220 ft. of bench, the average figures (for powder especially) are too low.
Table 6 gives the rate and cost of drilling, and the cost of powder. It will be seen that the average rate of drilling was 2.71 ft. per hour per drill or 27.1 ft. per drill per shift.
Table 7 shows the result of observation as to the time taken in various subdivisions of the drilling operations. These observations were not carried on for a long enough period to give correct results, but the percentages of time spent on each division of the operation are believed to be about right. The headings of this table are self-explanatory. The necessary delays include all time spent in changing bits, making air-line connections, etc. The unnecessary delays are stoppages caused by lack of supplies or insufficient air pressure.
By Table 6 it will be noticed that the cost of labor for drilling and sharpening steels was about $0.29 per lin. ft. of hole drilled. The total cost, including repairs, supply of air, etc., came to about $0.38, as will be seen from Table 8.
Timbering.—On the New York side nearly the whole length of the excavation needed timbering, to a greater or less extent, and for the most part required timbering of quite a heavy type. [Pg 182]
TABLE 6.—Rock Tunnel Excavation under 32d Street, East of Cut-and-Cover Section. Drilling and Blasting.—Detailed Cost of Labor in Drilling, also Quantity and Cost of Powder Used.
| Drilling and Blasting. | Powder Used. | ||||||||||||||||||
|---|---|---|---|---|---|---|---|---|---|---|---|---|---|---|---|---|---|---|---|
| Type. | Date. | Total feet drilled. | No. of drill shifts (10-hour.) | Feet drilled per man per hour. | Quantity of excavation, in cubic yards. | Cost of labor only. Drilling and sharpening. | Total Quantity. | Cost per cubic Yard at 11 cents per pound. | |||||||||||
| Total. | Per linear feet. | Per cubic yard | |||||||||||||||||
| Actual. | Paid for. | Actual. | Paid for | ||||||||||||||||
| 1907 | Heading | Bench | Total | Heading | Bench | Total | Heading | Bench | Total | Actual. [E] | Paid for [F] | Pounds. | |||||||
| $ | $ | $ | $ | $ | $ | ||||||||||||||
| Ke. | May | 2,971 | 5,578 | 8,549 | 98 | 204 | 302 | 3.031 | 2.734 | 2.831 | 1,736 | 1,664 | 2,331 | 0.27 | 1.34 | 1.40 | 1,595 | 0.10 | 0.10 |
| June | 2,093 | 6,194 | 8,287 | 85 | 223 | 308 | 2.462 | 2.777 | 2.691 | 809 | 698 | 2,440 | 0.29 | 3.01 | 3.49 | 1,960 | 0.27 | 0.31 | |
| July | 7,627 | 7,627 | 268 | 268 | 2.845 | 2.845 | 1,022 | 960 | 2,031 | 0.26 | 1.98 | 2.11 | 966 | 0.10 | 0.11 | ||||
| Aug. | 2,552 | 2,552 | 95 | 95 | 2.688 | 2.688 | 743 | 716 | 640 | 0.25 | 0.86 | 0.89 | 430 | 0.06 | 0.07 | ||||
| Sept. | 2,133 | 2,133 | 79 | 79 | 2.700 | 2.700 | 238 | 238 | 533 | 0.25 | 2.24 | 2.24 | 280 | 0.13 | 0.13 | ||||
| Total | 5,064 | 24,084 | 29,148 | 183 | 869 | 1,052 | 2.767 | 2.770 | 2.770 | 4,548 | 4,276 | 7,975 | 0.27 | 1.75 | 1.87 | 5,231 | 0.13 | 0.13 | |
| Ki. | May | 6,976 | 6,976 | 216 | 216 | 3.229 | 3.229 | 614 | 527 | 1,604 | 0.23 | 2.61 | 3.04 | 1,230 | 0.22 | 0.26 | |||
| June | 4,089 | 4,089 | 135 | 135 | 3.029 | 3.029 | 357 | 259 | 1,234 | 0.30 | 3.45 | 4.76 | 1,036 | 0.32 | 0.44 | ||||
| July | 3,733 | 3,733 | 140 | 140 | 2.666 | 2.666 | 530 | 404 | 1,084 | 0.29 | 2.04 | 2.68 | 550 | 0.11 | 0.15 | ||||
| Aug. | 6,715 | 6,715 | 249 | 249 | 2.769 | 2.769 | 925 | 890 | 1,901 | 0.28 | 2.05 | 2.13 | 905 | 0.10 | 0.11 | ||||
| Estim | 14,742 | 14,742 | 46 | 546 | 2.700 | 2.700 | 3,254 | 2,908 | 4,570 | 0.31 | 1.40 | 1.57 | 2,470 | 0.08 | 0.09 | ||||
| Total | 11,065 | 25,190 | 36,255 | 351 | 935 | 1,286 | 3.152 | 2.694 | 2.819 | 5,680 | 4,988 | 10,393 | 0.29 | 1.83 | 2.08 | 6,191 | 0.12 | 0.14 | |
| Ko. | May | 1,617 | 1,617 | 55 | 55 | 2.921 | 2.921 | 250 | 188 | 471 | 0.29 | 1.88 | 2.50 | 376 | 0.17 | 0.22 | |||
| June | 2,948 | 2,948 | 107 | 107 | 2.755 | 2.755 | 496 | 347 | 883 | 0.29 | 1.78 | 2.54 | 357 | 0.08 | 0.11 | ||||
| July | 3,734 | 3,734 | 131 | 131 | 2.850 | 2.850 | 626 | 606 | 1,003 | 0.27 | 1.60 | 1.65 | 609 | 0.11 | 0.11 | ||||
| Aug. | 8,260 | 8,260 | 290 | 290 | 2.848 | 2.848 | 709 | 2,161 | 0.26 | 3.00 | 3.04 | 918 | 0.14 | 0.14 | |||||
| Estim | 4,787 | 4,787 | 285 | 285 | 1.180 | 1.680 | 605 | 535 | 2,397 | 0.50 | 3.96 | 4.48 | 762 | 0.14 | 0.16 | ||||
| Total | 21,346 | 21,346 | 868 | 868 | 2.460 | 2.460 | 2,695 | 2,385 | 6,915 | 0.32 | 2.57 | 2.90 | 3,022 | 0.12 | 0.14 | ||||
| Grand Total | 16,129 | 70,620 | 86,749 | 534 | 2,672 | 3,206 | 3.020 | 2.710 | 2.710 | 12,923 | 11,649 | 25,283 | 0.29 | 1.96 | 2.17 | 14,444 | 0.12 | 0.14 | |
The work done during the 5 months when these analyzed cost figures were kept includes 280 ft. of bench and 220 ft. of heading. This excess of bench over heading causes the general average amounts per cubic yard to be too low.
[E]Actual amount of excavation.
[F] Amount of excavation paid for.
| Drilling and Firing Data for Each Sub-division of Section | Drilling and Firing Data for Total Sections | |||||||||||||
|---|---|---|---|---|---|---|---|---|---|---|---|---|---|---|
| Sub- divisions | Volume of each sub- division paid for | No. of sets | No. of holes in set | No. times fired | Total lbs. of power per hole fired | Linear feet of tunnel broken | Total length drilled | Total length of similar headings | Length drilled per linear foot of tunnel | Cu yds per linear foot of tunnel | Total feet drilled per cubic yard | Total lbs. of power per linear foot of tunnel | Total lbs. of power per foot drilled | Total lbs. of power per cubic yard |
| a | b | c | d | e | f | g | h | i | j | k | l | m | n | o |
| A | 17.775 | [G]1 | 6 | 3 | 4.50 | Σ(c + d) ÷ g | (b + i) ÷ g | j ÷ k | (c + d + f) ÷ g | m ÷ j | m ÷ k | |||
| [H]1 | 9 | 1 | 1.50 | |||||||||||
| [I]1 | 6 | 1 | 1.00 | |||||||||||
| [J]1 | 6 | 1 | 0.75 | 6.0 | 195 | 2 | 65.00 | 5.925 | 10.97 | 17.00 | 0.261 | 2.848 | ||
| A' | 1.00 | 2 | 3-4 | 1 | 0.25 | 5.0 | 21 | 2 | 8.40 | 0.400 | 21.00 | 0.70 | 0.166 | 1.750 |
| B | 5.925 | [G]2 | 3-4 | 1 | 1.00 | 4.0 | 35 | 2 | 17.50 | 2.962 | 5.90 | 3.50 | 0.200 | 1.181 |
| C | [K]1 | 3 | 2 | 1.125 | ||||||||||
| 33.33 | 4 | 7 | 1 | 1.125 | 5.0 | 186 | 1 | 37.20 | 6.666 | 5.58 | 6.975 | 0.187 | 1.046 | |
| D | 6.665 | 2 | 5-6 | 1 | 0.75 | 3.0 | 33 | 2 | 22.00 | 4.444 | 4.95 | 5.500 | 0.250 | 1.237 |
| Total for Heading | 150.10 | 20.397 | 7.81 | 33.675 | 0.227 | 1.778 | ||||||||
| E | 50.00 | 9 | 5 | 1 | 1.50 | 5.0 | 405 | 1 | 81.00 | 10.000 | 8.10 | 13.500 | 0.167 | 1.350 |
| F | 88.88 | 10.5 | 4 | 2 | 1.50 | |||||||||
| [L]5.0 | 4 | 1 | 1.50 | 4.0 | 682 | 1 | 170.50 | 22.222 | 7.67 | 23.230 | 0.136 | 1.046 | ||
| G | 22.22 | 5.5 | 4 | 2 | 1.00 | 5.0 | 132 | 1 | 26.40 | 4.444 | 5.94 | 4.400 | 0.166 | 0.990 |
| Total for Bench | 277.90 | 36.666 | 7.56 | 41.150 | 0.150 | 1.133 | ||||||||
| H | 9.77 | 5 | 3 | 1 | 0.50 | |||||||||
| 4 | 6 | 1 | 0.50 | 6.0 | 156 | 1 | 26.00 | 1.628 | 15.96 | 3.250 | 0.125 | 1.995 | ||
| I | 26.66 | 8 | 5 | 1 | 1.00 | 6.0 | 252 | 2 | 84.00 | 4.444 | 18.90 | 13.333 | 0.158 | 3.000 |
| Total of Trench | 110.00 | 6.072 | 18.10 | 16.583 | 0.151 | 2.731 | ||||||||
| Total for Whole Section | 548.00 | 63.135 | 8.95 | 91.408 | 0.172 | 1.446 | ||||||||
| Powder taken at 0.5 lb. per stick | ||||||||||||||
[G] 6 Cut Holes-8 feet (Black circle)
[H] 9 First Side Rd. and Bottom-7 feet (Circle with dot in it)
[I] 6 Back Round-7 feet (Circle with line in it)
[J] 6 Top Back Round-7 feet (Circle with x in it)
[K] A' 7 Holes-3 feet (Open circle)
[L] line holes (Plus sign)
TABLE 7.—Analysis of Drilling Time on Section Gy-East.
| Position in Section. | Nature of Rock. | No. of Drill Shifts observed for average. | Average Time Taken: | Feet Drilled. | |||||||||
|---|---|---|---|---|---|---|---|---|---|---|---|---|---|
| Setting up. | Drilling. | Necessary delays. | Unnecessary delays. | Taking down machine. | Loading and firing. | Total drilling. | Mucking. | Total. | Per shift. | Per working hour. | |||
| h. m. | h. m. | h. m. | h. m. | h. m. | h. m. | h. m. | h. m. | h. m. | |||||
| Heading | Quartz | 8 | 0:38 | 4:52 | 1:40 | 0:05 | 0:04 | 7:19 | 2:41 | 10:00 | 22:00 | 2.86 | |
| Heading | Hard mica schist | 1 | 0:15 | 8:00 | 1:45 | 10:00 | 10:00 | 42.0 | 4.20 | ||||
| Bench | Quartz | 23 | 1:23 | 5:57 | 2:23 | 0:05 | 0:05 | 0:07 | 10:00 | 10:00 | 25.9 | 2.59 | |
| Bench | Medium mica schist | 16 | 1:10 | 6:08 | 1:50 | 0:12 | 0:07 | 0:07 | 9:34 | 0:26 | 10:00 | 22.22 | 2.32 |
| Center trench | Medium mica schist | 10 | 0:58 | 5:53 | 1:33 | 0:06 | 0:12 | 0:30 | 9:12 | 0:48 | 10:00 | 22.0 | 2.39 |
| Center trench | Soft mica schist | 9 | 1:10 | 6:40 | 1:17 | 0:10 | 0:20 | 0:23 | 10:00 | 10:00 | 26.44 | 2.64 | |
| General average | 67 | 1:08 | 5:58 | 1:53 | 0:07 | 0:09 | 0:12 | 9:27 | 0:33 | 10:00 | 24.1 | 2.54 | |
| Percentage | 11.3% | 59.7% | 18.9% | 1.1% | 1.5% | 2% | 94.5% | 5.5% | 100% | ||||
TABLE 8.--Analyzed Cost of Drilling.
| Item of Cost. | Cost per Foot of Hole Drilled | Cost per drill shift | ||||||
|---|---|---|---|---|---|---|---|---|
| 15 ft. 4 in. | 19 ft. 6 in. | 24 ft. 6 in. | Average. | 15 ft. 4 in. | 19 ft. 6 in. | 24 ft. 6 in. | Average. | |
| Drilling labor | $0.25 | $0.28 | $0.31 | $0.28 | $6.95 | $7.75 | $7.60 | $7.45 |
| Sharpening | 0.02 | 0.02 | 0.01 | 0.016 | 0.58 | 0.42 | 0.34 | 0.43 |
| Drill steel (5 in. per drill shift) | 0.007 | 0.007 | 0.006 | 0.007 | 0.19 | 0.20 | 0.15 | 0.19 |
| Drill repairs | 0.02 | 0.02 | 0.02 | 0.02 | 0.61 | 0.59 | 0.42 | 0.54 |
| High-pressure air | [M]0.05 | 0.04 | 0.07 | 0.07 | 1.39 | 1.86 | 1.67 | 1.82 |
| Totals | $0.35 | $0.38 | $0.41 | $0.385 | $9.67 | $10.82 | $10.18 | $10.43 |
General Methods.—Whenever any considerable support was needed for the ground, segmental timbering was used. In most cases, this was supported by wall-plates at the springing line, and was set with an allowance for settlement, so that it would be clear of the work when the masonry lining was put in. As the twin-tunnel section involved the excavation of the North and South Tunnels at the same time, the cross-section of the upper part of the excavation consisted of two quadrants rising from the springing line and connected at the top by a horizontal piece from 19 to 28 ft. in length. This made a rather flat arch to support by timbering.
The timber for the segmental work was 12 by 12-in. yellow pine. In light ground the bents were spaced at 5-ft. centers, in heavy ground 2-ft. 6-in. centers.
When the soft ground in the roof was struck, posts had to be used in the heading to support the caps. When the bench was removed, the posts were replaced by others down to the bottom of the excavation. These long posts were a great hindrance to all the work, and each replacement of short posts by long ones meant a settlement of the caps; consequently, it was decided to use in the section east of the cut-and-cover, where all the ground was heavy, a temporary inner bent of segmental timber, within and reinforcing the permanent bent, and resting on separate wall-plates. This is shown by Fig. 6. These temporary bents were inside the work, and were removed as the arch was built. However, the caps settled considerably in some cases, so that it was not possible to do away with posting entirely. [Pg 186]
In heavy ground the caps were set about 1 ft. above the neat line of the crown of the brick arch, in some cases they were set only 6 in. above, but the settlement was often more than this, causing great trouble in cutting out the encroaching timber when the arch had to be built.
In the tunnels east of the cut-and-cover portion, wall-plate headings were driven (shown by areas marked Aon Fig. 5), and, when a length of wall-plate had been set, the full-width heading was advanced a foot or two at a time, the timber segmental bents being set up as soon as possible; lagging was then driven over the cap into the soft ground. Fig. 6 shows the double set of segmental bents adopted in the 15-ft. 4-in. twin tunnels east of the cut-and-cover section.
When the soft ground came down so low as to interfere with the excavation of the wall-plate headings, a small heading was driven into the soft ground on the line of the ends of the caps, and lagging was driven down from this to the wall-plate heading, as illustrated in Fig. 4. [Pg 187]
In the 19-ft. 6-in. tunnels the wall-plate for the inner bent was supported by a side-bench, termed the "Raker" bench. This was left in position until the rest of the bench and the middle subgrade conduit trench had been excavated; it was then possible to support the caps by two rows of posts from subgrade level, take out the inner bents, and excavate the raker bench.
The 24-ft. 6-in. twin tunnels, which are at the extreme eastern end of this section, adjoining the open-cut work of the Terminal Station, and under Tenth Avenue, were driven from the Terminal Station-West, and the timbering had to be made very secure on account of the pipes and sewers in the street above. Detailed records were kept of the amount of timber used and the cost of labor and material expended in timbering. These records cover the same portion of tunnel as that for which the detailed records of drilling costs, previously referred to, were kept. These records are shown in Tables 9 and 10. It will be noted that the timber used in blocking, that is, filling up voids outside the main timbering, amounted to more than two-thirds of the total timber, and that the cost of labor in erecting the timbering exceeds the prime cost of the timber by about one-third. The following distinction is made between permanent and temporary timbering: The permanent timbering is that which is concreted in when the masonry is built; the temporary consists of the lower bents and posts, which have to be removed when the masonry is built.
Force Employed in Excavation.—A typical day's working force for drilling, blasting, mucking, and timbering is shown in Table 11.
Where there was any large quantity of soft ground in the roof, the timber gang was much larger than shown in Table 11, and was helped by the mucking gang. The drillers did most of the mucking out of the heading before setting up the drills.
Excavation of Weehawken Rock Tunnels.—This subject may be dismissed in a few words, as very few features of interest were called into play. The rock was of good quality, being the sandstone typical of this part of the country. Little or no timbering was needed, there were no buildings above the tunnel to be taken care of, and large charges of powder could be used. [Pg 188]
TABLE 9.— Supplementary Analysis of Timbering, Rock Tunnel Excavation Under 32d Street, East of Cut-and-Cover Section. Analyzed Cost of Timbering, per Foot Run and per Bent.
| Ke | |||
|---|---|---|---|
| Per foot run of tunnel | Per bent, 3 ft, 6 in., center to center | Per cubic yard excavation | |
| PERMANENT TIMBERING. | |||
| Lumber in feet, B. M. | |||
| Upper Bent. | 274 | 685 | 7.8 |
| Blocking. | 294 | 735 | 8.3 |
| Total. | 568 | 1,420 | 16.1 |
| Cost, in dollars. | |||
| Lumber. | 23.75 | 59.38 | 0.67 |
| Labor. | 37.50 | 93.75 | 1.06 |
| Total. | 61.25 | 153.13 | 1.73 |
| TEMPORARY TIMBERING. | |||
| Lumber in feet, B. M. | |||
| Lower Bent. | 479 | 11.97 | 13.6 |
| Blocking. | 193 | 483 | 5.5 |
| Total. | 672 | 16.80 | 19.1 |
| Cost, in dollars. | |||
| Lumber. | 29.13 | 72.81 | 0.82 |
| Erection labor. | 28.85 | 72.13 | 0.82 |
| Removal labor. | 8.29 | 20.73 | 0.23 |
| Total labor. | 37.14 | 92.86 | 1.05 |
| Total. | 66.27 | 165.67 | 1.87 |
| GRAND TOTAL. | |||
| Lumber in feet, B. M. | 1,240 | 3,100 | 35.2 |
| Cost, in dollars. | |||
| Lumber. | 52.88 | 132.19 | 1.49 |
| Labor. | 74.64 | 186.61 | 3.60 |
| Total. | 127.52 | 318.80 | |
| Ki | |||
| Per foot run of tunnel | Per bent, 3 ft, 6 in., center to center | Per cubic yard excavation | |
| PERMANENT TIMBERING. | |||
| Lumber in feet, B. M. | |||
| Upper Bent. | 227 | 830 | 5.3 |
| Blocking. | 164 | 601 | 3.8 |
| Total. | 391 | 1,431 | 9.1 |
| Cost, in dollars. | |||
| Lumber. | 16.84 | 61.56 | 0.39 |
| Labor. | 12.82 | 46.88 | 0.30 |
| Total. | 29.66 | 108.44 | 0.69 |
| TEMPORARY TIMBERING. | |||
| Lumber in feet, B. M. | |||
| Lower Bent. | 186.33 | 681.25 | 4.33 |
| Blocking. | 42.80 | 156.50 | 0.99 |
| Total. | 229.13 | 837.75 | 5.32 |
| Cost, in dollars. | |||
| Lumber. | 9.65 | 35.31 | 0.22 |
| Erection labor. | 10.38 | 37.97 | 0.24 |
| Removal labor. | 9.74 | 34.09 | 0.23 |
| Total labor. | 20.12 | 72.06 | 0.47 |
| Total. | 29.77 | 107.37 | 0.69 |
| GRAND TOTAL. | |||
| Lumber in feet, B. M. | 6.20 | 22.69 | 14.4 |
| Cost, in dollars. | |||
| Lumber. | 26.49 | 96.87 | 0.61 |
| Labor. | 32.94 | 118.94 | 0.77 |
| Total. | 59.43 | 215.81 | 1.38 |
| Ko | |||
| Per foot run of tunnel | Per bent, 3 ft, 6 in., center to center | Per cubic yard excavation | |
| PERMANENT TIMBERING. | |||
| Lumber in feet, B. M. | |||
| Upper Bent. | 261 | 962 | 4.1 |
| Blocking. | 408 | 1,508 | 6.5 |
| Total. | 669 | 24.70 | 10.5 |
| Cost, in dollars. | |||
| Lumber. | 28.00 | 103.38 | 0.44 |
| Labor. | 29.79 | 110.00 | 0.47 |
| Total. | 57.79 | 213.38 | 0.91 |
| TEMPORARY TIMBERING. | |||
| Lumber in feet, B. M. | |||
| Lower Bent. | 350 | 1,291 | 5.5 |
| Blocking. | 61 | 227 | 1.0 |
| Total. | 411 | 1,518 | 6.5 |
| Cost, in dollars. | |||
| Lumber. | 18.45 | 68.16 | 0.29 |
| Erection labor. | 20.83 | 76.92 | 0.33 |
| Removal labor. | 12.16 | 44.59 | 0.19 |
| Total labor. | 32.99 | 121.51 | 0.52 |
| Total. | 51.44 | 189.67 | 0.81 |
| GRAND TOTAL. | |||
| Lumber in feet, B. M. | 1,080 | 3,988 | 17.1 |
| Cost, in dollars. | |||
| Lumber. | 46.45 | 171.54 | 0.73 |
| Labor. | 62.78 | 231.50 | 0.99 |
| Total. | 109.23 | 403.04 | 1.72 |
TABLE 10.—Timbering:—Detailed Cost of Timber, Labor, and Superintendence. Rock Tunnel Excavation under 32d Street, East of Cut-and-Cover Section.
| Date. | Timber Used, in Feet, B. M. | Excavation in Cubic Yards. | Cost of Timber. | Cost of Labor. | Total Cost. | Cost per Cubic Yard (Actual). | Cost per Cubic Yard (Paid for). | Cost, per 1,000 Ft., B. M., of Total Timber. | ||||||||||||
|---|---|---|---|---|---|---|---|---|---|---|---|---|---|---|---|---|---|---|---|---|
| Main timber. | Blocking timber. | Total timber. | Actual. | Paid for. | Main. | Block. | Total. | Timber. | Labor. | Total. | Timber. | Labor. | Total. | Total timber. | Labor. | Total. | ||||
| 1907 | a | b | c | d | e | f | g | h | i | j | h / d | i / d | j / d | h / e | i / e | j / e | h / c | i / c | j / c | |
| Ke | May | 18,016 | 15,234 | 33,250 | 1,736 | 1,664 | $810 | $565 | $1,375 | $1,792 | $3,167 | $0.79 | $1.03 | $1.82 | $0.82 | $1.07 | $1.90 | $41.35 | $53.89 | $95.24 |
| June | 14,048 | 11,528 | 25,576 | 809 | 698 | 680 | 457 | 1,087 | 1,576 | 2,663 | 1.34 | 1.95 | 3.29 | 1.55 | 2.25 | 3.81 | 42.50 | 61.62 | 104.12 | |
| July | 20,092 | 7,339 | 27,431 | 1,022 | 960 | 900 | 300 | 1,200 | 1,580 | 2,780 | 1.16 | 1.55 | 2.72 | 1.25 | 1.64 | 2.89 | 43.74 | 57.60 | 101.34 | |
| August | 6,485 | 2,632 | 9,117 | 743 | 716 | 290 | 110 | 400 | 300 | 700 | 0.53 | 0.40 | 0.94 | 0.57 | 0.41 | 0.98 | 43.87 | 32.90 | 76.77 | |
| Sept. | 1,632 | 2,224 | 3,856 | 238 | 238 | 73 | 94 | 167 | 60 | 227 | 0.70 | 0.25 | 0.95 | 0.70 | 0.25 | 0.95 | 43.31 | 15.56 | 58.87 | |
| Removal | 663 | 663 | ||||||||||||||||||
| Total | 60,273 | 38,957 | 99,230 | 4,548 | 4,276 | $2,703 | $1,526 | $4,229 | $5,971 | $10,200 | $0.91 | $1.51 | $2.22 | $1.00 | $1.40 | $2.40 | $42.62 | $60.19 | $102.81 | |
| Ki | May | 3,537 | 3,537 | 614 | 527 | $150 | $150 | $100 | $250 | $0.24 | $0.16 | $0.40 | $0.28 | $0.19 | $0.47 | $42.41 | $28.27 | $70.68 | ||
| June | 300 | 300 | 357 | 259 | $14 | 14 | 44 | 58 | 0.04 | 0.12 | 0.16 | 0.05 | 0.17 | 0.22 | 46.66 | 146.33 | 193.33 | |||
| July | 7,776 | 5,811 | 13,587 | 530 | 404 | 350 | 233 | 583 | 525 | 7,108 | 1.10 | 0.99 | 2.09 | 1.44 | 1.30 | 2.74 | 42.91 | 38.64 | 81.54 | |
| August | 19,712 | 5,702 | 25,414 | 925 | 890 | 887 | 220 | 1,107 | 1,018 | 2,125 | 1.20 | 1.10 | 2.30 | 1.24 | 1.14 | 2.38 | 43.56 | 40.06 | 83.61 | |
| Sept. | 20,556 | 9,218 | 29,774 | 1,585 | 1,501 | 925 | 325 | 1,250 | 1,028 | 2,278 | 0.79 | 0.65 | 1.44 | 0.83 | 0.68 | 1.51 | 41.98 | 34.53 | 76.51 | |
| Removal | 1,669 | 1,407 | 1,139 | 1,139 | 0.68 | 0.68 | 0.81 | 0.81 | ||||||||||||
| Total | 48,344 | 24,268 | 72,612 | 5,680 | 4,988 | $2,176 | $928 | $3,104 | $3,854 | $6,958 | $0.55 | $0.68 | $1.23 | $0.63 | $0.77 | $1.40 | $42.75 | $53.09 | $95.84 | |
| Ko | May | 4,332 | 8,788 | 13,120 | 250 | 188 | $175 | $366 | $561 | $303 | $864 | $2.24 | $1.21 | $3.45 | $3.00 | $1.61 | $4.61 | $42.76 | $23.10 | $65.86 |
| June | 7,132 | 10,017 | 17,149 | 496 | 347 | 324 | 396 | 720 | 562 | 1,282 | 1.45 | 1.18 | 2.58 | 2.07 | 1.61 | 3.68 | 41.98 | 32.77 | 74.75 | |
| July | 3,070 | 200 | 3,270 | 626 | 606 | 134 | 10 | 144 | 156 | 300 | 0.23 | 0.25 | 0.48 | 0.23 | 0.26 | 0.49 | 44.04 | 47.70 | 91.74 | |
| August | 10,704 | 2,102 | 12,806 | 718 | 709 | 481 | 80 | 561 | 727 | 1,288 | 0.78 | 1.01 | 1.79 | 0.80 | 1.02 | 1.82 | 43.80 | 56.77 | 100.57 | |
| Sept. | 2,400 | 245 | 2,645 | 396 | 324 | 108 | 8 | 116 | 400 | 516 | 0.29 | 1.01 | 1.30 | 0.36 | 1.23 | 1.59 | 43.85 | 151.23 | 195.08 | |
| Removal | 209 | 211 | 535 | 535 | 2.56 | 2.56 | 2.54 | 2.54 | ||||||||||||
| Total | 27,638 | 21,352 | 48,990 | 2,695 | 2,385 | $1,242 | $860 | $2,102 | $2,683 | $4,785 | $0.78 | $1.00 | $1.78 | $0.88 | $1.12 | $2.00 | $42.91 | $54.75 | $97.65 | |
| Grand total | 136,255 | 84,577 | 220,832 | 12,923 | 11,649 | $6,121 | $3,314 | $9,435 | $12,508 | $21,943 | $0.73 | $0.97 | $1.70 | $0.81 | $1.07 | $1.88 | $42.73 | $56.65 | $99.38 | |
Work was begun on September 1st, 1904, immediately on the completion of the work on the shaft. The North and South Tunnels in this case are completely independent, as will be seen from Plate XXXIV. The procedure adopted was to drive a top heading on the center line of each tunnel and to break down the bench from this. The drilling was at first supplied with steam power from a temporary plant, as the contractor was at that time installing his permanent plant, which was finished at the end of November, 1904. At this time the rate of advance averaged 3½ lin. ft. of full section per day of 24 hours. By the end of January the Weehawken rock tunnels were completely excavated, and by the middle of April, 1905, the excavation for the shield chambers was finished; the erection of the shields was started at the end of that month.
| Grade. | Total No. | Rate per day. | Drilling and blasting: No. | Mucking: No. | Timbering: No. |
|---|---|---|---|---|---|
| Superintendent | 1 | $7.70 | ½ | ⅛ | ⅜ |
| Assistant engineer | 1 | 5.80 | ½ | ⅛ | ⅜ |
| Electrician | 1 | 3.50 | ½ | ⅛ | ⅜ |
| Engineer | 1 | 3.50 | 1 | ||
| Signalman | 1 | 2.00 | 1 | ||
| Foreman | 3 | 4.00 | 1 | 1 | 1 |
| Driller | 5 | 3.00 | 5 | ||
| Driller's helper | 5 | 2.00 | 5 | ||
| Laborers | 14 | 2.00 | 14 | ||
| Timbermen | 3 | 3.00 | 3 | ||
| Timbermen's helpers | 4 | 2.00 | 4 | ||
| Machinist | 1 | 4.00 | 1 | ||
| Blacksmith | 2 | 3.50 | 2 | ||
| Blacksmith's helper | 2 | 2.00 | 2 | ||
| Nipper | 2 | 2.00 | 2 | ||
| Waterboy | 1 | 2.00 | 1 | ||
| Total | 47 | 20½ | 17⅜ | 9⅛ |
The general scheme of excavation is shown by Plate XXXIII. The bench was kept 50 or 60 ft. behind the face of the heading. The powder used was 60% Forcite. The general system of drilling was as shown in Fig. 7. The average length of hole drilled per cubic yard of excavation was 2.9 ft., as against 7.70 ft. at Manhattan; and the amount of powder used was 1.96 lb. per cu. yd., as against 1.24 lb. at Manhattan. There was little timbering. A length of about 30 or 40 ft. adjoining the Weehawken shaft was timbered, and also a shattered seam of about 17 ft. in width between Stations 262 + 10 and 262 + 27.
The two entirely separate tunnels gave a cross-section which was much more easily timbered than the wide flat span at Manhattan, and the segmental timbering was amply strong without posts or other reinforcement.
Table 12 is a summary of the cost of excavating the Land Tunnels, based on actual records carefully kept throughout the work.
TABLE 12.—Cost of Excavation of Land Tunnels, in Dollars per Cubic Yard.
| Manhattan. | Weehawken. | Total yardage and average cost. | |
|---|---|---|---|
| Cubic yards excavated | 43,289 | 8,311 | 51,600 |
| Labor. | |||
| Surface transport | $0.49 | $0.87 | $0.55 |
| Drilling and blasting | 2.37 | 1.55 | 2.24 |
| Mucking | 2.49 | 2.08 | 2.42 |
| Timbering | 0.87 | 0.18 | 0.76 |
| Total labor | $6.22 | $4.68 | $5.97 |
| Material. | |||
| Drilling | $0.15 | $0.15 | $0.15 |
| Blasting | 0.21 | 0.21 | 0.21 |
| Timber | 0.39 | 0.20 | 0.36 |
| Total material | $0.75 | $0.56 | $0.72 |
| Plant running | $0.76 | $0.65 | $0.74 |
| Surface labor, repairs and maintenance | 0.15 | 0.08 | 0.14 |
| Field office administration | 1.05 | 1.18 | 1.07 |
| Total field charges | $8.96 | $7.15 | $8.64 |
| Chief office administration | $0.34 | $0.38 | $0.34 |
| Plant depreciation | 0.66 | 1.01 | 0.72 |
| Street and building repairs | 0.27 | 0.23 | |
| Total average cost per cubic yard | $10.23 | $8.54 | $9.93 |
Plates XXXII and XXXIV show in detail the tunnels as they were actually built. It will be seen that in all work, except in the Gy-East contract, there was a bench at each side of each tunnel in which the cable conduits were embedded. In Gy-East the bank of ducts which came next to the middle wall was carried below subgrade, and the inner benches were omitted.
The side-walls and subgrade electric conduits were water-proofed with felt and pitch. The water-proofing was placed on the outside of the side-walls (that is, on the neat line), and the space between the rock and the water-proofing was filled with concrete. This concrete was called the "Sand-Wall." [Pg 193]
The general sequence of building the masonry lining is shown in Fig. 8. The operations were as follows:
1.—Laying concrete for the whole height of the sand-walls, and for the floor and foundations for walls and benches up to the level of the base of the conduits;
2.—Water-proofing the side-walls, and, where there was a middle trench containing subgrade conduits, laying and water-proofing these conduits;
3.—Building concrete wall for conduits to be laid against, and, where there was a middle trench, filling up with concrete between the conduits;
4.—Laying conduits;
5.—Laying concrete for benches and middle-wall;
6.—Building haunches from top of bench to springing of brick arch;
7.—Building brick arch and part of concrete back-filling;
8.—Finishing back-filling.
The whole work will be generally described under the headings of Concrete, Brickwork, Water-proofing, and Electric Conduits.
Concrete.—The number of types and the obstructions caused by the heavy posting of the timbering made it inadvisable to use built-up traveling forms at the Manhattan side, though they were used in the Weehawken Rock Tunnels.
The specifications required a facing mixture of mortar to be deposited against the forms simultaneously with the placing of the concrete. This facing mixture was dry, about 2 in. thick, and was kept separate from the concrete during the placing by a steel diaphragm. The diaphragm was removed when the concrete reached the top of each successive layer, and the facing mixture and concrete were then tamped down together. This method was at first followed and gave good results, which was indeed a foregone conclusion, as the Weehawken shaft had been built in this way. However, it was found that as good results, in the way of smooth finish, were to be obtained without the facing mixture by spading the concrete back from the forms, so that the stone was forced back and the finer portion of the mixture came against the forms; this method was followed for the rest of the work. All corners were rounded off on a 1-in. radius by mouldings tacked to the forms. The side-bench forms were used about four times, and were carefully scraped, planed, filled at open joints, and oiled with soap grease each time they were set up. When too rough for face work they were used for sand-wall and other rough work.
The mixing was done by a No. 4 Ransome mixer, driven by 30-h.p. electric motors. The mixer at Manhattan was set on an elevated platform at the north end of the intercepting arch; that at Weehawken was placed at the entrance to the tunnels. The sand and stone were stored in bins above the mixers, and were led to the hoppers of the mixers through chutes. The hoppers were divided into two sections, which gave the correct quantities of sand and stone, respectively, for one batch. The water was measured in a small tank alongside. A "four-bag" batch was the amount mixed at one time, that is, it consisted of 4 bags of cement, 8¾ cu. ft. of sand, and 17½ cu. ft. of broken stone, and was called a 1 : 2½ : 5 mixture. It measured when mixed about ¾ cu. yd.
The cement was furnished to the contractor by the Railroad Company, which undertook all the purchasing from the manufacturer, as well as the sampling, testing, and storing until the contractor needed it. The Railroad Company charged the contractor $2 a barrel for this material.
The sand was required by the specifications to be coarse, sharp, and silicious, and to contain not more than 0.5% of mica, loam, dirt, or clay. All sand was carefully tested before being used. The stone was to be a sound trap or limestone, passing a 1½-in. mesh and being retained on ⅜-in. mesh. The contractor was allowed to use a coarser stone than this, namely, one that had passed a 2-in. and was retained on a 1½-in. mesh.
The concrete was to be machine-mixed, except in cases of local necessity. The quantity of water used in the mixture was to be such that the concrete would quake on being deposited, but the engineer was to use his discretion on this point. Concrete was to be deposited in such a manner that the aggregates would not separate. It was to be laid in layers, not exceeding 9 in. in thickness, and thoroughly rammed. When placing was suspended, a joint was to be formed in a manner satisfactory to the engineer. Before depositing fresh concrete, the entire surface on which it was to be laid was to be cleaned, washed and brushed, and slushed over with neat cement grout. Concrete which had begun to set was not to be used, and retempering was not to be allowed.
The forms were to be substantial and hold their shape until the concrete had set. The face forms were to be of matched and dressed planking, finished to true lines and surfaces; adequate measures were to be taken to prevent concrete from adhering to the forms. Warped or distorted forms were to be replaced. Plastering the face was not allowed. Rock surfaces were to be thoroughly washed and cleaned before the concrete was deposited.
These specifications were followed quite closely.
A typical working gang, as divided among the various operations, is shown below:
| Superintendence. | ||||||
| ½ | Superintendent | @ | $250 | per | month | |
| ½ | Assistant engineer | " | 150 | " | " | |
| 1 | Assistant superintendent | " | 150 | " | " | |
| Surface Transport. | ||||||
| 1 | Foreman | @ | $2.50 | per | day | |
| 1 | Engineer | " | 3.00 | " | " | |
| 1 | Signalman | " | 2.00 | " | " | |
| 16 | Laborers | " | 1.75 | " | " | |
| 3 | Teams | " | 7.50 | " | " | |
| Laying. | ||||||
| 1 | Foreman | @ | $4.00 | per | day | |
| 8 | Laborers | " | 2.00 | " | " | |
| Forms. | ||||||
| 1 | Foreman | @ | $4.50 | per | day | |
| 4 | Carpenters | " | 3.25 | " | " | |
| 5 | Helpers | " | 2.25 | " | " | |
| Tunnel Transport. | ||||||
| ¼ | Foreman | @ | $3.25 | per | day | |
| ¼ | Engineer | " | 3.00 | " | " | |
| ¼ | Signalman | " | 2.00 | " | " | |
| 4 | Laborers | " | 1.75 | " | " | |
| Mixers. | ||||||
| ¼ | Foreman | @ | $3.25 | per | day | |
| 2 | Laborers | " | 1.75 | " | " | |
The superintendent and assistant engineer looked after the brickwork and other work as well as the concrete. The surface transport gang handled all the materials on the surface, including the fetching of the cement from the cement warehouses.
The tunnel transport gang handled all materials in the tunnel, but, when the haul became too long, the gang was reinforced with laborers from the laying gang. Of the laying gang, two generally did the spading, two the spreading and tamping, and the remaining force dumped the concrete. The general cost of this part of the work is shown in Table 13.
The figures in Table 13 include the various items built into the concrete and some that are certificate extras in connection with the concrete, such as drains, ironwork and iron materials, rods and bars, expanded metal, doors, frames and fittings, etc.
Water-proofing.—According to the specifications, the water-proofing was to consist of seven layers of pitch and six layers of felt on the side-walls and a ½-in. layer of mastic, composed of coal-tar and Portland cement, to be plastered over the outside of the arches.
By the time the work was in hand, some distrust had arisen as to the efficiency of this mastic coating, and a great deal of study was devoted to the problem of how to apply a felt and pitch water-proofing to the arches. The difficulty was that there was no room between the rock and the arch or between the timber and the arch (as the case might be) in which to work. Several ingenious schemes of putting the felt on in layers, or in small pieces like shingles, were proposed and discussed, and a full-sized model of the tunnel arch was even built on which to try experiments, but it was finally decided to overcome the difficulty by leaving out the arch water-proofing altogether, and simply building in pipes for grouting through under pressure, in case it was found that the arch was wet.
As to the arch built through the length excavated by cut-and-cover on the New York side, it was resolved to water-proof that with felt and pitch exactly as the side-walls were done, the spandrel filling between the arches being raised in a slight ridge along the concrete line between tunnels in order to throw the water over to [Pg 198] the sides. The portions of arch not water-proofed were rather wet, and grouting with a 1:1 mixture was done, but only with the effect of stopping large local leaks and distributing a general dampness over the whole surface of the arch.
TABLE 13.—Cost of Concrete in Land Tunnels, in Dollars per Cubic Yard.
| Manhattan. | Weehawken. | Total yardage. | |
|---|---|---|---|
| Cubic yards placed | 14,706½ | 3,723 | 18,429½ |
| Labor. | Average Cost per Cubic Yard. | ||
| Surface transport | $0.31 | $1.43 | $0.54 |
| Superintendence and general labor at point of work | 0.31 | 1.31 | 0.51 |
| Mixing | 0.52 | 0.56 | 0.53 |
| Laying | 1.38 | 1.45 | 1.39 |
| Tunnel transport | 1.30 | 1.47 | 1.34 |
| Cleaning | 0.21 | 0.17 | |
| Forms: erecting and removal | 1.58 | 1.51 | 1.56 |
| Total labor | $5.61 | $7.73 | $6.04 |
| Material. | |||
| Cement | $2.30 | $2.22 | $2.28 |
| Sand | 0.34 | 0.40 | 0.36 |
| Stone | 0.91 | 0.61 | 0.85 |
| Lumber for forms | 0.47 | 0.45 | 0.47 |
| Sundry tunnel supplies | 0.16 | 0.17 | 0.16 |
| Total materials | $4.18 | $3.85 | $4.12 |
| Plant running | $0.44 | $0.44 | $0.44 |
| Surface labor, repairs and maintenance | 0.25 | 1.24 | 0.44 |
| Field office administration | 0.50 | 1.72 | 0.75 |
| Total field charges | $10.98 | $14.98 | $11.79 |
| Plant depreciation | $0.62 | $1.57 | $0.81 |
| Chief office administration | 0.24 | 0.31 | 0.25 |
| Total average cost per cubic yard | $11.84 | $16.86 | $12.85 |
| Cost of Miscellaneous Items in Concrete. | |||
| Manhattan. | Weehawken. | Average. | |
| Cubic yards | 14,706½ | 3,723 | 18,429½ |
| Amount, in dollars | $6,184.83 | $1,756.79 | $7,941.62 |
| Unit cost | 0.42 | 0.47 | 0.43 |
The 24-ft. 6-in. tunnel adjoining the Terminal Station-West was water-proofed by a surface-rendering method which, up to the present time, has been satisfactory. Generally speaking, the arches of the Land Tunnels, though not dripping with water, are the dampest parts of the whole structure from Tenth Avenue to Weehawken, and it would seem as if some form of water-proofing over these arches would have been a distinct advantage.
There was no difficulty in applying the water-proofing on the side-walls, after a little experience had been gained as to the best methods. The specifications required the sand-wall to be covered with alternate layers of coal-tar pitch and felt, seven layers of the former and six layers of the latter, the felt to be of Hydrex brand or other equally satisfactory to the engineer. The pitch was to be straight-run, coal-tar pitch which would soften at 60° Fahr., and melt at 100° Fahr., being a grade in which distillate oils, distilled from it, should have a specified gravity of 1.105. The pitch was to be mopped on the surface to a uniform thickness of 1/16 in., and a covering of felt, previously mopped with pitch, was to be applied immediately. The sheets were to lap not less than 4 in. on cross-joints and 12 in. on longitudinal joints, and had to adhere firmly to the pitch-covered surface. This layer was then to be mopped, and another layer placed, and so on until all the layers were in place. This water-proofing was to extend from the bottom of the cable conduits to the springing of the brick arch. Where sub-track conduits were used, these were to be surrounded with their own water-proofing. The work was carried out as specified; the sand-walls were not rendered, but were built smooth enough to apply the water-proofing directly to them. They were dried with gasoline torches before the application of the pitch, and in very wet sections grooves were cut to lead the water away.
The first attempts were with the felt laid in horizontal strips. This ended very disastrously, as the pitch could not sustain the weight of the felt, and the whole arrangement slipped down the wall. The felt was then laid vertically, being tacked to a piece of horizontal scantling at the top of the sand-wall and also held by a row of planks [Pg 200] braced against it at about half its height. A layer of porous brick was laid as a drain along the base of the water-proofing, covered by a single layer of felt to prevent it from becoming choked with concrete.
The water-proofing of the sub-track conduits was troublesome, as the numerous layers and the necessity for preserving the proper laps in both directions between adjacent layers made the whole thing a kind of Chinese puzzle. Various modifications, to suit local conditions, were made from time to time. Conduits outside the general outline of the tunnel are difficult to excavate, to lay, and to water-proof, and should be avoided wherever possible.
The usual force in water-proofing consisted of a foreman, at $3.50 per day, and nine laborers at $1.75 per day. These men not only laid the water-proofing, but transported the materials, heated the pitch, and cut up the rolls of felt. In general, two men transported material, one tended the heater, and the other six worked in pairs, two preparing the surface of the concrete sand-wall, two laying pitch, and two laying felt.
The cost of the water-proofing operation was about as shown in Table 14.
TABLE 14.— Cost of Water-Proofing, in Dollars per Square Foot.
| Manhattan. | Weehawken. | Total. | |
|---|---|---|---|
| Square feet covered | 47,042 | 13,964 | 60,736 |
| Average cost per square foot. | |||
| Labor | $0.07 | $0.07 | $0.07 |
| Material | 0.12 | 0.09 | 0.11 |
| Total field charges | $0.19 | $0.16 | $0.18 |
| Chief office and plant depreciation | 0.01 | 0.03 | 0.02 |
| Total average cost | $0.20 | $0.19 | $0.20 |
Brickwork in Arches.—Owing to the heavy timbering, the brickwork at Manhattan was interfered with to a considerable extent, and the gang was always kept at work at two or more places. The work was carried up to a point where it was necessary to back-fill, or prop or cut away encroaching timbers, and then the men were moved to another place while this was being done.
The centers were set up in sets of seven, spaced 4 ft. apart. Two [Pg 201] 14-ft. lengths of 3 by 4-in. yellow pine lagging were used with each set of ribs, with 24 by 8-in. block lagging in the crown.
All centers were set ¼ in. high, to allow for settlement, except in the 24-ft. 6-in. span, in which they were set ½ in. high. This proved ample, the average settlement of the ribs being 0.01 ft. and of the masonry, 0.003 ft. In the 24-ft. 6-in. span the ribs were strengthened with 6 by 6-in. blocking and 12 by 12-in. posts to subgrade. Great trouble was here encountered with encroaching timbering, due to the settlement of the wide flat span. Grout pipes were built in, as previously mentioned.
Each mason laid an average of 0.535 cu. yd. of brickwork per hour, or 4.28 cu. yd. per day. The number of bricks laid per mason per hour was 218, or 1,744 per day.
The bricks were of the best quality of vitrified paving brick, and were obtained from the Jamestown Brick Company, of Jamestown, N. Y. The average size was 8¾ by 3-15/16 by 2-7/16 in.; the average number per cubic yard of masonry was 408, the arches being from 19 ft. to 24 ft. 6 in. in span and from 22 to 27 in. thick. The joints were 3/16 in. at the face and averaged 9/16 in. through the arch.
The proportions for mortar were 1 of cement and 2½ of sand. One cubic yard of masonry was composed of 73.5% brick and 26.5% mortar. The volume of the ingredients in a four-bag batch was 12.12 cu. ft., and the resulting mixture was 9.54 cu. ft. The number of barrels of cement was 0.915 per cu. yd. of masonry, and about 17.7% of the mortar made was wasted. The average force employed was:
| Laying. | ||||||
|---|---|---|---|---|---|---|
| 1 | Foreman | @ | $8.00 | per | day | |
| 4 | Layers | " | 6.00 | " | " | |
| 8 | Tenders | " | 2.00 | " | " | |
| 2 | Mixers | " | 2.00 | " | " | |
| Forms. | ||||||
| 1 | Foreman | @ | $4.50 | per | day | |
| 4 | Carpenters | " | 3.50 | " | " | |
| 5 | Helpers | " | 2.25 | " | " | |
| Transport. | ||||||
| ¼ | Hoist engineer | @ | $3.00 | per | day | |
| ¼ | Signalman | " | 2.00 | " | " | |
| 4 | Laborers | " | 2.00 | " | " | |
For materials, the following prices prevailed:
Cement, $2.00 per bbl.,
Sand, $0.90 to $1.00 per cu. yd.,
Brick, $16.00 per thousand, delivered at yard,
Centers, $26.00 each,
Lagging, $45.00 per 1,000 ft. B. M.
The cost of the brickwork is given in Table 15.
TABLE 15.—Cost of Brickwork.
| Manhattan. | Weehawken. | Total. | |
|---|---|---|---|
| Cubic yards placed | 4,137 | 790 | 4,927 |
| Labor. | Average Cost per Cubic Yard. | ||
| Surface transport | $0.35 | $1.19 | $0.48 |
| Superintendent and general labor at point of work | 0.17 | 0.04 | 0.16 |
| Laying and mixing | 2.58 | 3.20 | 2.60 |
| Forms: erection and removal | 2.62 | 0.32 | 2.25 |
| Tunnel transport | 1.19 | 1.12 | 1.18 |
| Total labor | $6.91 | $5.87 | $6.75 |
| Material. | |||
| Brick | $6.56 | $6.56 | $6.56 |
| Cement | 1.76 | 1.75 | 1.76 |
| Sand | 0.20 | 0.28 | 0.22 |
| Forms | 0.92 | 0.98 | 0.98 |
| Overhead conductor pockets | 0.15 | 0.09 | 0.13 |
| Total material | $9.59 | $9.66 | $9.60 |
| Plant running | $0.55 | $0.30 | $0.51 |
| Surface labor, repairs and maintenance | 0.36 | 1.30 | 0.51 |
| Field office administration | 0.55 | 0.88 | 0.60 |
| Total field charges | $17.96 | $18.01 | $17.97 |
| Chief office administration | $0.60 | $0.66 | $0.61 |
| Plant depreciation | 0.35 | 0.64 | 0.39 |
| Total average cost per cubic yard | $18.91 | $19.31 | $18.97 |
In Table 16 the cost of grout is expressed in terms of barrels of cement used, because in the schedule of prices attached to the contract, that was the unit of payment for grout. [Pg 203]
TABLE 16.—Cost of Grout Over Arches in Land Tunnels.
Cost, in Dollars per Barrel of Cement Used.
| Manhattan. (Gy-East only.) | Weehawken. | Total. | |
|---|---|---|---|
| Barrels used | 3,000½ | 261½ | 3,262 |
| Average Cost per Barrel of Cement Used. | |||
| Labor | $0.55 | $0.46 | $0.53 |
| Material | 2.30 | 2.25 | 2.28 |
| Field office administration | 0.08 | 0.06 | 0.08 |
| Plant and supplies | 0.10 | 0.07 | 0.09 |
| Total field charges | $3.03 | $2.84 | $2.98 |
| Chief office and plant depreciation | 0.21 | 0.22 | 0.28 |
| Total average cost | $3.24 | $3.06 | $3.20 |
Vitrified Earthenware Conduits for Electric Cables.—The general drawings will show how the ducts were arranged, and that manholes were provided at intervals. They were water-proofed, in the case of those embedded in the bench, by the general water-proofing of the tunnels, which was carried down to the level of the bottom of the banks of ducts; and in the case of those below subgrade, by a special water-proofing of felt and pitch wrapped around the ducts themselves.
The portion of wall in front of the ducts was bonded to that behind by bonds, mostly of expanded metal, passing between the ducts. Examples of the bonding will be seen in the drawings.
The joints between successive lengths of 4-way and 2-way ducts were wrapped with two thicknesses of cotton duck, 6 in. wide, those of single-way ducts were not wrapped, but plastered with cement mortar. The ducts were laid on beds of mortar, and were made to break joints at top and bottom and side to side with the adjacent ducts. They were laid with a wooden mandrel; a square leather washer at the near end acted as a cleanser when the mandrel was pulled through.
The specifications required the ducts to be laid at the same time as the concrete and be carried up with it, but this was found to be a very awkward operation, as the tamping of the concrete and the [Pg 204] walking of men disturbed the ducts, especially as the bonds lay across them. It was resolved, therefore, to build the portion of the wall behind the ducts first, with the bonds embedded in it at the proper heights and projecting from it, then to lay up the banks of ducts against this wall, bending the bonds down as they were reached, and finally, after all the ducts were in, to lay the concrete in front of and over the top of the ducts. Several detailed modifications of this general scheme were followed at one time or another when necessary or advisable.
The laying of ducts below subgrade was not complicated by the presence of bonds, the water-proofing caused the trouble here, as before described.
The specifications called for a final rodding after completion. A group of the apparatus used in this process is shown in Fig. 1, Plate XXXV; the various parts are identified by the following key:
| 1.—4-way duct, for telephone and telegraph cables, |
| 2.—2-way duct, for telephone and telegraph cables, |
| 3.—1-way duct, for high- and low-tension cables, |
| 4.—Plug for closing open ends of ducts, |
| 5.—Plug for closing open ends of ducts in position, |
| 6, 7, and 8.—Cutters for removing obstructions, |
| 9.—Hedgehog cutter for removing grout in ducts, |
| 10.—Rodding mandrel for multiple ducts, |
| 11.—Laying mandrel, |
| 12.—Rodding mandrel, with jar-link attached, |
| 13.—Laying mandrel, |
| 14 and 15.—Rubber-disk cleaners, used after final rodding, |
| 16 and 17.—Sectional wooden rods used for rodding, |
| 18.—Section of iron rods used for rodding, |
| 19.—Jar-link, |
| 20.—Cotton duck for wrapping joints of multiple ducts, |
| 21.—Hook for pulling forward laying mandrel, |
| 22.—Top view of trap for recovering lost or broken rods left in ducts. |
Ordinary ¾-in. gas pipe was used for the rod, and a cutter with rectangular cross-section and rounded corners was run through ahead of the mandrel: following the cutter came a scraper consisting of several square leather washers, of the size of the ducts, spaced at intervals on a short rod. The mandrel itself was next put through, three or four men being used on the rods. All the ducts in a bank were thus rodded from manhole to manhole. When a duct was rodded it was plugged at each end with a wooden plug. A solid wooden paraffined plug was used at first, but afterward an expansion plug was used.
Very little trouble was met in rodding the power conduits, except for a few misplaced ducts, or a small mound of mortar or a laying mandrel left in. At such points a cut was made in the concrete and the duct replaced.
In the subgrade telephone and telegraph ducts east of the Manhattan Shaft, much trouble was caused by grout in the ducts. The mandrel and cutters were deflected and broke through the web of the ducts rather than remove this hard grout. Trenches had to be cut from the floor to the top of the water-proofing, the latter was then cut and folded back, and the ducts replaced. To do this, a number of ducts had to be taken out to replace the broken ones and get the proper laps. The water-proofing was then patched and the concrete replaced. This grout had not penetrated the water-proofing, but had got in through the ends of the ducts where they had not been properly plugged and protected. The duct gang, both for laying and rodding, generally consisted of
1 Foreman, at $3.50 per day,
and 9 laborers, at $1.75 per day.
When laying: 4 men were laying, 2 men mixing and carrying mortar, and 3 were transporting material. When rodding: 4 men were rodding, 2 men at adjacent manholes were connecting and disconnecting cutters and mandrels, 1 was joining up rods, and 2 men assisting generally.
The cost of this work is shown in Table 17.
The track on the surface and in the tunnels was of 20-lb. rails on a 2-ft. gauge.
The excavation was handled in scale-boxes carried on flat cars, and the concrete in 1¼-cu. yd. mining cars dumping either at the side or end.
TABLE 17.—Cost of Conduit Work.
| Manhattan. | Weehawken. | Total. | |
|---|---|---|---|
| Duct feet | 115,962 | 35,155 | 151,117 |
| Average Cost per Duct Foot. | |||
| Labor | $0.035 | $0.032 | $0.034 |
| Material | 0.043 | 0.052 | 0.045 |
| Total field charges | 0.078 | 0.084 | 0.079 |
| Chief office and plant depreciation | 0.005 | 0.008 | 0.006 |
| Total average cost | $0.083 | $0.092 | $0.085 |
When the haulage was up grade, 6 by 6-in. Lidgerwood hoisting engines, with 10-in. single friction drums, and driven by compressed air from the high-pressure lines, were used. Down grade, cars were moved and controlled by hand.
The muck which came through the shaft at Manhattan was dumped into hopper bins on the surface and thence loaded into trucks at convenience. At the open cut, the muck was dumped into trucks direct. The trucking was sublet by the contractor to a sub-contractor, who provided trucks, teams, and trimmers at the pier. At Weehawken, arrangements were made with the Erie Railroad which undertook to take muck which was needed as fill. The tunnel cars, therefore, were dumped directly on flat cars which were brought up to a roughly made platform near the shaft.
The hoisting at Manhattan was by derrick at Tenth Avenue and the open cut, and by the elevator at the Manhattan Shaft. At Weehawken, all hoisting was done by the elevator in the shaft.
The sand and stone were received at the wharves by scows. At Manhattan, these materials were unloaded on trucks by an overhead traveler, and teamed to the shaft, where they were unloaded by derricks into the bins. At Weehawken, they were unloaded by an orange-peel grab bucket, loaded into cars on the overhead trestle, transported in these to the top of the shaft, and discharged into the bins.
The cement at Manhattan was trucked from the Company's warehouse, at Eleventh Avenue and 38th Street, to the shaft, where it was [Pg 207] put into a supplementary storage shed at the top of the shaft, whence it was removed to the mixer by the elevator when needed. At Weehawken, it was taken on flat cars directly from the warehouse to the mixer.
Temporarily and for a short time at the start, kerosene flares were used for light until replaced by electric lights, the current for which was furnished by the contractor's generators, which have been described under the head of "Power Plant."
The lamps used along the track were of 16 c.p., and were protected by wire screens; these were single, but, wherever work was going on, groups of four or five, provided with reflectors, were used.
Two pumps were installed at the Manhattan Shaft. They had to handle the water, not only from the rock tunnels, but also from those under the river. One was a Deane compound duplex pump, having a capacity of 500 gal. per min., the other, a Blake pump, of 150 gal. per min. They were first driven by steam direct from the power-house, but compressed air was used later. When the power-house was shut down, an electrically-driven centrifugal pump was used. This was driven by a General Electric shunt-wound motor, Type C-07½, with a speed of 1,250 rev. per min. at 250 volts and 37.5 amperes (10 h.p.) when open, and 22.9 amperes (6 h.p.) when closed, and had a capacity of 450 gal. per min. To send the water to the shaft sump during the construction, small compressed-air Cameron pumps, of about 140 gal. per min., were used.
At the Weehawken shaft two pumps were used; these dealt with the water from the Bergen Hill Tunnels as well as that from the Weehawken Tunnels. At first a Worthington duplex pump having a capacity of about 500 gal. per min. was used. Later, this was replaced by a General Electric shunt-wound motor, Type O-15, with a speed of 925 rev. per min. at 230 volts and 74 amperes (20 h.p.) when open, and 38.5 amperes (10 h.p.) when closed. Its capacity was 240 gal. per min. During the progress of the construction, the water was pumped from the working face to the shaft by small Cameron pumps similar to those used at Manhattan. When the work was finished, [Pg 208] a subgrade reversed-grade drain carried the water to the shaft sump by gravity.
The work in the Manhattan Land Tunnels was practically finished by May 1st, 1908, though the ventilating arrangements and overhead platform in the intercepting arch were not put in until after the River Tunnel concrete was completed, so that the work was not finished until September, 1909.
The Weehawken Land Tunnels work was finished in July, 1907, but the benches and ventilating arrangements in the Weehawken Shaft were not put in until after the completion of the Bergen Hill Tunnels, and so were not finished until August, 1909.
The reinforced concrete wall around the Weehawken Shaft, together with the stairs from the bench level of the shaft to the surface, was let as a separate contract; the work was started on September 15th, 1909, and finished by the end of December, 1909.
The River Tunnel work, from some points of view, has the most interest. It is interesting because it is the first main line crossing of the formidable obstacle of the Hudson River, and also by reason of the long and anxiously discussed point as to whether, in view of the preceding experiences and failures to construct tunnels under that river, foundations were needed under these tunnels to keep them from changing in elevation under the action of heavy traffic.
The River Tunnels here described start on the east side of the shield chambers on the New York side and end at the east side of the shield chambers on the New Jersey side. They thus include the New York and exclude the New Jersey shield chambers, the reason for such discrimination being that the New York shield chambers are lined with cast iron while those on the New Jersey side are of the typical rock section type, as already described. The design of the tunnels and their accessories will be first described, then will come the construction of the tunnels as far as the completion of the metal lining, followed by a description of the concrete lining and completion of the work.
New York Shield Chambers.—The shield chambers may be seen on Plate XXXII, previously referred to, which shows the junction of the iron-lined tunnels and the shield chambers. They consist of two [Pg 209] iron-lined pieces of tunnel placed side by side, with semi-circular arches and straight side-walls. The segments of the arch are made to break joint with one another by making the side-wall or column castings of two different heights, as shown in Fig. 9. The length of each ring is 18 in.
The reason for the adoption of this type of construction was the necessity for keeping the width of the permanent structure within the 60-ft. width of the street. The length of this twin structure is 28.5 ft., and the weight of the metal in it is as follows:
| 19 long-column arch rings at 22,802 lb. | 433,238 | lb. |
| 19 short-column arch rings at 23,028 lb. | 437,532 | " |
| --------- | ||
| Total weight | 870,770 | lb. |
General Type of River Tunnel Lining.—The main ruling type adopted for the tunnels under the Hudson River, and in the soft water-bearing ground for some distance on the shoreward side of the river lines, consists of two parallel metal-lined tunnels, circular in cross-section, each tunnel being 23 ft. outside diameter, and the two tunnels 37 ft. apart from center to center, as shown on Fig. 10. The metal lining is of cast iron (except for a few short lengths of cast steel) and of the usual segmental type, consisting of "Rings" of iron, each ring being 2 ft. 6 in. in length, and divided by radial joints into eleven segments, or "Plates," with one "Key," or closing segment, having joints not radial but narrower at the outside circumference of the metal lining than at the inside. The whole structure is joined, segment to segment, and ring to ring, by mild-steel bolts passing through bolt holes in flanges of all four faces of each segment. The joints between the segments are made water-tight by a caulking of sal-ammoniac and iron borings driven into grooves formed for the purpose on the inner edges of the flanges. The clearances between the bolts and the bolt holes are also made water-tight by using grummets or rings of yarn smeared with red lead, having a snug fit over the shank of the bolt and placed below the washer on either end of each bolt. When passing through ground more or less self-sustaining, the space outside the iron lining (formed by the excavation being necessarily rather larger than the external diameter of the lining itself) was filled with grout of 1:1 Portland cement and sand forced by air pressure through grout holes in each segment. These holes were tapped, and were closed with a screw plug before and after grouting. [Pg 210]
Having thus stated in a general way the main ruling features of the design, a detailed description of the various modifications of the ruling type will be given.
The two main divisions of the iron lining are the "ordinary" or lighter type and the heavy type. The details of the ordinary iron are shown in Fig. 11, which shows all types of lining. It was on this design that the contract was let, and it was originally intended that this should be the only type of iron used. The dimensions of the iron are clearly shown on the drawing, and it will be seen that the external diameter is 23 ft., the interior diameter, 21 ft. 2 in., the length of each ring, 2 ft. 6 in., and the thickness of the iron skin or web, 1½ in. The bolt holes in the circumferential flanges are evenly spaced through the [Pg 212] circle, so that adjacent rings may be bolted together in any relative position as regards the radial joints, and, as a matter of fact, in the erection of the tunnel lining, all the rings "break joint," with the exception of those at the bore segments, as will be described later. This type of iron, when the original type was modified, came to be known as the ordinary pocketless iron; that is, the weight is of the ordinary or lighter type, in contradistinction to the heavier one, which later supplanted it, and the caulking groove runs along the edges of the flanges and does not form pockets around the bolt holes, as did the groove in a later type.
Each ring is made up of eleven segments and a key piece. Of these, nine have radial joints at both ends, and are called "A" segments; two, called "B" segments, have a radial joint at one end and a non-radial joint at the other. The non-radial joint is placed next to the key, which is 12.25 in. wide at the outside circumference of the iron and 12.50 in. wide at the inside.
The web is not of uniform thickness. The middle part of each A and B segment is 1½ in. thick; at the distance of 6 in. from the root of each flange, the thickness of web begins to increase, so that at the root it is 2⅜ in. thick. The web of the key plate is 1¾ in. thick.
The bolts are of mild steel, and are 1½ in. in diameter; there are 67 in one circumferential joint and 5 in each radial joint. As there are 12 such radial joints, there are altogether 60 bolts in the cross-joints, making a total of 127 bolts per ring.
This original type of ordinary iron was modified for a special purpose as follows: It was known that for some distance on either side of the river, and especially at Weehawken, the tunnels would pass through a gravel formation, rather open, and containing a heavy head of water. It was thought that, by carrying the caulking groove around the bolt holes, it would be possible to make them more water-proof than by the simple use of the red-leaded grummets. Hence the "Pocket Iron" was adopted for this situation, the name being derived from the pocket-like recess which the caulking groove formed when extended around the bolt hole. The details of this lining are shown on Fig. 11, and the iron (except for the pockets) is exactly like the pocketless type. [Pg 213]
On the New York side, in both North and South Tunnels, two short lengths were built with cast-steel lining. This was done where unusual stresses were expected to come on the lining, namely, at the point where the invert passed from firm ground to soft, and also where the tunnels passed under the heavy river bulkhead wall.
The design was precisely the same as for the ordinary pocketless iron, and Fig. 11 shows the details. After the tunnels had entered into the actual under-river portion, several phenomena (which will be described later) led to the fear that the tunnels, being lighter than the semi-liquid mud they displaced, might be subject to a buoyant action, and therefore a heavier type of lining was designed. The length of ring, number of bolts, etc., were just the same as for the lighter iron, but the thickness of the web was increased from 1½ to 2 in., the thickness of the flanges was proportionately increased, and the diameter of the bolts was increased from 1½ to 1¾ in. This iron was all of the pocketless type, shown in Fig. 11. Table 18 gives the weights of the various types of lining.
TABLE 18.—Weights of Tunnel Lining, Diameter and Weights of Bolts, etc.
| Reference No. | Type of Lining. | Weight of one "A" Segment, in pounds. | Weight of one "B" Segment, in pounds | Weight of one key, in pounds. | Weight of one complete ring, in pounds. | Diameter of bolts, in inches. | Weight of 1 bolt, nut, and 2 washers, in pounds. | Weight of bolts, nuts, and washers per ring, in pounds. | Total weight of one ring (segments and bolts), in pounds. |
|---|---|---|---|---|---|---|---|---|---|
| 1 | Ordinary cast iron without caulking pockets. | 2,063 | 2,068 | 480 | 23,183 | 1½ | 6.62 | 840.7 | 24,024 |
| 2 | Ordinary cast iron with caulking pockets. | 2,038 | 2,043 | 469 | 22,897 | 1½ | 6.62 | 840.7 | 23,738 |
| 3 | Ordinary cast steel without caulking pockets. | 2,247 | 2,252 | 522 | 25,249 | 1½ | 6.62 | 840.7 | 26,090 |
| 4 | Heavy cast iron without caulking pockets. | 2,579 | 2,584 | 606 | 28,985 | 1¾ | 10.50 | 1,333.5 | 30,319 |
Weights of Various Types of Lining per Linear Foot of Tunnel.
| Reference No. | Type of Lining. | Weights of complete rings (segments only), in pounds. | Weights of bolts, nuts, and washers, in pounds. | Weights of segments and bolts in tunnel complete, in pounds. |
|---|---|---|---|---|
| 1 | Ordinary cast iron without pockets. | 9,273.0 | 336.3 | 9,609.6 |
| 2 | Ordinary cast iron with pockets. | 9,158.8 | 336.3 | 9,495.2 |
| 3 | Ordinary cast steel without pockets. | 10,099.6 | 336.3 | 10,436.0 |
| 4 | Heavy cast iron without pockets. | 11,594.0 | 533.4 | 12,127.6 |
The weights in Table 18 are calculated by assuming cast iron to weigh 450 lb. per cu. ft., and cast steel 490 lb. In actual practice the "ordinary" iron was found to weigh a little more than the weights given, and the "heavy" a little less.
The silt in the sub-river portion averaged about 100 lb. per cu. ft., so that the weight of the silt displaced by the tunnel was about 41,548 lb. per lin. ft.
Taper Rings.—In order to pass around curves (whether horizontal or vertical), or to correct deviation from line or grade, taper rings were used; by this is meant rings which when in place in the tunnels were wider than the standard rings, either at one side (horizontal tapers or "Liners"), or at the top ("Depressors"), or at the bottom ("Elevators").
In the original design a ½-in. taper was called for, that is, the wide side of the ring was ½ in. wider than the narrow side, which was of the standard width of 2 ft. 6 in. As a matter of fact, during construction, not only ½-in., but ¾-in. and 1-in. tapers were often used.
These taper rings necessitated each plate having its own unalterable position in the ring, hence each plate of the taper ring was numbered, so that no mistake could be made during erection.
The taper rings were made by casting a ring with one circumferential flange much thicker than usual, and then machining off this flange to the taper. This was not only much cheaper than making a special pattern for each plate, but made it possible to see clearly where and what tapers were used in the tunnel.
Taper rings were provided for all kinds of lining (except the cast steel), and the lack of taper steel rings was felt when building the steel-lined parts of the tunnel, as nothing could be done to remedy deviations from line or grade until the steel section was over and cast iron could again be used. Table 19 gives the weights of the different kinds of tapers used.
TABLE 19.— Weights of Cast-Iron Taper Rings, in Pounds per Complete Ring.
| Classification. | Weight of cast iron per complete ring, in pounds. |
|---|---|
| Ordinary pocketless ½-in. taper | 23,767.7 |
| Ordinary pocketless 1-in. taper | 24,352.4 |
| Ordinary pocket ½-in. taper | 23,481.7 |
| Heavy pocketless ½-in. taper | 29,564.8 |
| Heavy pocketless ¾-in. taper | 29,854.7 |
| Heavy pocketless 1-in. taper | 30,144.6 |
Cast-Steel Bore Segments and Accessories.—The following feature of these tunnels is different from any hitherto built. It was the original intention to carry the rolling load independent of the tunnel, or to assist the support of the silt portion of the structure by a single row of screw-piles, under each tunnel, and extending down to firmer ground than that through which the tunnels were driven. Therefore, provision had to be made whereby these piles could be put down through the invert of the tunnel with no exposure of the ground.
This provision was afforded by the "Bore Segments," which are shown in detail in Fig. 12. There are two segments, called No. 1 and No. 2, respectively. These two segments are bolted together in the bottom of two adjacent rings, and thus form a "Pile Bore." As the piles were to be kept at 15-ft. centers, and as the tunnel rings were 2 ft. 6 in. in length, it will be seen that, between each pair of bore-segment rings, there came four "Plain" rings. The plain rings were built up so that the radial joints broke joint from ring to ring, but with the bore-segment rings this could not be done, without unnecessarily adding to the types of segments. [Pg 217]
The bore segments were made of cast steel, and were quite complicated castings, the principle, however, was quite simple. The segments provided an opening just a little larger than the shaft of the pile, the orifice being 2 ft. 7 in. in diameter at the smallest (lowest) point, while the shaft of the pile was to be 2 ft. 5¼ in. In order to allow of the entry of the screw-blade or helix of the pile, a slot was formed in the depth of Bore Segment No. 1, so that, when a pile was put in position above the bore, the blade, when revolved, would enter the slot and thus pass under the metal lining, although the actual orifice was only slightly larger than the pile shaft.
The wall of the pile orifice in Segment No. 2 was made lower than that in No. 1 so as to allow the blade to enter the slot in Segment No. 1. When the pile is not actually in process of being sunk, this lower height in No. 2 is made up with the removable "distance piece." This had a tongue at one end which engaged in a recess cast to take it in Segment No. 2 and was held in place by a key piece at the other end of the distance piece. Details of the distance piece and key are shown in Fig. 12.
The flanges around the pile bore were made flat and furnished with twelve tapped holes, six in Segment No. 1 and six in Segment No. 2, for the purpose of attaching the permanent arrangements in conjunction with which the pile was to be attached to the track system, independently of the tunnel shell, or directly to the tunnel. It was never decided which of these alternatives would be used, for, before this decision was reached, it was agreed that, at any rate for the present, it was better not to put down piles at all.
To close the bore, the "Bore Plug" was used. This is shown on Fig. 12. It was of cast steel, and was intended to act as a permanent point of the screw-pile, that is, the blade section was to be attached to the bore plug, the distance piece and key were to be removed, and the pile was to be rotated until the blade had cleared the slot; the distance piece and key were then to be replaced and sinking resumed.
The plug was held in place against the pressure of the silt by the two "dogs," while the dogs themselves were attached to the tunnel, as shown in Fig. 12. The ends of the dogs, which rested on the flanges of the metal lining of the tunnel, were prevented from being knocked off the flanges (and thus releasing the plug) by steel clips.
It was expected that it might be desirable to keep the lower end [Pg 218] of the piles open during their sinking, so that the bore plugs were not made permanently closed, but a seating was formed on the inner circumference of the plug, and on the seating was placed the "Plug Cover," made of cast iron, 18¾ in. in diameter and 3 in. thick, furnished with a lug for lifting and a 3-in. tapped hole closed by a screw-plug, through which any soundings or samples of ground could be taken prior to sinking the piles. This plug cover was held in place by a heavy steel "Yoke" under it, which engaged on the under side of the flange, on top of which the cover was set. The yoke was attached to the cover by a 1¾-in. tap-bolt, screwed into the yoke and passing through a 2-in. hole bored in the center of the cover. This rather peculiar mode of attaching the cover was adopted so that the cover could be removed by taking off the nut of the yoke, in case it was desired to open the end of the pile during the process of sinking.
The plug was a fairly close fit at the bottom of the orifice, that is, at the outside circumference of the tunnel, where the bore was 2 ft. 7 in. in diameter and the plug 2 ft. 6¾ in., but at the top of the bore-segment there was more clearance, as the plug was cylindrical while the bore tapered outward. To fill this space, it was intended that steel wedges should be used while the shield was being driven, so that they would withstand the crushing action of the thrusting shield, and, when the shield was far enough ahead, that they should be removed and replaced by hardwood wedges. This method was only used in the early weeks of the work; the modification of not using the shield-jacks which thrust against the bore segments was then introduced, and the wooden wedges were put in, when the bore plugs were set in place, and driven down to the stage of splitting.
When it was resolved not to sink the screw-piles, the bores had to be closed before putting in the concrete lining. This was done by means of the covers shown in Fig. 13. The bore plug and all its attachments were removed, and the flat steel cover, 2 in. thick and with stiffening webs on the under side, was placed over the circular flanges of the pile bore. The cover was attached to the bore segments by twelve 1½-in. stud-bolts, 6 in. long, in the bolt holes already mentioned as provided on these flanges.
When these were in place, with lead grummets under the heads of the bolts, and the grooves caulked, the bore segments were water-tight [Pg 219]tight, except in Bore Segment No. 2, at the joint of the distance piece; and, to keep water from entering here, this segment was filled to the level of the top of the flanges with 1:1 Portland cement mortar.
The weights of the various parts of the bore segments are given in Table 20.
TABLE 20.— Weights of Bore Segments and Accessories, in Pounds.
| Part. | No. | Material. | Weight, in pounds. |
|---|---|---|---|
| Bore Segment No. 1 | 1 | Cast Steel | 3,004.0 |
| Bore Segment No. 2 | 1 | " " | 2,628.0 |
| Distance piece | 1 | " " | 423.5 |
| Key | 1 | " " | 34.3 |
| Plug | 1 | " " | 1,192.5 |
| Yoke | 1 | " " | 57.3 |
| Dogs | 2 | " " | 106.0 |
| Slot cover | 1 | Rolled steel | 6.4 |
| Plug cover | 1 | Cast iron | 162.0 |
| Dog holders | 2 | Rolled steel | 6.4 |
| Complete weight of one pair, without bolts | 7,620.4 | ||
Sump Segments.—In order to provide sumps to collect the drainage and leakage water in the subaqueous tunnels, special "sump segments" were installed in each tunnel at the lowest point—about Station 241 + 00. The details of the design are shown in Fig. 14. The segment was built into the tunnel invert as though it were an ordinary "A" segment. In building the sump, three lining castings were bolted, one on top of the other, and attached to the flat upper surface of the sump segment; meanwhile, the bolts attaching the sump segment to the adjacent tunnel plates were taken out and the plate and lining segments were forced through the soft mud by hydraulic jacks, the three 6-in. holes in the bottom of the sump segment being opened in order to minimize the resistance. The sump when built appeared as shown in Fig. 14, the top connection being made with a special casting, as shown.
The capacity of each sump is 500 gal., which is about the quantity of water entering the whole length of each subaqueous tunnel in 24 hours.
Cross-Passages.—When the contract was let, provision was made for cross-passages between the tubular tunnels, in the form of special castings to be built into the tunnel lining at intervals. However, the idea was given up, and these castings were not made. Later, however, after tunnel building had started, the question was raised again, and it was thought that such cross-connections would be very useful to the maintenance forces, that it might be possible to build them safely, and that their subsequent construction would be made much easier if some provision were made for them while the shields were being driven. It was therefore arranged to build, at intervals of about 300 ft., two consecutive rings in each tunnel, at the same station in each tunnel, with their longitudinal flanges together, instead of breaking joint, as was usually done. The keys of these rings were displaced twelve bolt holes from their normal positions toward the other tunnel. This brought the keys about 6 ft. above the bench, so that if they were removed, together with the B plates below them, an opening of about 5 by 7 ft. would be left in a convenient position with regard to the bench. [Pg 221]
Nothing more was done until after the tunnels were driven. It was then decided to limit the cross-passages between the tubular tunnels to the landward side of the bulkhead walls. They were arranged as follows: three on the New York side, at Stations 203 + 22, 206 + 80, and 209 + 80, and two on the New Jersey side, at Stations 255 + 46 and 260 + 14. The cross-passages are square in cross-section.
TABLE 21.—Weights of Sump Segments.
| Part. | No. | Material. | Weight, in pounds. |
|---|---|---|---|
| Middle top casting | 1 | Cast steel | 880 |
| End top castings | 2 | " " | 1,718 |
| Lining castings | 3 | " " | 18,232 |
| Sump segment | 1 | Cast iron | 3,560 |
| Total weight per sump, exclusive of bolts | 24,390 | ||
Turnbuckle Reinforcement for Cast-Iron Segments.—During the period of construction, a certain number of cast-iron segments, mostly in the roof, but in some cases at Manhattan in the invert, behind the river lines, became cracked owing to uneven pressures of the ground. Before the concrete lining was put in, considerable discussion occurred as to the wisest course to pursue with regard to these broken plates. It was finally thought best not to take the plates out, as more harm than good might be done, but to reinforce them with turnbuckles, as shown in Fig. 15. The number of broken segments was distributed as follows:
North Manhattan Tunnel 87, chiefly in silt (not under the river),
South Manhattan Tunnel 7, chiefly in silt (not under the river),
North Weehawken Tunnel 24, chiefly in sand (not under the river),
South Weehawken Tunnel 48, chiefly in silt, under the Fowler Warehouse.
The chief features of the tunnel lining have now been described, and, before giving any account of the methods of work, it will be well to mention briefly the salient features of the concrete lining which is placed within the actual lining.
This concrete lining will be considered and described in the following order:
The New York Shield Chambers,
Standard Cross-Section of Concrete Lining of Shield-Driven Tunnels,
Final Lines and Grades, and How Obtained,
Steel Rod Reinforcement of Concrete,
Cross-Passage Lining,
Special Provision for Surveys and Observations.
The New York Shield Chambers.—The cross-section of the concrete lining of these chambers is shown by Plate XXXII, referred to in the Land Tunnel Section. They are of the twin-tunnel double-bench type. The deep space beneath the floor is used as a sump for drainage, and manholes for access to the cable conduits are placed in the benches.
Standard Cross-Section of Concrete Lining of Shield-Driven Tunnels.—The cross-section of the concrete lining of the tube tunnel is shown in Fig. 16. There are two main types, one extending from the shield chambers to the first bore segment, that is, to where the tunnel leaves solid ground and passes into silt, and the other which extends the rest of the way. The first type has a drain in the invert, the second has not.
The height from the top of the rail to the soffit of the arch being less than 16 ft. 11 in., overhead pockets for the suspension of electrical conductors were set in the concrete arch on the vertical axis line at 10-ft. centers. These pockets are shown in Fig. 16. The benches are utilized for the cable conduits in the usual way. Ladders are provided on one side at 25-ft. and on the other side at 50-ft. [Pg 225] intervals, to give access from the track level to the top of the benches. Refuge niches for trackmen are placed at 25-ft. intervals on the single-way conduits side only, as there is not enough room in front of the 4-way ducts. Manholes for giving access to the cable conduits, both power, and telephone and telegraph, are at 400-ft. intervals.
Final Lines and Grades, and How Obtained.—It may be well to explain here how the final lines and grades for the track, and therefore for the concrete lining, were obtained and determined. It is first to be premised that the standard cross-section of the tunnel (that is, of the concrete and iron lining combined) is not maintained throughout the tunnel. In other words, the metal lining is of course uniform, or practically so, throughout; the interior surface of the concrete lining is also uniform from end to end, but the metal lining, owing to the difficulty of keeping the shields, and hence the tunnels built within them, exactly on the true line and grade, is not on such lines and grades; the concrete lining is built exactly on the pre-arranged lines and grades, consequently, the relative positions of the concrete and metal linings vary continually along the length of the structure, according to whether the metal lining is higher or lower than it should be, further to the north or to the south, or any combination of these.
As before stated, it was strongly desired to encroach as little as possible on the standard 2-ft. concrete arch, and after some discussion it was decided that a thickness of 1 ft. 6 in. was the thinnest it was advisable to allow. This made it possible to permit the metal lining of the tunnel to be 6 in. lower, in respect to the level of the track at any point, than the standard section shows, and also allowed the center line of the track to have an eccentricity of 6 in. either north or south of the center line of the tunnel. This only left to be settled the extent to which the metal lining might be higher in respect to the track than that shown on the standard section.
This amount was governed by the desirability of keeping sufficient clearance between the top of the rail and the iron lining in the invert to admit of the attachment of pile foundations and all the accompanying girder-track system which would necessarily be caused by the use of piles, should it ever become apparent after operation was begun, that, after all, it was essential to have the tunnels supported in this way. Careful studies were made of the clearance necessary, [Pg 226] and it was decided that 4 ft. 9 in. was the minimum allowable depth from the top of the rail to the outside of the iron at the bottom. This meant that the iron lining could be 3 in. higher, with respect to the track level, than that shown on the standard section.
All the determining factors for fixing the best possible lines and grades for the track within the completed metal lining were now at hand. In March, 1908, careful surveys of plan and elevation were made of the tunnels at intervals of 25 ft. throughout. The following operations were then performed to fix on the best lines and grades:
First, for Line: It has been explained that the permissible deviation of the center line of the track on either side of the center line of the tunnel was 6 in. Had the metal lining been invariably of the true diameter, it would have been necessary to survey only one side of the tunnel; this would have given a line parallel to the center line, and might have been plotted as such; then, by setting off 6 in. on either side of this line, there would have been obtained a pair of parallel lines within which the center line of the track must lie. Owing to variations in the diameter of the tunnel, however, such a method was not permissible, and therefore the following process was used:
When running the survey lines through the tunnel (which were the center lines used in driving the shields), offsets were taken to the inner edges of the flanges of the metal lining, both on the north and south sides, at axis level at each 25-ft. interval. On the plat on which the survey lines were laid down, and at each point surveyed, a distance was laid off to north and south equal to the following distances:
Offset, as measured in the tunnel to north (or south), minus 10.08 ft.
This 10.08 ft. (or 10 ft, 1 in.) represents 10 ft. 7 in., the true radius to inside of iron, minus 6 in., the permissible lateral deviation of the track from the axis of the tunnel.
The result of this process was two lines, one on either side of the survey lines, not parallel to it or to each other, but approaching each other when the horizontal diameter was less than the true diameter, receding from each other when the diameter was more, and exactly 12 in. apart when the diameter was correct. As long as the center line of the track lay entirely within these two limiting lines, the condition [Pg 227] that the concrete arch should not be 6 in. less in thickness than the standard 2 ft. was satisfied, and in order to arrive at the final line, the longest possible tangents that would be within these limits were adopted as the final lines; and, as the survey lines were those used in driving the tunnel shields (that is, the lines to which it was intended that the track should be built), the amount by which the new lines thus obtained deviated from the survey lines was a measure of the deviation of the finally adopted track and concrete line from the original contract lines.
Next, for Grades: The considerations for grade were very similar to those for line. If the vertical diameter of the tunnel had been true at each 25-ft. interval surveyed, it would have been correct to plot the elevations of the crown (or invert) as a longitudinal section of the tunnel, and to have set up over those points others 6 in. above (as the metal lining could have been 6 in. lower than the standard section, which is equivalent to the track being an equal amount higher), and below these crown or invert elevations others 3 in. lower (as the metal lining could be 3 in. higher).
Then, by joining the points 6 in. above in one line and those 3 in. below in another, there would have been obtained lines of limitation between which the track grades must lie. However, as the tunnel diameter was not uniformly correct, a modification of this method had to be made, as in the case of the line determination, the principle, however, remaining the same.
The elevations were taken on the inner edges of the circumferential flanges of the metal lining, not only in the bottom, but also in the top, of the tunnel, at each 25-ft. interval; then, for the upper limit of the track at each such interval the following was plotted:
Elevation of inner edge of flange at top, minus 16.58 ft.
This 16.58 ft. (or 16 ft. 7 in.) was obtained thus: The standard height from the top of the rail to the inner edge of the iron flange is 17 ft. 1 in., but, as the track may be 6 in. above the standard or normal, the minimum height permissible is 16 ft. 7 in. For the lower limit of track at each 25-ft. interval the following was plotted:
Elevation of inner edge of flange at bottom, plus 3.83 ft.
This 3.83 ft. (or 3 ft. 10 in.) was obtained thus: The standard height from the top of the rail to the inner edge of the iron flange is 4 ft. 1 in. (5 ft. to outside of iron, less 11 in. for depth of flange), [Pg 228] but, as the track may be 3 in. below the standard, the minimum height permissible is 4 ft, 1 in. less 3 in., or 3 ft. 10 in.
By plotting the elevations thus obtained, two lines were obtained which were not parallel but were closer together or further apart according as the actual vertical diameter was less or greater than the standard, and the track grade had to lie within these two lines in order to comply with the requirements indicated above. The results of these operations for the North Tunnel are shown on Plate XXXVI.
The greatest deviations between the lines and grades in the subaqueous tunnels as determined by these means and those as originally laid out in the contract drawings are on the Weehawken side, and were caused by the unexpected behavior of the tunnel when the shields were driven "blind" into the silt, causing a rise which could not be overcome, and the thrusting aside of one tunnel by the passage of the neighboring one. Had this unfortunate incident not occurred, it is clear that it would have been possible to adhere very closely indeed to the contract lines and grades, although the deviation is small, considering all things.
The internal outline of the concrete cross-section is uniform throughout, and is built on the lines and grades thus described.
Steel Rod Reinforcement of Concrete.—The original intention had been to line the metal lining of the tube tunnels with plain concrete, but, as the discussion on the foundation question continued, it was felt advisable, while still it was intended to put in the foundations, to guard against any stresses which were likely to come on the structure, by using a system of steel rods embedded circumferentially within the concrete. Designs were made on this basis, and even the necessary material prepared, before the decision to omit the piles altogether was reached. However, in order to provide a safeguard for the structure where it is partly or wholly beyond the solid rock, it was decided to use reinforcement, even with the piles omitted.
For this purpose the tunnel was considered as a girder, and longitudinal reinforcement was provided at the top and bottom. The top reinforcement extends from a point 25 ft. behind the point where the crown of the tunnel passes out of rock on the New York side to where the crown passes into rock on the New Jersey side. The bottom reinforcement extends from where the invert of the tunnel passes out of rock on the New York side to where it passes into rock on the New Jersey side. [Pg 229]
The reinforcement both at top and bottom consists of twenty 1-in. square twisted rods, ten placed symmetrically on either side of the vertical axis, 9 in. apart from center to center and set 4 in. (to their centers) back from the face of the concrete.
As a further precaution, circumferentially-placed rods were used on the landward side of the river lines, mainly to assist in preventing the distortion of shape which might occur here, either under present conditions, such as under the Fowler Warehouse at Weehawken, or under any possible different future conditions, such as might be brought about by building some new structure in the vicinity of the tunnels.
For purposes of classification of the circumferential reinforcement, the tunnel was divided into two types, "B" and "C"; (Type "A" covering the portion which, being wholly in solid rock, was not reinforced at all).
Type "B" covers the part of the tunnels on both sides of the river lying between the point where the top of the tunnel passes out of rock and the point where the invert passes out of rock on the Manhattan side, or out of gravel on the Weehawken side. The reinforcement consists of twenty 1-in. square longitudinal rods in the crown of the tunnel, as described for the general longitudinal reinforcement, together with 1-in. square circumferential rods at 10-in. centers, and extending over the arch to 2 ft. 3 in. below the horizontal axis.
Type "C" extends from the latter limit of Type "B" to the river line on each side, and consists of longitudinal reinforcement in both top and bottom, as described before, together with circumferential reinforcement entirely around the tunnel, and formed of 1-in. square twisted rods at 15-in. centers.
Type "D" consists of longitudinal reinforcement only, and extends from river line to river line, thus occupying 72.5% of the length in which concrete is used. The reinforcement consists of twenty 1-in. twisted rods at 9-in. centers in the crown, and twenty 1-in. rods at 9-in. centers in the invert. In addition to the three standard types, "B," "C," and "D," there were two sub-types which were used in Type "D," and in conjunction with it wherever the thickness of the center of the concrete arch became less than 1 ft. 6 in., measuring to the outside of the metal lining. This thickness was one of the limits used in laying out the lines and grades, and in general the arch was not less than this. There were one or two short lengths, however, where it was less, for, if the arch thickness requirement had been adhered to, it would have resulted in a break of line or grade for the sake of perhaps only a few feet of thin arch, and it was here that the sub-types came into play.
Sub-type 1 was used where the arch was less than 1 ft. 6 in. thick at the top. The extra reinforcement here consisted of 1-in. square twisted rods, 16 ft. long, laid circumferentially in the crown at 10-in. centers.
Sub-type 2 was used where the arch was less than 1 ft. 6 in. thick at the side. The extra reinforcement here consisted of 1-in. square twisted rods, 16 ft. long, laid circumferentially, at the side on which the concrete was thin, at 10-in. centers. Very little of either of these two sub-types was used. The entire scheme is shown graphically and clearly on Plate XXXVII.
Cross-Passage Lining.—There are two main types of cross-passages: Lined with steel plates, and unlined.
There is only one example of lining with steel plates, namely, the most western one at Weehawken. This is built in rock which carried so much water that, in order to keep the tunnels and the passage dry, it was decided to build a concrete-lined passage, without attempting to stop the flow of water, and within this to place a riveted steel lining, not in contact with the concrete, but with a space between the two. This space was drained and the water led back to the shield chamber and thence to the Weehawken Shaft sump. The interior of the steel lining is covered with concrete.
In the passages not lined with steel plates the square concrete lining is rendered on the inside with a water-proof plaster. Each of the passages is provided with a steel door.
Provisions in Concrete Lining for Surveys and Observations.—The long protracted discussion as to the provision for foundations in these tunnels led to many surveys, tests, and observations, which were carried out during the constructive period, and, as it was desired to continue as many of these observations as possible up to and after the time when traffic started, certain provisions were made in the [Pg 231] concrete lining whereby these requirements might be fulfilled. The chief points on which information was desired were as follows:
The change in elevation of the tunnel,
The change in lateral position of the tunnel,
The change in shape of the tunnel,
The tidal oscillation of the tunnel.
A detailed account of these observations will be found in another paper on this work, but it may be said now that it was very desirable to be able to get this information independently of the traffic as far as possible, and therefore provision was made for carrying on the observations from the side benches.
For studying the changes in level of the tunnel, a permanent bench-mark is established in each tunnel where it is in the solid rock and therefore not subject to changes of elevation; throughout the tunnel, brass studs are set in the bench at intervals of about 300 ft. A series of levels is run every month from the stable bench-mark on each of these brass plugs, thus obtaining an indication of the change of elevation that the tunnels have undergone during the month.
These results are checked on permanent bench-marks in the subaqueous portion of the tunnels. These consist of rods, encased in pipes of larger diameter, which extend down through the tunnel invert into the bed-rock below the tunnel. Leakage is kept out by a stuffing-box in the invert. By measuring between a point on these rods where they pass through the invert and the tunnel itself a direct reading of the change of elevation of the tunnel is obtained. These measurements are taken at weekly intervals, and, as the tunnels are subject to tidal influences, being lower at high tide than at low tide, are always taken under the same conditions as to height of water in the river. These permanent bench-marks are at Stations 209 + 05 and 256 + 02 (about 100 ft. on the shoreward side of the river line in each case) in the South Tunnel, at Stations 220 + 00 and 243 + 86, also in the South Tunnel, and at Station 231 + 78 in the North Tunnel. In order to study the lateral change of position, a base line was established on the side bench at each end of each tunnel in the portion built through the solid rock.
At intervals of about 300 ft. throughout each tunnel, alignment pockets are formed in the concrete arch, also above the bench, on the south bench of the North Tunnel and the north bench of the South Tunnel. In each pocket is placed a graduated and verniered brass bar, so that, when the base line is projected on these bars, the lateral movement of the tunnel can be read directly. As it was desirable to have as much cross-connection as possible between the tunnels at the points where the instruments were to be set up, five of the main survey stations were set opposite each of the five cross-passages. Then, for the purpose of increasing the cross-connection still further, pipes 6 in. in diameter were put through from one tunnel to the other at axis level at Stations 220 + 60, 231 + 78, 234 + 64, 241 + 99, and 251 + 13, and a survey station was put in opposite each one.
Points were established at Station 220 + 00, which is the point of intersection for the curve on the original center line of the tunnel, and also at Station 220 + 23, where the intersection of the track center line comes in the North Tunnel. As it was desirable to have the survey stations not much more than 300 ft. apart, so as to obtain clear sights, other stations were established so that the distances between survey stations were at about that interval.
For studying changes of shape in the tunnel, brass "diameter markers" were inserted at each survey station in the concrete lining at the extremities of the vertical and horizontal axes. These were pieces of brass bar, ⅜ in. in diameter and 6 in. long, set in the concrete and projecting ⅝ in. into the tunnel, so that a tape could be easily held against the marker and read.
For obtaining the tidal oscillation of elevation of the tunnel, recording gauges are attached to the invert of the tunnel at each of the five permanent bench-marks referred to above in such a way that the recording pencil of the gauge is actuated by the rod of the permanent bench-mark. A roll of graduated paper is driven by clock-work below the recording pencil which thus marks automatically the relative movement between the moving tunnel and the stable rods. These have shown that in the subaqueous part of the tunnel there is a regular tidal fluctuation of elevation, the tunnel moving down as the tide rises, and rising again when the tide falls. For an average tide of about 5 ft. the tunnel oscillation would be about ⅛ in. Before the concrete lining was placed, there was a tidal change in the shape of the tunnel, which flattened about 1/64 in. at high tide. After the concrete lining was placed, this distortion seemed to cease. [Pg 233]
The general design and plan of the work have been described, and before giving any account of the contractor's methods in carrying it out, Table 22, showing the chief quantities of work in the river tunnels, is presented.
The following is an account of the methods used by the contractor in carrying out the plans which have already been described. First, it may be well to point out the sequence of events as they developed in this work. These events may be divided into six periods.
1.—Excavation and Iron Lining: June, 1903, to November, 1906;
2.—Caulking and grummeting the iron lining: November, 1906, to June, 1907;
3.—Surveys, tests and observations: April, 1907, to April, 1908;
4.—Building cross-passages and capping pile bores: April, 1908, to November, 1908;
5.—Placing the concrete lining: November, 1908, to June, 1909;
6.—Cleaning up and various small works: June, 1909, to November, 1909.
The tunnels were under an average air pressure of 25 lb. per sq. in. above normal for all except Periods 5 and 6, during which times there was no air pressure in the tunnels.
All the work will be described in this paper except that under Period 3 which will be found in another paper.
Period 1.—Excavation and Iron Lining, June, 1903, to November, 1906.—Table 23 gives the chief dates in connection with this period.
Manhattan Shield Chambers.—The Manhattan shield chamber construction will be first described. The Weehawken shield chambers have been described under the Land Tunnel Section, as they are of the regular masonry-lined Land Tunnels type, whereas the Manhattan chambers are of segmental iron lining with a concrete inner lining.
During the progress of excavation, the location of the New York shield chambers was moved back 133 ft., as previously described in the "Land Tunnel" Section, and when the location had been finally decided, there was a middle top heading driven all through the length now occupied by the shield chamber. Narrow cross-drifts were taken out at right angles to the top heading, and from the ends of these the wall-plate headings were taken out. Heavy timbering was used, as the rock cover was only about 6 ft., and the whole span to be covered was 60 ft. The process adopted was to excavate and timber the north side first, place the iron lining, and then excavate the south side, using the iron of the north side as the supports for the north ends of the segmental timbering of the south. The only incident of note was that at 2:00 A.M., on October 20th, 1904, the rock at the west end of the south wall-plate heading was pierced. Water soon flooded the workings, and considerable disturbance was caused in the New York Central Railroad yard above. The cavity on the surface was soon filled in, but to stop the flow of mud and water was quite a troublesome job.
TABLE 22.—Quantities of Work in Subaqueous Tunnels.
| Description, Quantity, Length, etc. | TYPE. | ||||||
|---|---|---|---|---|---|---|---|
| Manhattan shield chambers. | Cast iron, ordinary pocketless. | Cast iron, ordinary pocket. | Cast iron, heavy pocketless. | Cast steel, ordinary pocketless. | Total. | ||
| Length, in feet. | 59.00 | 4,374.99 | 2,146.3 | 5,522.05 | 152.66 | 12,255.00 ft. | |
| Excavation, in cubic yards. | Total. | 1,884 | 67,344 | 33,038 | 85,001 | 2,349 | 189,616 cu. yd. |
| Per linear foot. | 31.9 | 15.4 | 15.4 | 15.4 | 15.4 | ||
| Cast-iron tunnel lining, in pounds. | Total. | 847,042 | 39,643,120 | 19,715,405 | 61,559,845 | 121,765,412 lb. | |
| Per linear foot. | 14,357 | 9,061 | 9,186 | 11,148 | |||
| Cast-steel tunnel lining, in pounds. | Total. | 1,544,962 | 757,938 | 2,730,905 | 1,549,711 | 6,583,516 lb. | |
| Per linear foot. | 353.1 | 353.1 | 494.5 | 10,151.4 | |||
| Steel bolts and washers, in pounds. | Total. | 23,627 | 1,475,991 | 724,095 | 2,935,455 | 51,266 | 5,210,434 lb. |
| Per linear foot. | 400.46 | 337.37 | 397.00 | 581.59 | 335.82 | ||
| Rust joints, in linear feet. | Total. | 3,376 | 170,755 | 83,935 | 218,656 | 5,996 | 482,718 ft. |
| Per linear foot. | 57.2 | 39.0 | 39.1 | 39.6 | 39.3 | ||
| Concrete, in cubic yards. | Total. | 766 | 20,030 | 9,827 | 25,282 | 713 | 56,618 cu. yd. |
| Per linear foot. | 12.98 | 4.58 | 4.58 | 4.58 | 4.58 | ||
| Steel beams, plates, etc., in pounds. | Total. | 12,346 | 83,774 | 41,098 | 105,738 | 7,432 | 250,388 lb. |
| Per linear foot. | 2,092.5 | 19.1 | 19.1 | 19.1 | 48.7 | ||
| Steel bolts, hooks, etc., in pounds. | Total. | 1,328 | 36,980 | 18,142 | 46,675 | 1,471 | 104,596 lb. |
| Per linear foot. | 22.5 | 84.5 | 84.5 | 84.5 | 96.4 | ||
| Expanded metal, in pounds. | Total. | 594 | 2,215 | 1,086 | 2,795 | 62 | 6,752 lb. |
| Per linear foot. | 10.07 | 0.506 | 0.506 | 0.506 | 0.406 | ||
| Vitrified conduits, in duct feet. | Total. | 2,560 | 235,903 | 115,728 | 297,752 | 7,757 | 659,700 duct ft. |
| Per linear foot. | 43.49 | 53.92 | 53.92 | 53.92 | 50.81 | ||
TABLE 23.—Excavation and Iron Lining.
| North Manhattan. | North Weehawken. | South Manhattan. | South Weehawken. | ||
|---|---|---|---|---|---|
| Shaft and preliminary headings. | Begun. | June 10, '03. | June 11, '03. | June 10, '03. | June 11, '03. |
| Shaft and preliminary headings. | Finished. | December 11, '03. | September 1, '04. | December 11, '03. | September 1, 04 |
| Excavation of shield chamber. | Begun. | May 24, '04. | January 16, '05. | May 24, '04. | January 16, '05. |
| Excavation of shield chamber. | Finished. | January 21, '05. | March 25, '05. | May 13, '05. | April 19, '05. |
| Cast-iron lining of shield chambers. | Begun. | February 4, '05. | None. | May 15, '05. | None. |
| Cast-iron lining of shield chambers. | Finished. | March 13, '05. | None. | June 14, '05. | None. |
| Excavation of tunnels begun before installation of shield. | October 17, '04. | January 13, '05. | January 5, '05. | January 25, '05. | |
| Commenced building falsework for shield. | March 6, '05. | March 23, '05. | June 19, '05. | April 17, '05. | |
| Shield parts received at shaft. | March 11, '05. | March 20, '05. | June 22, '05. | April 24, '05. | |
| Erection of shield begun. | March 13, '05. | March 27, '05. | June 22, '05. | April 24, '05. | |
| Erection of shield (structural steel). | Finished. | March 27, '05. | April 12, '05. | June 8, '05. | May 6, '05. |
| Erection of shield (hydraulic fittings). | Finished. | May 11, '05. | May 25, '05. | August 27, '05. | June 13, '05. |
| First ring of permanent cast-iron lining put in. | May 12, '05. | May 29, '05. | August 27, '05. | June 14, '05. | |
| First air lock bulkhead wall. | Begun. | May 29, '05. | June 15, '05. | September 18, '05 | June 21, '05. |
| First air lock bulkhead wall. | Finished. | June 7, '05. | June 23, '05. | September 23, '05 | July 3, '05. |
| Air pressure first put in tunnel. | June 25, '05. | June 29, '05. | October 6, '05. | July 8, '05. | |
| Rock disappeared from invert of tunnel. | December 1, '05. | October 31, '05. | February 8, '06. | September 21, 05 | |
| First pair of bore segments built in tunnel. | December 9, '05. | January 12, '06. | February 16, '06. | December 12, '05 | |
| Rip-rap of river bulkhead wall met. | February 8, '06. | None. | April 11, '06. | None. | |
| First pile met (in river bulkhead wall at Manhattan, and Fowler warehouse foundation at Weehawken). | February 18, '06. | January 3, '06. | April 18, '06. | December 4, '06. | |
| Last pile met. | March 2, '06. | February 5, '06. | May 1, '06. | January 9 '06. | |
| First ring erected on river side of shore line. | March 3, '06. | February 6, '06. | May 9, '06. | January 19, '06. | |
| Removing hood of shield. | Begun. | March 27, '06. | February 6, '06. | May 9, '06. | January 19, '06. |
| Removing hood of shield. | Finished. | April 1, '06. | February 8, '06. | May 12, '06. | January 24, '06. |
| Second air-lock bulkhead wall. | Begun. | May 12, '06. | March 19, '06. | July 13, '06. | March 11, '06. |
| Second air-lock bulkhead wall. | Finished. | May 21, '06. | March 24, '06. | July 21, '06. | March 18, '06. |
| Tunnel holed through with meeting tunnel. | September 12, 1906. | October 9, 1906. | |||
| Last ring of permanent cast-iron lining built in. | October 9, 1906. | November 18, 1906. | |||
The excavation was begun on May 24th, 1904, and finished on May 15th, 1905. The segments were placed by an erector consisting of a timber boom supported by cross-timbers running on car wheels on longitudinal timbers at each side of the tunnel. Motion was transmitted to the boom by two sets of tackle, and the heavy (5,000-lb.) segments were easily handled. The erection of the lining was started on February 4th, 1905, and finished on June 14th, 1905.
While the shield chambers were being excavated, bottom headings were run along the lines of the river tunnels and continued until the lack of rock cover prevented their being driven further. These were afterward enlarged to the full section as far as possible. The typical working force in the shield chambers was as follows:
| Ten-hour Shifts. | |||
| Drilling and Blasting. | |||
| 1 | Foreman | @ | $3.50 |
| 6 | Drillers | " | 3.00 |
| 6 | Drillers' helpers | " | 2.00 |
| 1 | Blacksmith | " | 3.50 |
| 1 | Blacksmith's helper | " | 2.25 |
| 1 | Powderman | " | 2.00 |
| 1 | Waterboy | " | 2.00 |
| 1 | Nipper | " | 2.00 |
| 1 | Machinist | " | 3.00 |
| 1 | Machinist's helper | " | 1.80 |
| Mucking. | |||
| 1 or 2 | Foremen | @ | $3.00 |
| 16 | Muckers | " | 2.00 |
Erection of Shields.—The tunneling shields have been described in some detail in the section of this paper dealing with the contractor's plant. They consist essentially of two parts, the structural steelwork and the hydraulic fittings. The former was made by the Riter Conley Manufacturing Company, of Pittsburg, Pa., and put up by the Terry and Tench Company, of New York City; the hydraulic fittings were made and put in by the Watson-Stillman Company, of New York City.
On the New York side, the shields were built inside the iron lining of the shield chambers, hence no falsework was needed, as the necessary hoisting tackle could be slung from the iron lining; at Weehawken, however, the erection was done in the bare rock excavation, so that timber falsework had to be used. The assembly and riveting took about 2 weeks for each shield; the riveting was done with pneumatic riveters, using compressed air direct from the tunnel supply.
After the structural steel had been finished, the shields, which had hitherto been set on the floor of the chambers in order to give room for working over the top, were jacked up to grade; this involved lifting a weight of 113 tons. While the hydraulic fittings were being put in, the shields were moved forward on a cradle, built of concrete with steel rails embedded, on which the shield was driven for the length in which the tunnel was in solid rock.
The installation of the hydraulic fittings took from 4 to 6 weeks per shield. The total weight of each finished shield was about 193 tons. The completed shield, as it appeared in the tunnel, is shown by Fig. 1, Plate XXXVIII. The typical force working on shield erection was as follows:
| Ten-hour Shifts. | |||||
| Shield Erection. (Terry and Tench.) | |||||
| 1 | Superintendent | @ | $13.00 | per | day |
| 4 | Foremen | " | 5.50 | " | " |
| 1 | Timekeeper | " | 2.50 | " | " |
| 2 | Engineers | " | 4.50 | " | " |
| 34 | Iron workers | " | 4.50 | " | " |
| 7 | Laborers | " | 2.25 | " | " |
| Hydraulic Work. (Watson-Stillman Company.) | |||||
| 4 | Mechanics | @ | $4.00 | per | day |
| General Labor. (O'Rourke Engineering Construction Company.) | |||||
| 1 | Inspector | @ | $4.00 | per | day |
| 1 | Foreman | " | 4.00 | " | " |
| 8 | Laborers | " | 2.00 | " | " |
| 1 | Engineer | " | 2.50 | " | " |
After the shield was finished and in position, the first two rings of the lining were erected in the tail of the shield. These first rings were then firmly braced to the rock and the chamber lining; then the shield was shoved ahead by its own jacks, another ring was built, and so on.
The description of the actual methods of work in the shield-driven tunnels can now be given; this will be divided generally into the different kinds of conditions met at the working face, for example, Full Face of Rock, Mixed Face, Full Face of Sand and Gravel, Under River Bulkhead, and Full Face of Silt.
The last heading is the one under which by far the longest length of tunnel was driven, and, as not much has hitherto appeared descriptive of the handling of a shield, through this material, considerable space will be devoted to it.
Full Face of Rock.—As was described when dealing with the shield chambers, as much as possible of the rock excavation was done before the shields were installed. On the New York side, about 146 ft. of tunnel was completely excavated, with 71 ft. of bottom headings beyond that, and at Weehawken, 58 and 40 ft. of tunnel and heading beyond, respectively. This was chiefly done to avoid handling the rock through the narrow shield doors. Test holes were driven ahead at short intervals to make sure that the rock cover was not being lost, but, nevertheless, at Weehawken, on February 14th, 1905, a blast broke through the rock and let the mud flow in, filling the tunnel for half its height for a distance of 300 ft. from its face.
Throughout the rock section the shield traveled on a cradle of concrete in which were embedded either two or three steel rails. In the portion in which the whole of the excavation had been taken out, it was only necessary to trim off projecting corners of rock. In the portion in which only a bottom heading had been driven, the excavation was completed just in front of the shield, the drilling below axis level being done from the heading itself, and above that [Pg 239] from the front sliding platforms of the shield. The holes were placed near together and drilled short, and very light charges of powder were used, so as to lessen the chance of knocking the shield about too much. In this work the small shield doors hampered the work greatly, and it might have been well to have provided a larger bottom opening which could have been subdivided or partly closed when soft ground was met; on the other hand, the quantity thus handled was small, owing to the fact that the greater part of the rock was excavated before the shields were installed.
The space outside the lining was grouted with a 1:1 mixture of Portland cement and sand. Large voids were hand-packed with stone before grouting. The details of grouting will be described later.
A typical working gang is given herewith. Two such gangs were worked per shield per 24 hours, 10 hours per shift. All this work was done under normal air pressure.
| General: | ||||||
| ½ | Tunnel superintendent | @ | $200.00 | per | month | |
| 1 | Assistant tunnel superintendent | " | 5.00 | per | day | |
| 1 | General foreman | " | 5.00 | " | " | |
| ½ | Electrician | " | 3.50 | " | " | |
| ½ | Electrician's helper | " | 3.00 | " | " | |
| ½ | Pipefitter | " | 3.00 | " | " | |
| ½ | Pipefitter's helper | " | 2.75 | " | " | |
| Drilling: | ||||||
| 1 | Foreman | " | 5.00 | " | " | |
| 3 | Drillers | " | 4.00 | " | " | |
| 3 | Drillers' helpers | " | 3.00 | " | " | |
| 1 | Nipper | " | 2.50 | " | " | |
| ½ | Waterboy | " | 2.50 | " | " | |
| ½ | Powderboy | " | 2.75 | " | " | |
| Mucking: | ||||||
| 1 | Foreman | " | 3.50 | " | " | |
| 8 | Muckers | " | 2.75 | " | " | |
| Erecting Iron and Driving Shield: | ||||||
| 1 | Erector runner | " | 4.00 | " | " | |
| 3 | Iron workers | " | 3.00 | " | " | |
The duties of such a gang were as follows: The tunnel superintendent looked after both shifts of one shield. The assistant or "walking boss" had charge of all work in the tunnel on one shift. The general foreman had charge of the labor at the face. The electricians looked after repairs, extensions of the cables, and lamp renewals. The pipefitters worked in both tunnels repairing leaks in pipes between the power-house and the working faces, extending the pipe lines, and attending to shield repairs, and in the latter work the erector runner helped.
The drillers stuck to their own jobs, which were not subject to interruption as long as the bottom headings lasted. One waterboy and one powderboy served two tunnels. The muckers helped the iron men put up the rings of lining, as well as doing their own work. The iron men tightened bolts, whenever not actually building up iron. The list does not include the transportation gang, which will be described under its own heading.
The rate of progress attained was 4.2 ft. per day per shield where most of the excavation had been done before, and 2.1 ft. where none had been done before.
When the shields had got far enough away from the shield chamber, and before rock cover was lost, the first air-lock bulkhead walls were put in.
Air-Lock Bulkhead Walls.—The specifications required these walls and all their fittings to be strong enough to stand a pressure of 50 lb. per sq. in. Accordingly, all the walls were of concrete, 10 ft. in thickness, except the first two, which were 8 ft. in thickness, and grouted up tight.
There were three locks in each bulkhead wall capable of holding men, namely, the top or emergency lock which is set high in order to afford a safe means of getting away in case of a flood; this lock was used continuously for producing the lines and levels into the tunnels. It was very small and cramped for this purpose, and a larger one would have been better, both for lines and emergencies. This lock was directly connected with the overhead platform (also called for in the specifications) which ran the whole length of the tunnels. Side by side, on the level of the lower or working platform of the tunnel, were the man lock and the muck lock. In addition a number of pipes were built in to give access to the cables and for passing pipes, rails, etc., in and out.
After each tunnel was about 1,200 ft. ahead of the first walls, a second wall was built just like the first, and no others were put in, so that altogether there were eight walls. This second wall not only gave an added safeguard to the tunnel but enabled the air pressure at the working face to be divided between the two walls, and this compression or decompression in stages, separated by a spell of walking exercise, was found to be very good for the health of those working in the air.
Mixed Face.—When the rock cover became so thin that it was risky to go on without the air pressure, the air pressure was turned on, starting with from 12 to 18 lb., which was enough to stop the water from the gravel on top of the rock. At first, when the surface of the rock was penetrated, the soft face was held up by horizontal boards braced from the shield until the shield was shoved. The braces were then taken out and, as soon as the shield had been shoved, were replaced by others. As the amount of soft ground in the face increased, the system of timbering was gradually changed to one of 2-in. poling boards resting on top of the shield and supported at the face by vertical breast boards, in turn held by 6 by 6-in. walings braced both through the upper doors to the iron lining and from the sliding platforms of the shield. The latter were in their forward position before the shield was shoved, the pressure being turned off and the exhaust valves opened just before the shove began. As the shield went ahead, the platform jacks gradually exhausted and thus held enough pressure on the face to keep it up. Fig. 17 is a sketch of this method. In driving through mixed ground a typical working gang was about as follows:
| General: | ||||||
| ⅓ | Tunnel superintendent | @ | $300.00 | per | month. | |
| 1 | Assistant tunnel superintendent | " | 5.00 | per | day. | |
| 1 | General foreman | " | 5.00 | " | " | |
| ½ | Pipefitter | " | 3.25 | " | " | |
| ½ | Pipefitter's helper | " | 2.75 | " | " | |
| ½ | Electrician | " | 3.00 | " | " | |
| ½ | Electrician's helper | " | 2.75 | " | " | |
| Timbering: | ||||||
| 3 | Timbermen | " | 2.50 | " | " | |
| 3 | Timbermen's helpers | " | 2.00 | " | " | |
| Mucking: | ||||||
| 1 | Foreman | " | 3.50 | " | " | |
| 6 | Muckers | " | 2.75 | " | " | |
| Erecting Iron and Driving Shield: | ||||||
| 1 | Erector runner | " | 3.25 | " | " | |
| 1 | Foreman | " | 4.00 | " | " | |
| 4 | Iron workers | " | 3.00 | " | " | |
The average rate of progress was 2.6 ft. per day.
In this case there were three such gangs, each on an 8-hour shift.
Full Face of Sand and Gravel.—This condition of affairs was only met at Weehawken. Two systems of timbering were used. In the first system, Fig. 17, the ground was excavated 2 ft. 6 in. ahead of the cutting edge, the roof being held by longitudinal poling boards, resting on the outside of the skin at their back end and on vertical breast boards at the forward end. When the upper part of the face was dry, it was held by vertical breast boards braced from the sliding platform and through the shield doors to cross-timbers in the tunnel; the lower part, which was always wet, was held by horizontal breast boards braced through the lower shield pockets to cross-timbers in the tunnel. This system worked all right as long as the ground in the top was sandy enough and had sufficient cohesion to allow the polings to be put in, but, when the upper part was in gravel, thus making it impossible to put in the longitudinal polings or the vertical breasting, the second system came in. Here the excavation was only carried 1 ft. 3 in. (half a shove) ahead of the cutting edge, and the longitudinal polings were replaced by transverse boards supported by pipes which were placed in the holes provided in the shield to accommodate some telescopic poling struts which had been designed but not made. These pipes acted as cantilevers, and were in two parts, a 2½-in. pipe wedged tight into the holes and smaller pipes sliding inside them. After a small section of the ground had been excavated, a board was placed against it, one of the pipes was drawn out under it, and wedges were driven between it and the board. These polings were kept below the level of the hood, so that when the shield was shoved they would come inside of it; in addition, they were braced with vertical posts from the sliding platforms. The upper part of the face was held by longitudinal breast boards braced from the sliding platform by vertical "soldier" pieces. The lower part of the face was supported by vertical sheet-piling braced to the tunnel through the lower doors. Sometimes two rows of piling were used, but generally one, as shown in Fig. 17. Notwithstanding the fact that the breasting was only 1 ft. 3 in. ahead of the hood, the shield was moved its full stroke of 2 ft. 6 in., the ground around the cutting edge of the hood being scraped away by men working bars in the place from which the temporary breast boards at the circumference had been removed. The back pressure on the sliding platform jacks, when the exhaust valves were only partly open, offered a good deal of resistance, and held the face as long as the movement of the shield was continuous. [Pg 243]
On one occasion, when for some reason the shield was stopped with the shove only partly done, and the exhaust valves had not been shut off, the platforms continued to slide and allowed the face to collapse; the shield platforms and doorways, however, caught the falling sand and gravel and the flow choked itself.
As soon as the rock surface was penetrated and the sand and gravel were met, which happened almost at the same time in the two Weehawken Tunnels, the escape of air increased enormously, and it at once became clear that it was impossible to keep enough air in the two tunnels by the methods then in use, even when working the three compressors, each capable of compressing 4,400 cu. ft. of free air per min. at top speed. When the shields just entered the sand and gravel, the face had been held by light breasting, without any special effort to prevent the escape of air, but when it was found impossible to supply enough air, a large amount of straw and clay was used in front of the boards.
This cut down the escape, but, as much air was escaping through the joints of the iron lining, these were plastered with Portland cement. Even then, the loss was too great, therefore one tunnel was shut down entirely and all the air was sent to the other. This allowed a pressure of 10 lb. to be kept up in the working tunnel, and this, though less than the head, was enough to allow progress to be made. In order to use one tunnel as a drain for the other, the two faces were always kept within 150 ft. of each other by working them alternately. The timbered face was never grouted, though this would have reduced the loss of air, as at the same time it would have decreased the progress very much, and any one who saw the racing engines in the power-house, [Pg 245] and realized that a breakdown of one of them would mean the loss of the faces, was ready to admit that the quicker this particular period was cut short, the better.
Above the sand and gravel lay the silt, and, when it showed in the roof, the escape of air was immediately reduced and the two faces could be worked simultaneously. Almost at the same time the piles supporting the large warehouse, known as the Fowler Building, were met. Although the face now took much less timber, the same system of breast boards as had been used in the gravel was kept up, but in skeleton form. They were set 2 ft. 6 in. ahead of the shield, however, instead of 1 ft. 3 in., and the transverse roof poling boards were replaced by longitudinals resting on the shield. The more piles in the face the less timbering was done. The piles were cut into handy lengths with axes and chisels.
All timbering was light compared with the weight of the ground, but, as the shove took place as soon as the set was made, it served its purpose. When a face was closed down the whole system was greatly reinforced by braces from the shield, the face of which was closed by the doors.
In driving through such a face the typical 8-hour shift gang was about as follows:
| General: | ||||||
| ⅓ | Tunnel superintendent | @ | $300.00 | per | month. | |
| 1 | Assistant tunnel superintendent | " | 5.00 | per | day. | |
| 1 | General foreman | " | 5.00 | " | " | |
| ½ | Pipefitter | " | 3.25 | " | " | |
| ½ | Pipefitter's helper | " | 2.75 | " | " | |
| ½ | Electrician | " | 3.00 | " | " | |
| ½ | Electrician's helper | " | 2.75 | " | " | |
| Timbering: | ||||||
| 3 | Timbermen | " | 2.50 | " | " | |
| 3 | Timbermen's helpers | " | 2.00 | " | " | |
| Mucking: | ||||||
| 1 | Foreman | " | 3.50 | " | " | |
| 6 | Muckers | " | 2.75 | " | " | |
| Erecting Iron and Driving Shield: | ||||||
| 1 | Erector runner | " | 3.25 | " | " | |
| 1 | Foreman | " | 4.00 | " | " | |
| 4 | Iron workers | " | 3.00 | " | " | |
The drillers were not kept on after the rock disappeared; a foreman was added who divided his time between iron erection and mucking.
The average rate of progress in sand and gravel without piles was 5.1 ft. per day per shield. When piles and silt were met in the upper part of the face, the speed increased to 7.0 ft. per day.
Passing Under River Bulkhead.—At Weehawken no trouble was found in passing under the river wall, as the bulkhead consisted of only cribwork supported on silt, and, though the piles obstructed the motion of the shield, they were easily cut out, and the cribwork itself was well above the top of the shield.
On the New York side, however, conditions were not nearly as good. The heavy masonry bulkhead was supported on piles and rip-rap, as shown in Fig. 18. The line of the top of the shield was about 6 ft. above the bottom of the rip-rap, the spaces between the stones of which were quite open and allowed a free flow of water directly from the river. As soon, therefore, as the cutting edge of the shield entered the rip-rap there was a blow, the air escaping freely to the ground surface behind the bulkhead and to the river in front of it. Clay puddle, or mud made from the excavated silt, was used in large quantities to plug up the interstices between the stone in the working face, the air pressure being slightly greater than that needed to keep out the water holding it in place. The excavation of the rip-rap was a tedious affair, for it had to be removed one stone at a time and the spaces between the newly exposed stones plugged with mud immediately. One man stood ready with the mud while another loosened the stones with a bar. When the shield had advanced its own length in the rip-rap, another point for the escape of the air was exposed at the rear end of the shield. This loss was closed at the leading end of the last ring with mud and cement sacks.
As long as the shield was stationary it was possible, by using these methods and exercising great care and watchfulness, to prevent excessive loss of air; but, while the shield was being shoved ahead, the difficulties were much increased, for the movement of the shield displaced the bags and mud as fast as they were placed, and it was only by shoving slowly and having a large number of men looking out for leaks and stopping them up the instant they developed that excessive loss of air could be prevented. In erecting the iron lining, as each segment was brought into position, it was necessary to clean off the [Pg 248] leading surface of the previous ring and the adjacent portion of the tail of the shield; this was always accompanied by a slight "blow," and for some time the air pressure in the tunnel dropped from 25 to 20 lb., that is, from greater than the balancing pressure to less, every time a segment was placed, and on two occasions the "blow" became so great that the tunnel pressure was reduced considerably further, and in consequence the water from the river rushed in and was not stopped until it had risen about 4 ft. in the tunnel invert. On such occasions the surface of the river was greatly disturbed, rising more than 20 ft. in the air in a sort of geyser. A large quantity of grout (about 2,500 bbl. of cement and a similar quantity of sand in the North Tunnel and 1,000 bbl. in the South Tunnel) was used at this point; it was forced through the tunnel lining immediately behind the shield, greatly reducing the loss of air and helping to bind the rip-rap together.
When the shield had traveled 25 ft. through the rip-rap, the piles which support the bulkhead were met. One hundred of these which were spaced at 3-ft. centers in each direction, were cut out of the path of each shield in a distance of 35 ft. The presence of the piles caused considerable extra labor, as each pile had to be cut into several pieces with axes to enable it to be removed through the shield doors, otherwise they presented no difficulties. It was not necessary to timber the face, as the piles supported it most effectively.
When the river line had been passed, the "blow" still continued, and as there was no heavy ground above the tunnel the light silt was carried away into the water by the escaping air. At one time the cover over the crown of the tunnel was reduced to such an extent that for a distance of 30 ft. there was less than 10 ft. of very soft silt, and in some places none at all. Therefore, the shield was stopped and the air pressure reduced until it was less than the balancing pressure; the blow then ceased, and about 28,000 cement bags filled with mud were dumped into the hole (the location made it impossible to dump them en massefrom a scow). They were then weighted down with rip-rap. This sealed the blow, and the work was continued without any further disturbance from this source. Just before the blow reached its maximum it was found that two of the piles which had been encountered were directly in the path of one of the proposed screw-piles. It was therefore decided to pull these, [Pg 249] and this was done with two 40-ton hydraulic jacks supported by the upper sliding platforms and acting on a horizontal timber which was connected to the piles by tie-rods and chains. The working force here was similar to that employed in the sand and gravel section previously described.
In Full Face of Silt.—A full face of silt was first met under the New York Central Railroad freight yard on the New York side. Up to this point the ground passed through had been either solid rock or a mixed face of rock and gravel. In both of these the full excavation had to be taken out before the shield could be shoved, and the soft ground had needed timbering. When the rock, gravel, and hardpan gave place to a full face of silt, the timber was removed, all the shield doors were opened, and the shield was shoved into the ground without any excavation being done by hand ahead of the diaphragm. As the shield advanced, the silt was forced through the open doors into the tunnel. After the work had gone on in this way for some time, taking in about 90% of the full volume of the tunnel excavation per foot forward, the air pressure was raised from 20 to 22 lb. The result was that the silt in the face got harder and flowed less readily through the shield, and the amount taken in fell to about 65% of the full volume. This manner of shoving at once caused a disturbance on the surface and the railroad tracks above the tunnel were raised, so that the pressure was lowered to 16 lb., then the muck got softer and the full volume of excavation was taken in; after a while the pressure was again raised to 20 lb.
The forcing of the shield through the silt resulted in a rising of the bed of the river, the amount that the bed was raised depending on the quantity of material brought into the shield.
If the whole volume of excavation was being brought in, the surface of the bed was not affected; when about 50% was being taken in, the surface was raised about 3 ft.; if the shield was being driven blind, the bed was raised about 7 ft.
The number of open doors was regulated so as to take in the minimum quantity of muck consistent with causing no surface disturbance. On the average, in the North Manhattan Tunnel, all the doors were open, but in the South Tunnel there were generally only five or six out of the total nine.
In front of the bulkhead wall at Manhattan the tunnels were under [Pg 250] Pier No. 72. This structure was supported on wooden piles, some 80 ft. or more in length, which came down below the tunnel invert. The piles which lay directly in the path of the tunnels, with a few exceptions, had been pulled. In driving the tunnels through this section, great care had to be taken not to disturb the piles on either side of the tunnels, as they supported a heavy trestle used in disposing of the excavation from the open cut in the terminal yard. To avoid such disturbance, a large portion of the total excavation had to be taken through the shields.
The first shield which passed the river bulkhead was the south one at Weehawken. As soon as this line was crossed the silt was found to be much softer than behind the wall, in fact it was like a fluid in many of its properties. The fluidity could be changed by varying the tunnel air pressure; for example, when the air pressure was made equal to the weight of the overlying material (water and silt), the silt was quite stiff, and resembled a rather soft clay; but when the air pressure was from 10 to 15 lb. per sq. in. lower, it became so liquid that it would flow through a 1½-in. grout hole in the lining, in a thick stream, at the rate of from 10 to 50 gal. per min. as soon as the plug was taken out. This was the point to which the contractor had long looked forward, as he expected to be able to close all his shield doors and drive the rest of the way across without taking in a shovelful of muck, as had just been done under the Hudson River, on the South Tunnel of the Hudson and Manhattan Railroad Company's Tunnels between Morton Street, New York City, and Hoboken, N. J. The doors were shut and the shield was shoved; the tunnel at once began to rise rapidly, notwithstanding that the heaviest possible downward leads that the clearance between the iron and the shield would allow were put on. At the same time, the pressures induced in the silt by the shield shouldering the ground aside caused the iron lining to rise about 2 in. as soon as the shield left it, and also distorted it, the horizontal diameter decreasing and the vertical diameter increasing by about as much as 1¼ in. An anxious discussion followed these phenomena, as the effects had been so utterly unexpected, and a good many different theories were advanced as to the probable cause. It was thought that the hood of the shield might have something to do with the trouble. The shield was stopped, the hood removed, the doors were shut, and the driving continued. [Pg 251] The same trouble was found, and it was impossible to keep to grade. Work was stopped, and the question was thoroughly debated; finally, on January 31st, 1906, the chief engineer directed that one of the shield doors be opened as an experiment and 50% of the excavation taken in.
The effect was instantaneous, the shield began to come down to grade at once, and it soon became necessary to close the door partially and reduce the quantity of muck taken in in order to prevent the tunnel from getting below grade. The other troubles from distortion, etc., ceased at the same time.
It was soon found that a powerful aid in the guidance of the shield was thus brought to hand, for, if high, the shield could be brought down by increasing the quantity of muck taken in, if low, by decreasing it. From this time forward, the quantity of muck taken in at each shove was carefully regulated according to the position of the tunnel with regard to grade and the nature of the ground. The quantity varied from nothing to the full volume displaced by the tunnel, and averaged 33% of the latter.
To regulate the flow, the bottom middle door was fitted with two steel angles behind which were placed 6 by 6-in. timbers. In this way the opening could be entirely closed or one of any size left. The muck flowed into the tunnel in a thick stream, as shown in Fig. 2, Plate XXXV, and, by regulating the rate of shove it could be made to flow just as fast as it could be loaded into cars.
In driving through the silt, the typical gang per shift of 8 hours per shield was as follows:
| General: | ||||||
| ⅓ | Tunnel superintendent | @ | $300 | per | month | |
| 1 | Assistant tunnel superintendent | " | 6.00 | per | day | |
| 1 | General foreman | " | 5.00 | " | " | |
| ½ | Electrician | " | 3.50 | " | " | |
| ½ | Electrician's helper | " | 3.00 | " | " | |
| 1 | Foreman | " | 4.00 | " | " | |
| 2 | Pipefitters | " | 3.50 | " | " | |
| 2 | Pipefitters' helpers | " | 3.25 | " | " | |
| Mucking: | ||||||
| 1 | Foreman | " | 4.00 | " | " | |
| 6 | Muckers | " | 3.00 | " | " | |
| Erecting Iron and Driving Shield: | ||||||
| 1 | Foreman | @ | $4.00 | per | day | |
| 1 | Erector runner | " | 3.50 | " | " | |
| 4 | Iron workers | " | 3.00 | " | " | |
| 3 | Laborers | " | 3.00 | " | " | |
Three such shifts were worked per day, and the air pressure averaged 25 lb. per sq. in.
The increase in the number of pipefitters was due to the greatly increased speed, and also the steadily increasing length of completed tunnel. The three laborers in the erection gang spent their whole time tightening bolts. The rate of progress in the silt under the river per ring of 2½ ft. was 3 hours 21 min., exclusive of all time when work was actually suspended. For a considerable part of the time only two 8-hour shifts were worked, owing to a shortage of iron caused by the change in the design of the lining, whereby the original lining was changed to a heavier one, and, as the work was also stopped for experiments and observations, the average of the actual total time, including all the time during which work was suspended, was 5 hours 32 min. per ring, or 10.8 ft. per day.
The junction of the shields under the river was made as follows: When the two shields of one tunnel, which had been driven from opposite sides of the river approached within 10 ft. of each other, the shields were stopped, a 10-in. pipe was driven between them, and a final check of lines and levels was made through the pipe. Incidentally, also, the first through traffic was established by passing a box of cigars through the pipe from the Manhattan shield to that from Weehawken. One shield was then started up with all doors closed while the doors on the stationary shield were opened so that the muck driven ahead by the moving shield was taken in through the other one's doors. This was continued until the cutting edges came together. All doors in both shields were then opened and the shield mucked out. The cutting edges were taken off, and the shields moved together again, edge of skin to edge of skin. The removal of the cutting edge necessitated the raising of the pressure to 37 lb. As the sections of the cutting edges were taken off, the space between the skin edges was poled with 3-in. stuff. Fig. 1, Plate XXXIX, is a view of the shields of the North Tunnel after being brought together and after parts of the interior frames had been removed. When everything except the skins had been removed, iron lining was built up inside the skins, the gap at the junction was filled with concrete, and long bolts were used from ring to ring on the circumferential joint. Finally, the rings inside the shield skins were grouted.
In order to make clear the nature of the work done in building these shield-driven tunnels in silt, a short description will be attempted, this description falling into three main divisions, namely, Shoving the Shield, Pushing Back the Jacks, and Erecting the Iron Lining.
Shoving the Shield.—This part of the work is naturally very important, as the position of the shield determines within pretty narrow limits the position of the iron built within it, hence the shield during its forward movement has to be guided very carefully. On this work certain instructions were issued for the guidance of the foreman in charge of the shield. These instructions were based on results of "checks" of the shield and iron's position by the engineering corps of the Company, and comprised, in the main, two requirements, namely, the leads that were to be got, and the quantity of muck to be taken in. The "lead" is the amount that the shield must be advanced further from the iron, on one side or the other, or on the top or bottom, as measured from the front face of the last ring of iron lining to the diaphragm of the shield. These leads are not necessarily true leads from a line at right angles to the center line, as the iron may have, and in fact usually does have, a lead of its own which is known and allowed for when issuing the requirements for the shove.
The foreman, knowing what was wanted, arranged the combination of shield jacks which would give the required leads and the amount of opening on the shield door which would give the required amount of muck. To see how the shield was going ahead, a man was stationed at each side at axis level and another in the crown. Each man had a graduated rod on which the marks were so distinct that they could be read by anyone standing on the lower platform. These rods were held against the shield diaphragm, and, as it advanced, its distance from the leading end of the last ring could be seen by the man in control of the jack valves. If he found that he was not getting the required leads, he could change the combination of jacks in action. As the time of a shove was often less than 10 min., the man had to be very quick in reading the rods and changing the jacks. If it was found that extensive change in the jack arrangement was wanted, the shove could be stopped by a man stationed at the main hydraulic control valve; but, as any such stoppage affected the quantity of muck taken in, it was not resorted to unless absolutely necessary.
If the quantity of muck coming in was not as desired, a stop had to be made to alter the size of the opening, and if, while this was being done, the exhaust valves were not closed quite tight, the silt pressure on the face of the shield would force it back against the iron. This fact was sometimes taken advantage of when a full opening did not let in the desired quantity, for the shield could be shoved, allowed to return, and shoved again.
The time taken to shove in silt varied greatly with the quantity of material taken in; for shoving and mucking combined, it averaged 66 min., with an average of 13 cu. yd. of muck disposed of, or about 5 min. per cu. yd. of material.
Pushing Back the Jacks.—This was a simple matter, and merely consisted in making the loose push-back connection to each jack as it had to be sent back. Some of the jacks became strained and bent, and had to be taken out and replaced. Where there was silt pressure against the face of the shield, the hydraulic pressure had to be kept on until the ring was erected. In such cases, only two or three jacks could be pushed back at a time, and only after a segment had been set in position, and the pressure taken on it, could the next jack be pushed back, and so on around the ring. The time between the finish of the shove (hydraulic pressure turned off) and the placing of the first segment, was occupied in pushing back the bottom jacks and cleaning dirt off the tail of the shield, and averaged about 14 min.
Erecting the Iron Lining.—As soon as the shove was over, the whole force, when in silt, set to work at building up the iron and then tightening the bolts so that the shield could be shoved again. A section of the tunnel with bolting and working platform is shown on Plate XL. [Pg 255]
In the early part of the work, when the ground was being excavated ahead of the shield, the whole force, with the exception of those working in front of the shield, was engaged in erecting the iron, but, as soon as this was done, most of the men returned to the mucking, and only the iron workers continued to tighten up bolts. On the other sections, where the shield was shoved into the silt without excavating ahead, as soon as the shove was completed, the whole force was engaged in the erection of the iron and the tightening of the bolts, until they were so tight that the shield could be shoved again for another ring.
The iron was brought into the tunnel on flat cars, two segments to the car, and was lifted from the car and lowered into the invert of the shield by a block and fall and chain sling, as shown in Fig. 2, Plate XXXIX. The bottom three or four segments were pushed around into position with the erector, the head simply bearing against the longitudinal flange without being attached to the segment; the upper segments, however, were, as shown in Fig. 2, Plate XXXVIII, and Fig. 1, Plate XLI, attached to the erector, by using the expanding bar and the erector head designed by Mr. Patrick Fitzgerald, the Tunnel Superintendent. This was found to be a most convenient arrangement.
The single erector attached to the center of the shield was able to erect the iron as fast as it could be brought into the tunnel, and even when the weight of the segments was increased 25% (from 2,060 to 2,580 lb.) it always proved equal to its task, although occasionally one of the chains in the mechanism broke and delayed the work for an hour or so; but the sum of all the delays from this cause and from breaks and leaks in the hydraulic line only averaged 13 min. per ring. The operating valve which was first used was a four-spindle turning valve, but this was replaced by a sliding valve which was found to be much more satisfactory, both in ease of operation and freedom from failure.
As the iron was put into place, two of the middle bolts in each longitudinal flange and two in each circumferential one were pulled as tight as possible, and the others put in loosely; then, as soon as the ring was in position, as large a force as could be conveniently worked at one time was engaged in tightening the bolts. The shape of the tunnel depended on the thoroughness of the tightening of the bolts, and the shield was never shoved until the bolts in all the longitudinal flanges had been thoroughly tightened. In addition, all the bolts in the circumferential flanges below the axis were tightened, and at least three of the six in each segment above. After the shield had been shoved ahead, the bolts were found to have slackened, and, where the daily progress was four rings, or more, it was necessary to have a small gang of men always at this work.
In order to get at the bolts, special platforms were necessary, and throughout the greater part of the work, a traveling platform was used. This enabled the men to reach handily all parts of the seven leading rings. This platform was supported and moved forward on wheels fixed on brackets to the tunnel, and was pulled forward by connecting chains every time the shield was shoved. In the early part of the work it was not possible to use platforms, because, in order to maintain the correct circular shape of the iron lining, it was necessary to put in temporary horizontal turnbuckles at axis level. These, however, were very convenient for supporting the planks which were used as a temporary bolting platform for the sides of the tunnel, and a temporary platform resting on 6 by 6-in. timbers across the tunnel enabled the bolts in the crown of the tunnel to be reached, while the 6 by 6-in. timbers were left in to support the emergency platform previously described (Plate XL), which extended the entire length of the tunnel.
The time taken to erect the iron lining became shorter and shorter as the tunnel organization became more perfect and the force better trained, so that, whereas, in the early part of the work, it frequently took 6 hours to erect a ring, in the latter part, when the work was nearing completion, it was a common occurrence to erect a ring in 30 min. The average time in the "heavy iron" section, which included the greater part of the work under the river, was 1 hour 4 min. for the erection of the ring and 40 min. for tightening the bolts after that had been completed, so that the total time spent by the whole gang on erection and bolting averaged 1 hour 44 min. per ring, exclusive of the time spent by the small gang which was always engaged in tightening the bolts. The average time spent in erecting and bolting, for the whole length of the tube tunnels, was 2 hours 15 min. per ring.
Tables of Progress.—Tables 24, 25, 26, and 27 have been prepared to show the time taken in the various operations at each working face.
In Tables 24, 25, 26, and 27, the following symbols are used:
A—Including assistant superintendents, foremen, and electricians, in driving the shield, erecting iron, mucking, attending to the electric lights, and repairing the pipe line.
B—Drillers, drillers' helpers, drill foremen, and nippers.
C—All men grouting.
D—Engineers and laborers wholly employed on transport between the first lock and the face.
E—In rock, one car = 0.60 cu. yd.; in sand or silt = 1.20 cu. yd. in place.
F—Time between completion of mucking and putting in first plate, spent in shoving the jacks back.
G—In ordinary iron = the whole time spent on erection and bolting. In heavy iron = the time between putting in the first plate and placing the key only.
H—Time between placing the key and starting the next shove, spent by the whole gang in tightening bolts. In addition to this, there was a small gang which spent its whole time at this work.
I—In Table 24 the first pair of
bore segments is at ring 207-208.
In Table 25
the first pair of bore segments is at ring 201-202.
In Table 26
the first pair of bore segments is at ring 185-186.
In Table 27
the first pair of bore segments is at ring 171-172.
Outside diameter of tunnel = 23 ft. 0 in.
Inside diameter of tunnel = 21 ft. 2 in.
Length of ring = 2 ft. 6 in.
In the "Ordinary Iron" section the time is divided between mucking (which included the shoving and pushing back of the jacks) and the erection time (which included the time spent by the whole gang in tightening bolts). In the "Heavy Iron" section these times are all separated into "Mucking," "Pushing Back Jacks," "Erecting," and "Bolting," and here the bolting time included only that spent on bolts by the whole gang; in addition, there was a small gang engaged solely in tightening bolts. The lost time is the average time lost due to the break-down of hydraulic pipe lines, damaged jacks, and broken erector chains. The erection time is separated for the various kinds of rings, that is, straight ordinary rings, rings containing No. 1 bore segments, rings containing No. 2 bore segments, and taper rings, and it will be seen that, on the average, taper rings took 22 min. (or 24%) more time to erect and to bolt than ordinary ones, and that rings containing No. 2 bore segments took 14 min. (or 15%) more.
TABLE 24.— Shield-Driven Tunnel Work, Manhattan Shaft, River Tunnel North. Table showing the size of the gang, the amount of excavation, and the time per ring taken for the various operations involved in building tunnel through the several kinds of ground encountered; also the extent and nature of all the unavoidable delays.
| Weight of iron | Section between rings | Description | Ave. No. of Men | Av. No. of cu. yd. per ring | Time Mucking per cu. yd. | Av. Time per ring, shoving and Mucking | Time for Jacks | Time for Ring Erection, Hrs. and Min. | Bolting Time, Whole Time on Bolts After Ring is Complete. | Time lost repairing hydraulic piping | Total Time. | |||||||||||||||||||
|---|---|---|---|---|---|---|---|---|---|---|---|---|---|---|---|---|---|---|---|---|---|---|---|---|---|---|---|---|---|---|
| Length in feet | Material | Ave air Pressure | Method of Excavation | Shield | Drilling | Grouting | Air trans | Total | Ordinary | Bore 1 | Bore 2 | Taper | Mean | Ordinary | Bore 1 | Bore 2 | Taper | Mean | Ordinary | Bore 1 | Bore 2 | Taper | Mean | |||||||
| A | B | C | D | E | F | G | G | G | G | G | H | H | H | H | H | |||||||||||||||
| Ordinary | 1-54 | 135.0 | Rock | 0 | [P] | 14 | Time for jacks for light iron is included in shoving and mucking | 4-00 | 4-21 | 4-04 | Excavation partially completed previously. | |||||||||||||||||||
| 55-80 | 65.0 | " | 19 | [P] | 24 | 7 | ⅓ | 1 | 32 | 41 | 0-31 | 21-00 | 6-04 | 5-30 | 5-57 | } | Bolting time for light iron is included in erection. | { | 27-4 | 26-30 | 26-57 | |||||||||
| 81-107 | 65.0 | Soft rock | 18 | [P] | 22 | 5 | 2 | 29 | 41 | 0-33 | 22-30 | 4-26 | 4-26 | } | { | 26-56 | 26-56 | |||||||||||||
| 108-153 | 117.5 | Rock | 14 | [P] | 17 | 11 | 2 | 30 | 41 | 0-39 | 26-31 | 3-10 | 3-30 | 3-12 | } | { | 29-41 | 30-1 | 29-43 | |||||||||||
| 154-194 | 102.5 | Rock and earth | 14 | [P] | 23 | 6 | 2 | 31 | 41 | 0-27 | 18-34 | 2-08 | J. | J. | 2-40 | 2-10 | } | { | 20-42 | 21-14 | 20-44 | |||||||||
| 195-215 | 52.5 | Silt | 19 | [P]Breasting | 28 | 2 | 30 | 41 | 0-10 | 6-46 | 3-03 | 3-30 | 3-30 | 3-09 | } | { | 9-49 | 10-16 | 10-16 | 9-55 | ||||||||||
| 216-393 | 445.0 | " | 20 | [Q]8 doors | 27 | 4 | 31 | 46 | 0-05 | 3-53 | 2-40 | 2-56 | 3-00 | 3-10 | 2-50 | } | { | 0-09 | 6-42 | 6-58 | 7-02 | 7-12 | 6-52 | |||||||
| 394-429 | 90.0 | Silt, piles, rip-rap | 24 | [P]Breasting | 28 | 4 | 32 | 46 | 0-18 | 17-09 | 3-43 | 3-39 | 4-46 | 4-11 | 3-56 | } | { | 23-79 | 23-25 | 24-32 | 23-57 | 23-42 | ||||||||
| 430-509 | 200.0 | Silt | 23 | [Q]1 door | 24 | 3 | 27 | 11 | 0-10 | 1-42 | 3-14 | 4-12 | 3-59 | 3-46 | 3-34 | } | { | 0-18 | 5-14 | 6-12 | 5-59 | 5-46 | 5-34 | |||||||
| 510-692 | 457.5 | " | 23 | [Q]3 doors | 26 | 4 | 30 | 30 | 0-05 | 1-47 | 2-08 | 2-21 | 2-32 | 2-50 | 2-18 | } | { | 0-11 | 4-06 | 4-19 | 4-30 | 4-48 | 4-16 | |||||||
| 55-692 | 1,593.0 | 20 | 25 | 2 | 3 | 30 | 30 | 0-15 | 7-35 | [N] | 3-02 | 4-31 | 3-12 | } | { | 0-17 | 10-54 | 12-23 | 11-04 | |||||||||||
| 216-692 | 1,192.5 | 22 | 26 | 4 | 30 | 30 | 0-07 | 3-42 | [N] | 2-38 | 2-59 | 3-08 | 1-30 | 2-50 | } | { | 0-25 | 6-45 | 7-06 | 7-15 | 5-37 | 6-57 | ||||||||
| Heavy | 693-954 | 655.0 | Silt | 24 | [Q]1 door | 28 | 6 | 34 | 11 | 0-12 | 1-02 | [N] | 1-52 | 2-05 | 2-15 | 2-29 | 2-0 | } | { | 0-13 | 3-7 | 3-20 | 3-30 | 3-44 | 3-15 | |||||
| 955-1,014 | 150.0 | " | 24 | [Q]1 " | 28 | 8 | 36 | 12 | 0-04 | 0-48 | 0-16 | 0-51 | 1-18 | 1-08 | 0-50 | 0-58 | 0-24 | 0-21 | 0-37 | 0-10 | 0-25 | 0 | 2-19 | 2-43 | 2-49 | 2-04 | 2-27 | |||
| 1,015-1,074 | 150.0 | " | 24 | [Q]1 " | 25 | 8 | 33 | 12 | 0-03 | 0-41 | 0-13 | 0-43 | 0-46 | 0-55 | 0-40 | 0-45 | 0-31 | 0-30 | 0-52 | 0-23 | 0-34 | 0-02 | 2-10 | 2-12 | 2-43 | 1-59 | 2-15 | |||
| 1,075-1,134 | 150.0 | " | 24 | [Q]1 " | 27 | 9 | 36 | 8 | 0-04 | 0-34 | 0-12 | 1-04 | 1-01 | 1-15 | 1-20 | 1-08 | 0-28 | 0-35 | 1-40 | 0-52 | 0-44 | 0-03 | 2-21 | 2-25 | 3-44 | 3-01 | 2-41 | |||
| 1,135-1,194 | 150.0 | " | 25 | [Q]1 " | 26 | 8 | 34 | 8 | 0-04 | 0-33 | 0-13 | 0-53 | 0-51 | 0-58 | 0-46 | 0-53 | 0-32 | 0-20 | 0-24 | 0-18 | 0-26 | 0 | 2-11 | 1-57 | 2-08 | 1-50 | 2-05 | |||
| 1,195-1,224 | 75.0 | " | 25 | [Q]1 " | 24 | 9 | 33 | 6 | 0-04 | 0-24 | 0-12 | 0-58 | 0-42 | 0-53 | 0-50 | 0-54 | 0-19 | 0-20 | 0-34 | 0-35 | 0-23 | 0 | 1-53 | 1-38 | 2-03 | 2-01 | 1-53 | |||
| 1,225-1,262 | 95.0 | " | 25 | [Q]1 " | 23 | 9 | 32 | 5 | 0-05 | 0-23 | 0-10 | 0-48 | 0-49 | 0-50 | 0-35 | 0-47 | 0-29 | 0-29 | 0-36 | 0-18 | 0-30 | 0 | 1-50 | 1-51 | 1-59 | 1-26 | 1-50 | |||
| 1,263-1,277 | 37.5 | " | 25 | [Q]1 " | 24 | 10 | 34 | 10 | 0-04 | 0-36 | 0-11 | 0-47 | 0-50 | 0-52 | 0-48 | 0-52 | 0-23 | 0-23 | 0-41 | 0-23 | 0-27 | 0 | 1-57 | 2-0 | 2-20 | 1-58 | 2-06 | |||
| 1,278-1,307 | 75.0 | " | 25 | [Q]1 " | 21 | 10 | 31 | 17 | 0-04 | 1-09 | 0-10 | 1-03 | 1-01 | 1-06 | 0-00 | 1-04 | 0-33 | 0-34 | 0-51 | 0-0 | 0-36 | 0 | 2-55 | 2-54 | 3-16 | 0-0 | 2-59 | |||
| 1,308-1,326 | 47.5 | " | 28 | [Q]1 " | 27 | 11 | 38 | 22 | 0-05 | 1-39 | 0-18 | 1-25 | 1-48 | 1-50 | 0-50 | 1-31 | 0-49 | 0-42 | 0-58 | 0-25 | 0-48 | 0 | 4-11 | 4-27 | 4-45 | 3-12 | 4-16 | |||
| 955-1,326 | 930.0 | 24 | 26 | 9 | 35 | 11 | 0-04 | 0-41 | 0-13 | 0-55 | 0-59 | 1-03 | 0-55 | 0-58 | 0-29 | 0-27 | 0-49 | 0-31 | 0-32 | 0 | 2-18 | 2-20 | 2-46 | 2-20 | 2-24 | |||||
| 693-1,326 | 1,585.0 | 24 | 27 | 8 | 35 | 12 | 0-04 | 0-51 | [N] | 1-27 | 1-34 | 1-41 | 1-38 | 1-31 | [O] | 0-06 | 2-24 | 2-31 | 2-38 | 2-35 | 2-28 | |||||||||
| All | 216-1,326 | 2,777.5 | 23 | 27 | 7 | 34 | 19 | 0-06 | 1-59 | [N] | 1-55 | 2-08 | 2-16 | 1-35 | 2-03 | [O] | 0-16 | 4-18 | ||||||||||||
| 55-1,326 | 3,180.0 | 22 | 26 | 6 | 32 | 21 | 0-10 | 4-13 | [N] | 2-22 | [O] | 0-12 | 6-47 | |||||||||||||||||
SUMMARY
| Weight of iron | Section between rings | Description | Ave. No. of Men in Gang | Average No. of cubic yard per ring | Time mucking, per cubic yard | Average Time per Ring | Unavoidable Delays (Not Included in Average Time per Ring). | |||||||||||
|---|---|---|---|---|---|---|---|---|---|---|---|---|---|---|---|---|---|---|
| Length in feet | Material | Ave. air Pressure | Method of Excavation | Shield | Drilling | Grouting | Air Trans | Total | Shoving and mucking[N] | Erection[O] | Lost time | Total | Items | Time hrs--min | ||||
| Ordinary | 1-54 | 135.0 | Rock | 0 | [P] | 14 | 4-14 | First bulkhead | 172-00 | |||||||||
| 55-194 | 350.0 | Earth and rock | 16 | [P] | 22 | 6 | ⅓ | 2 | 30 | 41 | 0-32 | 21-44 | 4-04 | 25-48 | Second bulkhead | 119-00 | ||
| 195-393 | 497.5 | Silt | 20 | [P]Breasting | 27 | 4 | 31 | 38 | 0-07 | 4-11 | 2-52 | 0-09 | 7-12 | Grouting | 200-00 | |||
| 394-440 | 117.5 | " | 24 | [P]Breasting | 28 | 4 | 32 | 41 | 0-18 | 11-54 | 4-17 | 1-41 | 17-52 | Blowout | 73-00 | |||
| 441-692 | 630.0 | " | 23 | [Q]3 doors | 25 | 4 | 29 | 17 | 0-06 | 2-04 | 2-34 | 0-42 | 5-20 | Cradle | 100-00 | |||
| 216-692 | 1,192.5 | 22 | 26 | 4 | 30 | 30 | 0-07 | 3-42 | 2-50 | 0-25 | 6-57 | Total | 664-00 | |||||
| 55-692 | 1,595.0 | 20 | 25 | 2 | 3 | 30 | 30 | 0-15 | 7-35 | 3-12 | 0-17 | 11-04 | Per ring | 0-39 | ||||
| Heavy | 693-1,326 | 1,585.0 | Silt | 24 | [Q]1 door | 27 | 8 | 35 | 12 | 0-04 | 0-51 | 1-31 | 0-06 | 2-28 | ||||
| All | 55-1,326 | 3,180.0 | 22 | 26 | 6 | 32 | 21 | 0-10 | 4-13 | 2-22 | 0-12 | 6-47 | ||||||
[N] Including time for jacks.
[O] Including bolting time.
[P] Excavating ahead of shield.
[Q] Shoving shield into silt with ... doors open.
TABLE 25.— Shield-Driven Tunnel Work, Manhattan Shaft, River Tunnel South. Table showing the size of the gang, the amount of excavation, and the time per ring taken for the various operations involved in building tunnel through the several kinds of ground encountered; also the extent and nature of all the unavoidable delays.
| Weight of iron | Section between rings | Description | Average No. of Men in Gang | Av. No. of cu. yd. per ring | Time Mucking, per cu. yd. | Av. time per ring shoving and Mucking | Time for Jacks | Time for Ring Erection, Hrs. and Min. | Bolting Time, Whole Time on Bolts After Ring is Complete. | Time lost repairing hydraulic piping | Total Time. | |||||||||||||||||||
|---|---|---|---|---|---|---|---|---|---|---|---|---|---|---|---|---|---|---|---|---|---|---|---|---|---|---|---|---|---|---|
| Length in feet | Material | Ave air pressure | Method of Excavation | Shield | Drilling | Grouting | Air trans | Total | Ordinary | Bore 1 | Bore 2 | Taper | Mean | Ordinary | Bore 1 | Bore 2 | Taper | Mean | Ordinary | Bore 1 | Bore 2 | Taper | Mean | |||||||
| A | B | C | D | E | F | G | G | G | G | G | H | H | H | H | H | |||||||||||||||
| Ordinary | 1-68 | 170.0 | Rock | 0 | [R] | 20 | 5 | 5 | 2 | 32 | 41 | 0-14 | 9-53 | Time for jacks for light iron is included in shoving and mucking | 5-27 | 4-32 | 5-07 | Excavation partially completed previously. Bolting time for light iron is included in erection. | 15-20 | 14-25 | 15-00 | |||||||||
| 69-95 | 67.5 | Rock and earth | 13 | [R] | 22 | 8 | 2 | 32 | 41 | 0-24 | 16-18 | 3-02 | 2-40 | 3-00 | 19-20 | 18-58 | 19-18 | |||||||||||||
| 96-141 | 115.0 | Rock | 10 | [R] | 21 | 13 | 2 | 36 | 70 | 0-16 | 18-16 | 2-08 | 2-27 | 2-09 | 0-03 | 20-27 | 20-46 | 20-28 | ||||||||||||
| 142-191 | 125.0 | Rock and earth | 15 | [R] | 24 | 7 | 2 | 33 | 52 | 0-20 | 17-27 | 2-08 | J | J | 2-04 | 2-08 | 0-12 | 19-47 | 19-43 | 19-47 | ||||||||||
| 192-203 | 30.0 | Silt | 18 | [R]Breasting | 23 | 3 | 26 | 36 | 0-13 | 7-58 | 2-27 | 6-00 | 2-10 | 3-15 | 2-47 | 1-20 | 11-45 | 15-18 | 11-28 | 12-33 | 12-05 | |||||||||
| 204-388 | 462.5 | " | 18 | [S]7 doors | 27 | 3 | 30 | 37 | 0-05 | 3-19 | 2-41 | 2-49 | 2-54 | 2-56 | 2-47 | 0-05 | 6-05 | 6-13 | 6-18 | 6-20 | 6-11 | |||||||||
| 389-429 | 102.5 | Silt, piles and rip-rap. | 22 | [S] 6 doors [R]Breasting | 24 | 4 | 28 | 40 | 0-17 | 12-42 | 3-15 | 2-36 | 5-03 | 3-26 | 3-27 | 0-38 | 16-35 | 15-56 | 18-23 | 16-46 | 16-47 | |||||||||
| 430-504 | 187.5 | Silt | 21 | [S]3 doors | 23 | 5 | 28 | 20 | 0-06 | 1-51 | 2-53 | 3-17 | 3-00 | 2-57 | 2-59 | 0-39 | 5-23 | 5-47 | 5-30 | 6-27 | 5-29 | |||||||||
| 505-629 | 312.5 | " | 22 | [S]4 doors | 25 | 6 | 31 | 27 | 0-05 | 2-20 | 2-23 | 2-40 | 2-45 | 2-28 | 2-30 | 0-23 | 5-06 | 5-23 | 5-28 | 5-11 | 5-13 | |||||||||
| 630-692 | 157.5 | " | 23 | [S]2 doors. | 24 | 8 | 32 | 22 | 0-05 | 1-53 | 1-54 | 2-10 | 2-22 | 2-23 | 2-02 | 0-08 | 3-55 | 4-11 | 4-23 | 4-24 | 4-03 | |||||||||
| 204-692 | 1,222.5 | 21 | 25 | 5 | 30 | 30 | 0-07 | 3-27 | [T] | 2-34 | 2-45 | 2-58 | 2-35 | 2-42 | 0-18 | 6-19 | 6-30 | 6-43 | 6-20 | 6-27 | ||||||||||
| 69-692 | 1,560.0 | 17 | 23 | 4 | 0 | 3 | 30 | 36 | 0-11 | 6-40 | [T] | 2-47 | 3-18 | 2-52 | 0-15 | 9-42 | 10-13 | 9-47 | ||||||||||||
| Heavy | 693-766 | 185.0 | Silt | 24 | [S]2 doors | 21 | 6 | 27 | 22 | 0-05 | 1-35 | 0-25 | 1-18 | 1-44 | 1-30 | 1-40 | 1-25 | 0-43 | 1-09 | 0-52 | 0-50 | 0-49 | 0-07 | 4-08 | 5-00 | 4-29 | 4-37 | 4-21 | ||
| 767-806 | 100.0 | " | 24 | [S]2 " | 22 | 7 | 29 | 22 | 0-05 | 1-19 | 0-21 | 1-00 | 0-56 | 1-37 | 1-21 | 1-08 | 0-38 | 0-24 | 0-43 | 0-38 | 0-42 | 0-02 | 3-20 | 3-02 | 4-02 | 3-41 | 3-32 | |||
| 807-900 | 235.0 | " | 24 | [S]1½ " | 23 | 8 | 31 | 19 | 0-05 | 1-11 | 0-17 | 0-58 | 1-13 | 1-08 | 1-12 | 1-04 | 0-39 | 0-34 | 0-56 | 0-31 | 0-40 | 0-06 | 3-11 | 3-21 | 3-38 | 3-17 | 3-18 | |||
| 901-933 | 82.5 | " | 25 | [S]1 door | 30 | 10 | 40 | 19 | 0-04 | 1-13 | 0-09 | 0-59 | 1-05 | 0-59 | 1-00 | 0-34 | 0-26 | 1-47 | 0-43 | 0-05 | 3-00 | 2-58 | 4-13 | 3-10 | ||||||
| 934-988 | 137.5 | " | 25 | [S]1 " | 30 | 11 | 41 | 16 | 0-04 | 0-54 | 0-12 | 0-49 | 0-44 | 0-56 | 0-50 | 0-28 | 0-34 | 0-34 | 0-30 | 0-06 | 2-29 | 2-30 | 2-42 | 2-32 | ||||||
| 989-1,043 | 137.5 | " | 25 | [S]1 " | 28 | 11 | 39 | 13 | 0-05 | 0-52 | 0-14 | 0-51 | 0-44 | 0-52 | 1-14 | 0-52 | 0-33 | 0-24 | 0-51 | 0-35 | 0-35 | 0-04 | 2-34 | 2-18 | 2-53 | 2-59 | 2-37 | |||
| 1,044-1,053 | 25.0 | " | 26 | [S]1 " | 25 | 9 | 34 | 16 | 0-07 | 0-40 | 0-15 | 1-04 | 1-15 | 0-50 | 0-55 | 1-02 | 0-23 | 0-38 | 0-30 | 0-55 | 0-36 | 3-22 | 3-48 | 3-15 | 3-45 | 3-33 | ||||
| 1,054-1,068 | 37.5 | 26 | [S]1 " | 26 | 9 | 35 | 8 | 0-05 | 0-36 | 0-08 | 0-57 | 0-40 | 1-02 | 0-56 | 0-33 | 0-25 | 0-35 | 0-32 | 2-14 | 1-49 | 2-21 | 2-12 | ||||||||
| 1,069-1,110 | 105.0 | " | 26 | [S]1 " | 30 | 11 | 41 | 14 | 0-06 | 1-00 | 0-15 | 0-48 | 0-54 | 1-06 | 1-31 | 0-56 | 0-32 | 0-40 | 0-48 | 0-46 | 0-37 | 0-05 | 2-40 | 2-54 | 3-14 | 3-37 | 2-53 | |||
| 693-1,110 | 1,045.0 | 25 | 25 | 8 | 33 | 18 | 0-05 | 1-29 | [T] | 1-01 | 1-08 | 1-09 | 1-19 | 1-05 | 0-37 | 0-39 | 0-52 | 0-40 | 0-40 | 0-05 | 3-12 | 3-21 | 3-35 | 3-33 | 3-19 | |||||
| All | 204-1,110 | 2,267.5 | 23 | 25 | 6 | 31 | 25 | 0-06 | 2-35 | [T] | 2-09 | 2-19 | 2-33 | 2-19 | 2-17 | [U] | 0-12 | 4-56 | 5-06 | 5-20 | 5-06 | 5-04 | ||||||||
| 69-1,110 | 2,605.0 | 20 | 24 | 2 | 5 | 31 | 29 | 0-09 | 4-36 | [T] | 2-19 | 2-46 | 2-25 | [U] | 0-14 | 7--0 | 7-36 | 7-15 | ||||||||||||
SUMMARY
| Weight of iron | Section between rings | Description | Ave. No. of Men in Gang | Average No. of cubic yards per ring | Mucking, per cubic yard | Average Time per ring | Unavoidable Delays (not Included in Average Time per Ring). | |||||||||||
|---|---|---|---|---|---|---|---|---|---|---|---|---|---|---|---|---|---|---|
| Length in feet | Material | Ave. air pressure | Mehod of Excavation | Shield | Drilling | Grouting | Air Trans | Total | Shoving and mucking[T] | Erection [U] | Lost time | Total | Items | Time hrs min | ||||
| Ordinary | 1-68 | 170.0 | Rock | 0 | [R] | 20 | 5 | 5 | 5 | 32 | 41 | 0-14 | 9-53 | 5-07 | 15-00 | First bulkhead | 160--00 | |
| 69-191 | 307.5 | Rock and earth | 13 | [R] | 22 | 9 | 2 | 33 | 54 | 0-19 | 17-20 | 2-26 | 0-05 | 19-51 | Second bulkhead | 157--45 | ||
| 192-388 | 492.5 | Silt | 18 | [R]Breasting [S]7 doors | 25 | 3 | 28 | 37 | 0-09 | 5-39 | 2-47 | 0-63 | 9-29 | Grouting | 200--00 | |||
| 389-429 | 102.5 | Silt piles and rip-rap | 22 | [R] Breasting [S]6 doors | 24 | 4 | 28 | 40 | 0-17 | 12-42 | 3-27 | 0-38 | 16-47 | Blowout | 69--45 | |||
| 430-692 | 657.5 | Silt | 22 | [S]3 doors | 24 | 6 | 30 | 24 | 0-05 | 1-58 | 2-29 | 0-22 | 4-49 | Waiting for heavy iron | 64--0 | |||
| 204-692 | 1,222.5 | 21 | 25 | 5 | 30 | 30 | 0-07 | 3-27 | 2-42 | 0-18 | 6-27 | Total | 715--30 | |||||
| 69-692 | 1,560.0 | 17 | 23 | 4 | 0 | 3 | 30 | 36 | 0-11 | 6-40 | 2-52 | 0-15 | 9-47 | Per ring | 0--39 | |||
| Heavy | 693-1,110 | 1,045.0 | 25 | [S]1 door | 25 | 8 | 33 | 18 | 0-05 | 1-29 | 1-45 | 0-06 | 3-19 | |||||
| All | 69-1,110 | 2,605.0 | 20 | 24 | 5 | 31 | 29 | 0-09 | 4-36 | 2-25 | 0-14 | 7-15 | ||||||
[R] Excavating ahead of shield.
[S] Shoving shield into silt with ... doors open.
[T] Including time for jacks.
[U] Including bolting time.
TABLE 26.— Shield-Driven Tunnel Work, Weehawken Shaft, River Tunnel North. Table showing the size of the gang, the amount of excavation, and the time per ring taken for the various operations involved in building tunnel through the several kinds of ground encountered; also the extent and nature of all the unavoidable delays.
| Weight of iron | Section between rings | Description | Ave. No. of Men in Gang | Av. No. of cu. yd. per ring | Time Mucking, per cu. yd. | Av. Time per ring, shoving and mucking | Time for Jacks | Time for Ring Erection, Hrs. and Min. | Bolting Time, Whole Time on Bolts After Ring is Complete. | Time lost repairing hydraulic piping | Total Time. | |||||||||||||||||||
|---|---|---|---|---|---|---|---|---|---|---|---|---|---|---|---|---|---|---|---|---|---|---|---|---|---|---|---|---|---|---|
| Length in feet | Material | Ave air Pressure | Method of Excavation | Shield | Drilling | Grouting | Air trans | Total | Straight | Bore 1 | Bore 2 | Taper | Mean | Straight | Bore 1 | Bore 2 | Taper | Mean | Straight | Bore 1 | Bore 2 | Taper | Mean | |||||||
| A | B | C | D | E | F | G | G | G | G | G | H | H | H | H | H | |||||||||||||||
| Ordinary | 1-24 | 60.0 | Rock | 0 | [X] | 9 | .04 | 0 | 0 | 10 | 46 | 0-06 | 4-32 | Time for jacks for light iron is included in shoving and mucking. | 6-23 | 6-23 | Excavation partially completed previously. | 10-55 | 10-55 | |||||||||||
| 25-55 | 77.5 | " | 20 | [X] | 14 | 5 | 0.5 | 1 | 21 | 46 | 0-51 | 39-33 | 4-25 | 5-10 | 4-29 | 43-58 | 44-43 | 44-02 | ||||||||||||
| 56-72 | 42.5 | Mixed sand and rock | 10 | [X]Breasting | 22 | 2 | .09 | 2 | 26 | 44 | 0-21 | 15-05 | 2-53 | 3-15 | 2-55 | 0-04 | 18-02 | 18-24 | 18-04 | |||||||||||
| 73-165 | 232.5 | Sand and gravel | 10 | [X] " | 22 | 0 | 0.1 | 2 | 24 | 39 | 0-11 | 6-56 | 2-27 | 2-21 | 2-26 | Bolting time for light iron is included in erection. | 0-09 | 9-32 | 9-26 | 9-31 | ||||||||||
| 166-184 | 47.5 | Sand and silt with piles | 20 | [X] Breasting and cutting piles | 22 | 0 | .38 | 3 | 25 | 42 | 0-09 | 6-19 | 2-31 | J | J | 6-30 | 2-37 | 0-07 | 8-57 | 12-56 | 9-03 | |||||||||
| 185-253 | 172.5 | Silt and piles | 24 | 23 | 0 | .71 | 3 | 26 | 43 | 0-09 | 6-13 | 1-57 | 2-44 | 2-52 | 2-00 | 2-15 | 0-15 | 8-25 | 9-12 | 9-20 | 8-28 | 8-43 | ||||||||
| 254-293 | 100.0 | Silt | 26 | [Y]8 doors | 22 | 0 | 0 | 3 | 25 | 6 | 0-18 | 1-45 | 1-58 | 1-57 | 2-15 | 2-45 | 2-02 | 0-14 | 3-57 | 3-56 | 4-14 | 4-44 | 4-01 | |||||||
| 294-301 | 20.0 | " | 27 | 19 | 0 | 0 | 2 | 21 | 0 | 1-08 | 0-58 | 1-45 | 1-50 | 1-17 | 2-06 | 2-53 | 2-58 | 2-25 | ||||||||||||
| 302-307 | 15.0 | " | 27 | [Y]8 doors | 21 | 0 | 0 | 2 | 23 | 26 | 0-09 | 4-03 | 2-20 | 1-40 | 1-55 | 2-57 | 2-22 | 6-23 | 5-43 | 5-58 | 7-00 | 6-25 | ||||||||
| 308-342 | 87.5 | " | 28 | 19 | 0 | 0 | 2 | 21 | 0 | 0 | 0-36 | 2-00 | 1-34 | 2-42 | 1-58 | 2-02 | 2-36 | 2-10 | 3-18 | 2-29 | 2-38 | |||||||||
| 343-347 | 12.5 | " | 28 | [Y]8 doors | 15 | 0 | 0 | 2 | 17 | 2 | 0-36 | 1-11 | 2-15 | 2-20 | 2-43 | 2-33 | 0-39 | 4-05 | 4-10 | 4-43 | 4-23 | |||||||||
| 348-459 | 280.0 | " | 28 | 20 | 0 | 0 | 3 | 23 | 0 | 0 | 0-33 | 2-03 | 2-04 | 2-09 | 2-23 | 2-06 | 0-14 | 2-50 | 2-51 | 2-56 | 3-10 | 2-53 | ||||||||
| 460-494 | 87.5 | " | 28 | [Y]8 doors | 21 | 0 | 0 | 3 | 24 | 9 | 0-09 | 1-23 | 2-49 | 2-30 | 2-50 | 1-50 | 2-38 | 0-27 | 4-39 | 4-20 | 4-40 | 3-40 | 4-28 | |||||||
| 495-513 | 47.5 | " | 28 | 8 " | 23 | 0 | 0 | 4 | 27 | 17 | 0-05 | 1-28 | 2-35 | 2-23 | 1-55 | 2-10 | 2-26 | 4-03 | 3-51 | 3-23 | 3-38 | 3-54 | ||||||||
| 514-605 | 230.0 | " | 28 | 8 " | 25 | 0 | 0 | 4 | 29 | 26 | 0-04 | 1-44 | 2-12 | 2-34 | 2-29 | 2-15 | 2-19 | 3-56 | 4-18 | 4-13 | 3-59 | 4-03 | ||||||||
| 606-624 | 47.5 | " | 28 | 8 " | 24 | 0 | 0 | 4 | 28 | 16 | 0-04 | 1-07 | 1-54 | 2-33 | 2-16 | 1-35 | 2-04 | 3-01 | 3-40 | 3-23 | 2-42 | 3-11 | ||||||||
| 625-640 | 40.0 | " | 28 | 8 " | 38 | 0 | 0 | 5 | 43 | 24 | 0-03 | 1-13 | 2-14 | 2-55 | 2-35 | 2-46 | 2-28 | 3-27 | 4-08 | 3-48 | 3-59 | 3-41 | ||||||||
| 25-640 | 1,540.0 | 20 | ||||||||||||||||||||||||||||
| 185-640 | 1,140.0 | 26 | 23 | 0 | 0.2 | 3 | 26 | 16 | 0-07 | 1-58 | [V] | 2-07 | 2-19 | 2-26 | 2-15 | 2-13 | 0-09 | 4-14 | 4-26 | 4-33 | 4-22 | 4-20 | ||||||||
| Heavy | 641-647 | 17.5 | Silt | 28 | [Y]8 doors | 24 | 0 | 0 | 6 | 30 | 19 | 0-04 | 0-08 | [V] | 1-20 | 2-08 | 1-65 | 1-40 | 1-41 | 0-40 | 0-35 | 1-25 | 0-55 | 0-47 | 3-08 | 3-51 | 4-28 | 3-43 | 3-36 | |
| 648-751 | 260.0 | " | 28 | [Y]8 " | 22 | 0 | 0 | 4 | 26 | 14 | 0-03 | 0-36 | 0-12 | 1-21 | 1-22 | 1-26 | 1-55 | 1-23 | 0-31 | 0-29 | 0-38 | 0-30 | 0-32 | 0-12 | 2-52 | 2-51 | 3-04 | 3-25 | 2-55 | |
| 752-795 | 110.0 | " | 28 | [Y]8 " | 18 | 0 | 0 | 7 | 25 | 10 | 0-03 | 0-29 | 0-14 | 0-46 | 1-25 | 1-31 | 2-37 | 1-10 | 0-48 | 0-31 | 0-44 | 0-35 | 0-43 | 0-05 | 2-22 | 2-44 | 3-03 | 4-00 | 2-41 | |
| 796-825 | 75.0 | " | 28 | [Y]8 " | 19 | 0 | 0 | 10 | 28 | 5 | 0-08 | 0-40 | 0-11 | 0-48 | 1-31 | 1-34 | 0-53 | 1-03 | 0-31 | 1-03 | 0-49 | 3-27 | 0-51 | 2-10 | 3-25 | 3-14 | 5-11 | 2-45 | ||
| 826-854 | 72.5 | " | 28 | [Y]8 " | 17 | 0 | 0 | 3 | 20 | 15 | 0-03 | 0-48 | 0-19 | 0-54 | 1-12 | 1-02 | 1-23 | 1-01 | 0-22 | 0-37 | 0-38 | 0-20 | 0-27 | 0-06 | 2-29 | 3-02 | 2-53 | 2-56 | 2-41 | |
| 855-881 | 67.5 | " | 28 | [Y]8 " | 23 | 0 | 0 | 9 | 32 | 7 | 0-05 | 0-33 | 0-16 | 0-59 | 0-45 | 1-15 | 1-20 | 1-01 | 0-22 | 0-21 | 0-45 | 0-40 | 0-26 | 0-45 | 2-55 | 2-40 | 3-34 | 3-34 | 3-01 | |
| 882-982 | 252.5 | " | 28 | [Y]8 " | 20 | 0 | 0 | 8 | 28 | 10 | 0-02 | 0-20 | 0-14 | 0-49 | 1-02 | 1-01 | 0-50 | 0-54 | 0-41 | 0-36 | 0-36 | 0-15 | 0-39 | 0-12 | 2-16 | 2-24 | 2-23 | 1-51 | 2-19 | |
| 983-990 | 20.0 | " | 28 | [Y]8 " | 21 | 0 | 0 | 7 | 28 | 17 | 0-02 | 0-34 | 0-14 | 0-40 | 0-40 | 0-48 | 0-44 | 1-15 | 0-15 | 0-28 | 0-48 | 2-43 | 1-43 | 2-04 | 2-20 | |||||
| 991-1,049 | 147.5 | " | 28 | [Y]8 " | 23 | 0 | 0 | 7 | 30 | 8 | 0-03 | 0-21 | 0-11 | 0-40 | 0-48 | 0-39 | 0-41 | 0-41 | 0-34 | 0-55 | 0-41 | 1-53 | 1-54 | 2-06 | 1-54 | |||||
| 1,050-1,074 | 62.5 | " | 28 | [Y]8 " | 24 | 0 | 0 | 9 | 33 | 7 | 0-03 | 0-18 | 0-10 | 0-43 | 0-44 | 0-46 | 0-40 | 0-43 | 0-35 | 1-15 | 0-07 | 0-35 | 0-48 | 0-04 | 1-50 | 2-31 | 2-25 | 1-47 | 2-03 | |
| 1,075-1,110 | 90.0 | " | 28 | [Y]8 " | 25 | 0 | 0 | 10 | 35 | 16 | 0-02 | 0-33 | 0-12 | 0-50 | 1-02 | 1-06 | 0-58 | 0-55 | 0-35 | 0-46 | 0-58 | 2-10 | 0-41 | 0-21 | 2-31 | 2-54 | 2-10 | 4-14 | 2-42 | |
| 641-1,110 | 1,175.0 | 28 | 21 | 0 | 0 | 7 | 28 | 8 | 0-04 | 0-30 | 0-14 | 0-56 | 1-08 | 1-12 | 1-29 | 1-02 | 0-36 | 0-36 | 0-44 | 0-54 | 6-38 | 0-11 | 2-27 | 2-27 | 2-51 | 3-18 | 2-35 | |||
| All | 185-1,110 | 2,315.0 | 28 | 22 | 0 | 0.1 | 5 | 27 | 12 | 0-07 | 1-20 | 0[V] | 1-48 | 2-01 | 2-11 | 2-17 | 1-56 | [W] | 0-10 | 3-18 | 3-31 | 3-41 | 3-47 | 3-26 | ||||||
| 25-1,110 | 2,715.0 | 26 | 21 | 0.1 | 0.1 | 3 | 24 | 17.1 | 0-12 | 3-13 | [V] | 2-05 | [W] | 0-09 | 5-27 | |||||||||||||||
SUMMARY
| Weight of iron | Section between rings | Description | Average No. of Men in Gang | Average No. of cubic yards per ring | Time mucking, per cubic yard | Average Time per Ring. | Unavoidable Delays (not Included in Average Time per Ring). | |||||||||||
|---|---|---|---|---|---|---|---|---|---|---|---|---|---|---|---|---|---|---|
| Length in feet | Material | Ave. air Pressure | Method of Excavation | Shield | Drilling | Grouting | Air trans | Total | Shoving and mucking [V] | Erection [W] | Lost time | Total | Items | Time hrs min | ||||
| Ordinary | 1-24 | 60.0 | Rock | 0 | [X] | 9 | .04 | 0 | 0 | 10 | 46 | 0-06 | 4-32 | 6-23 | 0-00 | 10-55 | First bulkhead | 132-00 |
| 25-55 | 77.5 | " | 20 | [X] | 14 | 5 | 0.5 | 1 | 21 | 46 | 0-51 | 39-33 | 4-29 | 0-00 | 44-02 | Second bulkhead | 158-50 | |
| 56-72 | 42.5 | Mixed sand and rock | 10 | [X]Breasting | 22 | 2 | .09 | 2 | 26 | 44 | 0-21 | 15-05 | 2-55 | 0-04 | 18-04 | Grouting | 240-00 | |
| 73-165 | 232.5 | Sand & gravel | 10 | [X]Breasting | 22 | 0 | .1 | 2 | 24 | 39 | 0-11 | 6-56 | 2-26 | 0-09 | 9-31 | Old cave-in | 234-00 | |
| 166-184 | 47.5 | Sand and silt with piles | 20 | [X]Breasting and cutting piles | 22 | 0 | .38 | 3 | 25 | 42 | 0-09 | 6-19 | 2-37 | 0-07 | 9-03 | Shoving tube | 128-00 | |
| 185-253 | 172.5 | Silt w/ piles | 24 | [X]Breasting and cutting piles | 23 | 0 | .71 | 3 | 26 | 43 | 0-09 | 6-13 | 2-15 | 0-05 | 8-43 | - | - | |
| 254-640 | 110.0 | Silt | 26 | [Y]Doors | 22 | 0 | 0 | 3 | 25 | 11 | 0-07 | 1-13 | 2-20 | 0-08 | 3-41 | Total | 892-50 | |
| 25-640 | 1,540.0 | 20 | [Y]Doors | 21 | 0.3 | .12 | 3 | 24 | 24 | 0-14 | 5-06 | 2-24 | 0-08 | 7-38 | per ring | 0-49 | ||
| Hvy | 641-1,110 | 1,175.0 | 28 | 21 | 0 | 0 | 7 | 28 | 8 | 0-04 | 0-44 | 1-40 | 0-11 | 2-35 | ||||
| All | 25-1,110 | 2,715.0 | 26 | 21 | 0.1 | 0.1 | 3 | 24 | 17.1 | 0-12 | 3-13 | 3-05 | 0-09 | 5-27 | ||||
[V] Including time for jacks.
[W] Including bolting time.
[X] Excavating ahead of shield.
[Y] Shoving shield into silt with ... doors open.
TABLE 27.— Shield-Driven Tunnel Work, Weehawken Shaft, River Tunnel South. Table showing the size of the gang, the amount of excavation, and the time per ring taken for the various operations involved in building tunnel through the several kinds of ground encountered; also the extent and nature of all the unavoidable delays.
| Weight of iron. | Section between rings. | Description. | Ave. No. of Men in Gang. | Av. No. of cu. yd. per ring. | Time Mucking, per cu. yd. | Av. Time per ring Shoving and Mucking. | Time for Jacks. | Time for Ring Erection, Hrs. and Min. | Bolting Time, (Whole Time on Bolts After Ring is Complete.) | Time lost repairing hydraulic piping. | Total Time. | |||||||||||||||||||
|---|---|---|---|---|---|---|---|---|---|---|---|---|---|---|---|---|---|---|---|---|---|---|---|---|---|---|---|---|---|---|
| Length in feet. | Material. | Ave. air Pressure. | Method of Excavation. | Shield. | Drilling. | Grouting. | Air trans. | Total. | Straight. | Bore 1. | Bore 2. | Taper. | Mean. | Straight. | Bore 1. | Bore 2. | Taper. | Mean. | Straight. | Bore 1. | Bore 2. | Taper. | Mean. | |||||||
| A | B | C | D | E | F | G | G | G | G | G | H | H | H | H | H | |||||||||||||||
| Ordinary. | 1-27 | 67.5 | Rock | 9 | [B] | Excavation partially completed previously. | 8-30 | 3-45 | 8-08 | Bolting time for light iron is included in erection. | 0-14 | 21-11 | 16-26 | 20-49 | ||||||||||||||||
| 28-42 | 37.5 | " | 12 | [B] | 13 | 4 | 1 | 1 | 19 | 48.7 | 0-25 | 20-33 | 4-23 | 4-00 | 4-21 | 0-12 | 25-08 | 24-45 | 25-06 | |||||||||||
| 43-58 | 40.0 | Rock or gravel | 12 | [B] | 19 | 2 | 2 | 2 | 25 | 44.2 | 0-46 | 33-44 | 4-16 | 5-45 | 4-44 | 1-15 | 39-15 | 40-44 | 39-43 | |||||||||||
| 59-153 | 237.5 | Gravel and sand | 16 | [B]Breasting | 25 | 1 | 4 | 30 | 39.0 | 0-12 | 8-06 | 2-19 | 4-18 | 2-23 | 0-30 | 10-55 | 12-54 | 10-59 | ||||||||||||
| 154-170 | 42.5 | Sand and silt with piles | 18 | " | 26 | 1 | 5 | 32 | 41.6 | 0-10 | 7-10 | 2-00 | J. | J. | 1-48 | 1-59 | 0-00 | 9-10 | J. | J. | 8-58 | 9-09 | ||||||||
| 171-236 | 165.0 | Silt with piles | 22 | Top half | 22 | 1 | 3 | 26 | 42.6 | 0-10 | 7-23 | 2-36 | 2-55 | 2-58 | 1-24 | 2-35 | 0-05 | 10-04 | 10-23 | 10-26 | 8-52 | 10-03 | ||||||||
| 237-259 | 57.5 | Silt | 25 | [C]1 door | 18 | 1 | 3 | 22 | 13.8 | 0-11 | 2-29 | 3-01 | 2-05 | 1-28 | 2-00 | 2-32 | 0-20 | 5-50 | 4-54 | 4-17 | 4-49 | 5-21 | ||||||||
| 260-302 | 107.5 | " | 27 | [C]1 door | 15 | 2 | 17 | 0 | 0-32 | 2-34 | 2-35 | 3-38 | 4-28 | 3-05 | 0-08 | 3-14 | 3-15 | 4-18 | 5-08 | 3-45 | ||||||||||
| 303-350 | 120.0 | " | 27 | [C]8 doors | 15 | 4 | 19 | 6.9 | 0-07 | 0-52 | 2-59 | 2-28 | 2-37 | 1-44 | 2-41 | 0-07 | 3-58 | 3-27 | 3-36 | 2-43 | 3-40 | |||||||||
| 351-378 | 70.0 | " | 27.5 | [C]8 " | 18 | 6 | 24 | 0 | 0-33 | 2-05 | 2-32 | 2-48 | 2-00 | 2-18 | 0-17 | 2-55 | 3-22 | 3-38 | 2-50 | 3-08 | ||||||||||
| 379-424 | 115.0 | " | 27.5 | [C]8 " | 19 | 4 | 23 | 6.9 | 0-07 | 0-48 | 3-34 | 2-51 | 3-18 | 3-19 | 3-22 | 0-25 | 4-47 | 4-09 | 4-31 | 4-32 | 4-35 | |||||||||
| 425-522 | 245.0 | " | 28 | [C]1 door | 19 | 4 | 23 | 6.7 | 0-06 | 0-45 | 3-09 | 3-51 | 3-00 | 3-28 | 3-16 | 0-16 | 4-10 | 4-52 | 4-01 | 4-29 | 4-17 | |||||||||
| 523-625 | 257.5 | " | 28 | [C]1 " | 20 | 4 | 24 | 0 | 0-32 | 1-36 | 1-37 | 1-47 | 1-51 | 1-39 | 0-12 | 2-20 | 2-21 | 2-31 | 2-35 | 2-23 | ||||||||||
| 171-625 | 1,137.5 | 27 | 19 | 4 | 23 | 9.7 | 0-11 | 1-44 | [Z] | 2-37 | 2-41 | 2-41 | 2-32 | 2-38 | 0-13 | 4-34 | 4-38 | 4-38 | 4-29 | 4-35 | ||||||||||
| 28-625 | 1,495.0 | 25 | 19 | .8 | 0.8 | 3.4 | 24 | 17.8 | 0-14 | 4-14 | [Z] | 2-41 | 0-16 | 7-11 | ||||||||||||||||
| Heavy. | 626-649 | 57.5 | Silt | 28 | [C]1 door | 16 | 3 | 19 | 12.2 | 0-12 | 2-23 | [Z] | 2-19 | 2-30 | 2-05 | 1-42 | 2-16 | 1-01 | 1-04 | 1-04 | 0-50 | 1-01 | 0-32 | 6-15 | 6-29 | 6-04 | 5-27 | 6-12 | ||
| 650-733 | 210.0 | " | 28 | [C]8 doors | 19 | 4 | 23 | 13.5 | 0-57 | 0-13 | 1-42 | 1-24 | 1-47 | 1-48 | 1-39 | 1-15 | 0-52 | 0-55 | 0-42 | 1-07 | 0-32 | 4-39 | 3-58 | 4-24 | 4-12 | 4-28 | ||||
| 734-753 | 50.0 | " | 28 | [C]8 " | 24 | 5 | 29 | 8.3 | 0-05 | 0-41 | 0-17 | 1-06 | 1-55 | 0-38 | 1-20 | 1-12 | 0-38 | 0-44 | 1-13 | 0-20 | 0-44 | 0-06 | 2-48 | 3-43 | 2-55 | 2-44 | 3-00 | |||
| 754-844 | 227.5 | " | 28 | [C]8 " | 26 | 8 | 34 | 12.8 | 0-04 | 0-51 | 0-16 | 1-19 | 1-41 | 1-52 | 0-50 | 1-29 | 0-39 | 0-50 | 0-54 | 0-40 | 0-44 | 0-25 | 3-30 | 4-08 | 4-18 | 3-02 | 3-45 | |||
| 845-859 | 37.5 | " | 28 | [C]8 " | 27 | 9 | 36 | 5.6 | 0-07 | 0-39 | 0-19 | 1-24 | 1-08 | 1-10 | 1-20 | 0-45 | 0-15 | 0-15 | 0-37 | 0-48 | 3-55 | 3-09 | 3-11 | 3-43 | ||||||
| 860-899 | 100.0 | " | 28 | [C]8 " | 24 | 8 | 33 | 16.5 | 0-02 | 0-39 | 0-13 | 1-00 | 1-05 | 1-13 | 1-04 | 0-59 | 0-32 | 0-49 | 0-52 | 0-07 | 2-58 | 2-36 | 3-01 | 2-55 | ||||||
| 900-935 | 90.0 | " | 28 | [C]1 door | 25 | 7 | 32 | 11.5 | 0-03 | 0-29 | 0-14 | 0-47 | 1-13 | 0-52 | 1-10 | 0-52 | 0-39 | 0-43 | 0-32 | 0-20 | 0-38 | 0-04 | 2-18 | 2-43 | 2-11 | 2-17 | 2-17 | |||
| 936-963 | 70.5 | " | 28 | [C]1 " | 25 | 8 | 33 | 5.9 | 0-03 | 0-19 | 0-15 | 0-59 | 0-47 | 0-55 | 0-56 | 0-34 | 0-16 | 0-41 | 0-32 | 0-37 | 2-44 | 2-14 | 2-47 | 2-39 | ||||||
| 964-1,003 | 100.0 | " | 28 | [C]1 " | 25 | 10 | 35 | 8.1 | 0-03 | 0-27 | 0-10 | 0-51 | 0-52 | 1-05 | 0-53 | 0-32 | 0-45 | 0-37 | 0-35 | 0-16 | 2-16 | 2-30 | 2-35 | 2-21 | ||||||
| 1,004-1,060 | 142.5 | " | 28 | [C]1 " | 26 | 10 | 36 | 8.7 | 0-03 | 0-30 | 0-15 | 1-01 | 1-09 | 1-05 | 0-45 | 1-03 | 0-54 | 0-37 | 0-49 | 0-40 | 0-49 | 0-24 | 3-04 | 2-55 | 3-03 | 2-34 | 3-01 | |||
| 1,061-1,110 | 125.0 | " | 28 | [C]1 " | 37 | 10 | 47 | 6.2 | 0-03 | 0-19 | 0-10 | 0-42 | 0-49 | 0-54 | 0-45 | 0-45 | 0-24 | 0-26 | 0-39 | 0-25 | 0-27 | 0-00 | 1-35 | 1-44 | 2-02 | 1-39 | 1-41 | |||
| 1,111-1,238 | 320.0 | " | 28 | [C]1 " | 30 | 9 | 39 | 15.6 | 0-02 | 0-38 | 0-16 | 0-48 | 1-06 | 1-04 | 1-23 | 0-56 | 0-36 | 0-34 | 0-57 | 1-12 | 0-41 | 0-02 | 2-20 | 2-36 | 2-57 | 3-31 | 2-33 | |||
| 1,239-1,312 | 185.0 | " | 28 | 39 | 9 | 38 | 13.0 | 0-03 | 0-36 | 0-18 | 1-04 | 1-01 | 1-02 | 1-15 | 1-07 | 0-39 | 0-43 | 1-12 | 0-59 | 0-50 | 0-10 | 2-47 | 2-48 | 3-18 | 3-18 | 3-01 | ||||
| 626-1,312 | 1,717.5 | " | 28 | 35 | 8 | 33 | 10.6 | 0-04 | 0-42 | 0-14 | 1-06 | 1-15 | 1-16 | 1-18 | 1-10 | 0-45 | 0-40 | 0-52 | 0-54 | 0-47 | 0-16 | 3-03 | 3-07 | 3-20 | 3-24 | 3-09 | ||||
| All | 171-1,312 | 2,855.0 | 28 | 23 | 6 | 29 | 10.2 | 0-07 | 1-15 | [Z] | 2-09 | 2-13 | 2-21 | 2-20 | 2-13 | [A] | 0-15 | 3-39 | 3-43 | 3-51 | 3-50 | 3-43 | ||||||||
| 28-1,312 | 3,212.5 | 26 | 21 | 5 | 26 | 14.1 | 0-10 | 2-28 | [Z] | 2-18 | [A] | 0-15 | 5-01 | |||||||||||||||||
SUMMARY
| Weight of iron. | Section between rings. | Description. | Ave. No. of Men in Gang. | Average No. of cubic yards per ring. | Time mucking, per cubic yard. | Average Time per Ring. | Unavoidable Delays (not Included in Average Time per Ring). | |||||||||||
|---|---|---|---|---|---|---|---|---|---|---|---|---|---|---|---|---|---|---|
| Length in feet. | Material. | Ave. air Pressure. | Method of Excavation. | Shield. | Drilling. | Grouting. | Air Trans. | Total. | Shoving and mucking. [Z] | Erection.[A] | Lost time. | Total. | Items. | Time, hrs. min. | ||||
| Ordinary. | 28-42 | 37.5 | Rock | 12 | [B]Breast | 13 | 4 | 1 | 1 | 19 | 48.7 | 0-25 | 20-33 | 4-21 | 0-12 | 25-06 | First bulkhead | 80-00 |
| 43-58 | 40.0 | Rock and gravel | 12 | " | 19 | 2 | 2 | 2 | 25 | 44.2 | 0-46 | 33-44 | 4-44 | 1-15 | 39-43 | Second bulkhead | 156-00 | |
| 59-153 | 237.5 | Gravel and sand | 16 | " | 25 | 1 | 4 | 30 | 39.0 | 0-12 | 8-06 | 2-23 | 0-30 | 10-59 | Grouting rock sections | 280-00 | ||
| 154-170 | 42.5 | Sand or silt, with piles | 18 | " | 26 | 1 | 5 | 32 | 41.6 | 0-10 | 7-10 | 1-59 | 0-0 | 9-09 | Blow-outs | 222-00 | ||
| 171-236 | 165.0 | Silt with piles | 22 | " | 22 | 1 | 3 | 26 | 42.6 | 0-10 | 7-23 | 2-35 | 0-05 | 10-03 | Shield repairs | 326-40 | ||
| 237-259 | 57.5 | Silt | 25 | [C]1 door | 18 | 1 | 3 | 22 | 13.8 | 0-11 | 2-29 | 2-32 | 0-20 | 5-21 | Horz. timbers | 69-30 | ||
| 260-625 | 915.0 | " | 27 | 1 " | 18 | 4 | 22 | 3.6 | 0-06 | 0-40 | 2-39 | 0-14 | 3-33 | Total | 1,134-10 | |||
| 28-625 | 1,495.0 | 25 | 19 | .8 | 0.8 | 3.4 | 24 | 17.8 | 0-14 | 4-14 | 2-41 | 0-16 | 7-11 | Per ring | 0-53 | |||
| Heavy. | 626-1,312 | 1,717.5 | Silt | 28 | 25 | 8 | 33 | 10.6 | 0-4 | 0-56 | 1-57 | 0-16 | 3-09 | |||||
| All. | 28-1,312 | 3,212.5 | 26 | 21 | 5 | 26 | 14.1 | 0-10 | 2-28 | 2-18 | 0-15 | 5-01 | ||||||
[Z] Including time for jacks.
[A] Including bolting time.
[B] Excavating ahead of shield.
[C] Shoving shield into silt with ... doors open.
The average time taken for each operation at all the working faces is given in Table 28. The work has been subdivided into the different kinds of ground encountered.
The progress, as shown by the amount of work done each month by each shield, is given in Table 29.
TABLE 28. —Shield-Driven Tunnel Work.—Total Number of Rings Erected and Shifts Worked by All Four Shields in Contracts Gy-West and Gj, and the Average Size of Gang, Amount of Excavation and Time Taken per Ring for the Various Operations Involved in Building Tunnel in Each of the Several Kinds of Ground Encountered; Also the Extent and Nature of All the Unavoidable Delays.
| Weight of iron. | Description of Material. | Total No. of rings. | Total No. of feet. | Total number of 8-hour shifts. | Average air pressure. | Ave. No. of Men in Gang. | Cu. yd. per ring. | Time per cu. yd. | Average Time per Ring. | Ave. Unavoidable Delay per Working Face. | ||||||||
|---|---|---|---|---|---|---|---|---|---|---|---|---|---|---|---|---|---|---|
| Shield. | Drilling. | Grouting. | Air trans. | Total. | Shoving and mucking. | Erecting. | Lost time. | Total. | Items not included in previous figures. | Time. | ||||||||
| Unit. | Unit. | Hrs. Min. | Hrs. Min. | Hrs. Min. | Hrs. Min. | Ave. unit. | ||||||||||||
| Unit. | Unit. | Unit. | Unit. | Unit. | K | L | M | Hrs. Min. | ||||||||||
| Ordinary | Rock. | 165 | 412.5 | 597 | 16 | 18 | 9 | 0.25 | 1 | 28 | 51 | 0-27 | 25 15 | 3 41 | 0 02 | 28 58 | 1st Bulkhead | 136 00 |
| Rock and earth and rock and gravel. | 177 | 442.5 | 500 | 14 | 22 | 5 | 0.3 | 2 | 30 | 45 | 0-26 | 19 31 | 2 55 | 0 11 | 22 37 | 2d " | 147 54 | |
| Sand and gravel (unobstructed), NJ | 188 | 470.0 | 241 | 13 | 24 | 0.6 | 3 | 27 | 39 | 0-12 | 7 31 | 2 24 | 0 20 | 10 15 | Grouting | 246 00 | ||
| Sand and silt (with piles.) | 171 | 427.5 | 199 | 22 | 23 | 1.0 | 3 | 27 | 43 | 0-09 | 6 46 | 2 24 | 0 09 | 9 19 | Blow-outs | 91 11 | ||
| Silt under R. R. tracks, NY | 396 | 990.0 | 355 | 19 | 27 | 3 | 30 | 42 | 0-06 | 4 09 | 2 51 | 0 10 | 7 10 | Miscellaneous | 230 33 | |||
| Rip-rap and silt under bulkhead. | 77 | 192.5 | 193 | 23 | 26 | 4 | 30 | 43 | 0-21 | 14 47 | 3 41 | 1 34 | 20 02 | Total | 851 38 | |||
| Total mixed and difficult ground. | 1,174 | 2,935.0 | 2,085 | 17 | 22 | 4 | 0.3 | 3 | 29 | 43 | 0-18 | 11 02 | 2 54 | 0 16 | 14 12 | |||
| Silt--ordinary iron | 1,302 | 3,255.0 | 676 | 25 | 22 | 4 | 26 | 12 | 0-07 | 1 20 | 2 35 | 0 14 | 4 12 | |||||
| Heavy | Silt--heavy iron. | 2,209 | 5,522.5 | 791 | 26 | 25 | 8 | 33 | 12 | 0-05 | 0 58 | 1 44 | 0 10 | 2 52 | ||||
| Silt--ord and heavy iron under river. | 3,511 | 8,777.5 | 1,467 | 26 | 24 | 6 | 30 | 12 | 0-06 | 1 09 | 2 05 | 0 12 | 3 26 | |||||
| Grand total. | 4,685 | 11,712.5 | 3,552 | 21 | 23 | 2 | 0.2 | 4 | 29 | 20 | 0-11 | 3 33 | 2 15 | 0 13 | 6 01 | |||
Average delay per ring—0 hrs. 44 min.
Average rings built by one shield = 1,146¼.
| Average time per ring. | 6 hr 01 min |
| Delays. | 44 min |
| ————— | |
| Total time per ring. | 6 hr 45 min |
Note.—The "unavoidable delays" included in this table do not embrace the periods during which the work was at complete or partial standstill due to experiments and observations, shortage of iron due to change of design, and holidays.
K-Including time for jacks.
L-Including time spent by the whole gang on bolting; in addition to this
there was a small gang which spent its whole time bolting.
M-Chiefly due to breakdowns of hydraulic lines and erector.
Air Pressure.—The air pressure varied from 17 to 37 lb. Behind the river line it averaged 17 lb. and under the river 26 lb. Behind the river lines the pressure was generally kept about equal to the water head at the crown, except where at Weehawken, as previously described, this was impossible.
In the silt the pressure was much lower than the hydrostatic head at the crown, but if it became necessary to make an excavation ahead of the shield, for example at the junction of the shields, the air pressure required was about equal to the weight of the overlying material, namely, the water and the silt, as the silt, which weighed from [Pg 268] 97 to 106 lb. per cu. ft. and averaged 100 lb. per cu. ft., acted like a fluid.
TABLE 29.— Monthly Progress of Shield-Driven Tunnel Work.
| Month | North Manhattan. | South Manhattan. | North Weehawken. | South Weehawken. | Average progress per shield lin. ft. per month. | ||||||||||||
|---|---|---|---|---|---|---|---|---|---|---|---|---|---|---|---|---|---|
| Number of rings erected. | Station of leading ring. | Lin. ft. for month. | Number of rings erected. | Station of leading ring. | Lin. ft. for month. | Number of rings erected. | Station of leading ring. | Lin. ft. for month. | Number of rings erected. | Station of leading ring. | Lin. ft. for month. | ||||||
| For month. | To date. | For month. | To date. | For month. | To date. | For month. | To date. | ||||||||||
| 1905 | |||||||||||||||||
| May | 26 | 26 | 200 + 83.7 | 63.7 | 15.9 | ||||||||||||
| June | 26 | 52 | 201 + 49.0 | 65.3 | 24 | 24 | 260 + 76.6 | 59.3 | 12 | 12 | 260 + 70.0 | 30.0 | 38.6 | ||||
| July | 28 | 80 | 202 + 19.2 | 70.2 | 12 | 36 | 260 + 46.6 | 30.0 | 15 | 27 | 260 + 32.4 | 37.6 | 34.4 | ||||
| Aug | 26 | 106 | 202 + 84.3 | 65.1 | 15 | 51 | 260 + 09.1 | 37.5 | 16 | 43 | 260 + 07.4 | 25.0 | 31.9 | ||||
| Sept | 21 | 127 | 203 + 36.8 | 52.5 | 31 | 31 | 200 + 96.4 | 76.4 | 1 | 52 | 260 + 06.6 | 2.5 | 18 | 61 | 259 + 47.2 | 60.2 | 47.9 |
| Oct | 25 | 152 | 203 + 99.4 | 63.6 | 45 | 76 | 202 + 09.2 | 112.8 | 10 | 62 | 259 + 81.5 | 25.1 | 20 | 81 | 258 + 97.2 | 50.0 | 62.9 |
| Nov | 31 | 183 | 204 + 76.9 | 77.5 | 31 | 107 | 202 + 86.5 | 77.3 | 29 | 91 | 259 + 09.0 | 72.5 | 39 | 120 | 257 + 99.7 | 97.5 | 81.2 |
| Dec | 59 | 242 | 206 + 24.6 | 147.7 | 34 | 141 | 208 + 71.8 | 85.3 | 46 | 137 | 257 + 94.0 | 115.0 | 77 | 197 | 256 + 07.1 | 192.6 | 135.1 |
| 1906 | |||||||||||||||||
| Jan | 94 | 336 | 208 + 59.8 | 235.2 | 27 | 168 | 304 + 39.4 | 67.6 | 77 | 214 | 256 + 01.4 | 192.6 | 73 | 270 | 254 + 24.6 | 182.5 | 169.4 |
| Feb | 78 | 414 | 210 + 54.9 | 195.1 | 64 | 232 | 205 + 99.6 | 160.2 | 133 | 347 | 252 + 68.6 | 332.8 | 165 | 435 | 250 + 11.7 | 412.9 | 275.2 |
| Mar | 56 | 470 | 211 + 95.2 | 140.3 | 96 | 328 | 208 + 39.9 | 240.3 | 142 | 489 | 249 + 13.3 | 355.3 | 111 | 546 | 247 + 34.0 | 277.7 | 253.4 |
| April | 119 | 589 | 214 + 93.0 | 297.8 | 84 | 412 | 210 + 59.1 | 210.2 | 32 | 521 | 248 + 33.3 | 80.0 | 78 | 624 | 245 + 38.9 | 195.1 | 195.7 |
| May | 129 | 718 | 218 + 15.7 | 322.7 | 70 | 482 | 212 + 25.3 | 165.2 | 121 | 642 | 245 + 30.6 | 302.7 | 2 | 626 | 245 + 33.9 | 5.0 | 198.9 |
| June | 218 | 936 | 232 + 60.9 | 545.2 | 140 | 622 | 215 + 75.5 | 350.2 | 162 | 804 | 241 + 25.3 | 405.3 | 157 | 788 | 241 + 41.1 | 392.8 | 423.4 |
| July | 155 | 1,091 | 227 + 48.5 | 387.6 | 82 | 704 | 217 + 80.7 | 205.2 | 113 | 917 | 238 + 42.4 | 282.9 | 118 | 901 | 238 + 45.9 | 295.2 | 292.7 |
| Aug | 145 | 1,236 | 231 + 11.2 | 362.7 | 134 | 838 | 221 + 15.8 | 335.1 | 138 | 1,055 | 234 + 97.1 | 345.3 | 140 | 1,041 | 234 + 95.8 | 850.1 | 348.3 |
| Sept | 89 | 1,325 | 233 + 34.1 | 222.9 | 168 | 1,006 | 225 + 35.8 | 420.0 | 55 | 1,110 | 233 + 59.5 | 137.6 | 177 | 1,218 | 230 + 52.8 | 443.0 | 305.9 |
| Oct | 105 | 1,111 | 227 + 98.6 | 262.8 | 1 | 1,111 | 233 + 57.0 | 2.5 | 94 | 1,312 | 228 + 16.8 | 236.0 | 125.3 | ||||
| Nov | 7 | 1,118 | 228 + 16.8 | 18.2 | 9 | 1,120 | 233 + 34.1 | 22.9 | 10.3 | ||||||||
A ½-in. air line was taken direct from the working chamber to the recording gauges in the engine-room, which enabled the engine-room force to keep a constant watch on the air conditions below. To avoid undue rise of pressure, a safety valve was set on the air line at each lock, set to blow off if the air pressure rose above that desired. The compressor plant was ample, except, as before described, when passing the gravel section at Weehawken.
Records were kept of the air supply, and it may be said here that the quantity of free air per man per hour was in general between 1,500 and 5,000 cu. ft., though in the open gravel where the escape was great it was for a time as much as 10,000 cu. ft. For more than half the silt period it was kept between 3,000 and 4,000 cu. ft., but when it seemed proved beyond doubt that any quantity more than 2,000 cu. ft. had no beneficial effect on health, no attempt was made to deliver more, and on two separate occasions for two consecutive weeks it ran as low as 1,000 cu. ft. without any increase in the number of cases of bends.
The amount of CO2 in the air was also measured daily, as the specifications called for not more than 1 part of CO2 per 1,000 parts of air. The average ranged between 0.8 and 1.5 parts per 1,000, though in exceptional cases it fell as low as 0.3 and rose to 4.0. The air temperature in the tunnels usually ranged from 55° to 60° Fahr., which was the temperature also of the surrounding silt, though at times, in the earlier parts of the work when grouting extensively in long sections of the tunnel in rock, it varied from 85° to 110° Fahr.
Grouting.—Grout of one part of Portland cement to one part of sand by volume was forced outside the tunnel lining by air pressure through 1½-in. tapped and plugged grout holes formed in each segment for this purpose, wherever the ground was not likely to squeeze in upon the metal lining as soon as this was erected. That is to say, it was used everywhere up to the river line; between river lines it was not used except at the New York bulkhead wall in order to fill voids in the rip-rap, and at the point of junction of the shields where the space between the metal lining and the shield skins outside it was grouted. Cow Bay sand was used, and it had to be screened to remove particles greater than 1/10 in. in diameter, which would choke the valves. [Pg 270] For later grouting work, namely, in the top of the concrete lining inside the metal lining, Rockaway Beach sand was used. This is very fine, and did not need screening; it cost more, but the saving of screening and the non-blocking of valves, etc., resulted in a saving.
The grout was mixed in a machine shown in Fig. 2, Plate XLI, which is a view of the grouting operation.
The grout pipes were not screwed directly into the tapped hole in the segments, but a pipe containing a nipple and valve was screwed into the grout hole and the grout pipe screwed to the pipe. This prevented the waste of grout, enabled the valve to be closed and the grout pipe disconnected, and the pipe to be left in position until the grout had set. In the full rock section, 20 or 30 rings were put in without grouting; then the shield was stopped, the last two or three rings were detached and pulled ahead by the shield, a masonry stop-wall was built around the outside of the last ring left in, and the whole 20 or 30 rings were grouted at one time. In the landward silt and gravel each ring had to be grouted as soon as the shield had left it, in order to avoid the flattening caused by the weight coming on the crown while the sides were as yet unsupported. The grout was prevented from reaching the tail of the shield by plugging up the space with empty cement bags, assisted by segmental boards held against the face of the leading ring by U-shaped clamps, fitting over the front circumferential flange of the ring and the boards, and tightened by wedges. The air pressure varied between 70 and 100 lb. per sq. in. above normal.
The force consisted of one pipe-fitter and one or two laborers employed part of their time. When a considerable length was being grouted at a time, as in the full rock section, many laborers were employed for a short period.
The transportation and disposal will be described under the following headings:
Receipt and Unloading of Materials,
Surface Transportation,
Tunnel Transportation,
Disposal.
[Pg 271]
Receipt and Unloading of Materials.—At the Manhattan Shaft the contractor laid a spur siding into the yard from the freight tracks of the New York Central Railroad, which immediately adjoins the yard on the west. There was also wharfage on the river front about 1,500 ft. away.
At the Weehawken Shaft there were four sidings from the Erie Railroad and one from the West Shore Railroad. Access to the river was gained by a trestle direct from the yard, and Baldwin Avenue adjoined the yard.
All the iron lining arrived by railroad. It was unloaded by derricks, and stacked so that it was convenient for use in the tunnel. The Manhattan derricks were a pair of steel ones with 39-ft. booms, worked by a 30-h.p., 250-volt, electric motor. There was also a stiff-leg derrick with 50-ft. boom, on a platform near the shaft, which was worked by a 40-h.p., 250-volt motor. At Weehawken there were two 45-ft. boom, stiff-leg derricks of 2 tons capacity, one worked by a 42-h.p. Lidgerwood boiler and engine, and the other by a 25-h.p., 250-volt, electric motor. These derricks were set on elevated trestles near the Erie Railroad sidings. There was a 50-ft. stiff-leg derrick with a 70-h.p. Lidgerwood boiler and engine near the cement warehouse on the West Shore Railroad.
The storage area for iron lining was 1,800 sq. ft. at Manhattan and 63,000 sq. ft. at Weehawken; the maximum quantity of lining in storage at any one time was 150 rings at Manhattan and 1,200 rings at Weehawken.
The cement, which was issued and sold by the Company to the contractor, was kept in cement warehouses; that at the New York side was at Eleventh Avenue and 38th Street, or some 1,200 ft. from the shaft, to which it was brought by team; that at Weehawken was adjacent to the shaft, with a 2-ft. gauge track throughout it and directly connected with the shaft elevator.
Surface Transportation.—In the early days the excavation was handled in scale-boxes of 1 cu. yd. capacity which were hoisted up the shafts by a derrick, but, when the iron period began, two-cage elevators were put in at each shaft. They were worked by a single, friction-drum, Lidgerwood, steam hoisting engine of 40 h.p.
All materials of construction were loaded on cars on the surface at the point where they were stored, and hauled on these to the elevators, [Pg 272] sent down the shaft, and taken along the tunnels to the desired point without unloading.
The narrow-gauge railway on the surface and in the tunnel was of 2-ft. gauge with 20-lb. rails. About 70 flat cars and 50 mining cars were used at each shaft. On the surface at Manhattan these were moved by hand, but at Weehawken, where distances were greater, two electric locomotives on the overhead trolley system were used.
Tunnel Transportation.—The mining cars shown in Fig. 19 were of 1¼ cu. yd. capacity. The short wheel base and unbalanced loading caused a good many upsets, but they were compact, easily handled, and could be dumped from either side or end.
The flat cars shown in Fig. 20 were of 3 tons capacity, and could hold two tunnel segments. As the working face was down grade from the shafts, the in-bound cars were run by gravity. For out-bound cars a cable haulage system was used, consisting of double-cylinder, Lidgerwood, single friction-drum, hoisting engines (No. 32) of 6 h.p., with cylinders 5 in. in diameter and 6 in. stroke and drums 10 in. in diameter. These were handily moved from point to point, but, as there was no tail rope, several men had to be used to pull the cable back to the face. After the second air-lock bulkhead walls had been built, a continuous-cable system, worked electrically, was put in each tunnel between the first and second air-locks. [Pg 273]
The engine consisted of an electric motor driving a 3-ft. 6-in. drum hoist around which a ¾-in. steel wire cable passed three times. The cable was led around a sheave, down the tunnel on the right side of the in-bound track, and returned on the left side of the out-bound track. It was then carried around a set of sheaves, where a tension of 1,000 lb. was supplied by a suspended weight which acted on a sheave with a sliding axle on the tension carriage. The cable was supported throughout its length on 8-in. pulleys set in the floor at 50-ft. intervals. All the guide sheaves were 36 in. in diameter.
Each car was attached to the cable by a grip at its side. This was fastened and unfastened by hand, but was automatically released just before reaching the turn in the cable near each lock. This [Pg 274] system could haul without difficulty an unbalanced load of 10 muck cars, spaced 100 ft. apart, up a 2% grade. The cable operated over about 1,000 ft. of tunnel, the motor being placed at the top of the grade. The driving motor was of the semi-armored, 8-pole, series-wound type, rated at 25 h.p., 635 rev. per min., and using direct current at 220 volts. The speed of handling the cars was limited by their having to pass through the air-locks on a single track. As many as 106 cars have been hauled each way in one 8-hour shift.
Disposal.—At Manhattan the tunnel muck was carried from the elevator over the upper level of the yard trestle and dumped into bins on the 33d Street side, whence it was teamed to the public dump at 30th Street and North River. At Weehawken the rock excavation was removed by the Erie Railroad on flat cars on which it was dumped by the tunnel contractor, but all the silt muck was teamed away to some marshy ground where dumping privileges were obtained.
The typical forces employed on transportation were as follows:
Receipt and Unloading of Material: Surface Transportation and Disposal.
At Manhattan Shaft, on 10-hour shifts:
| 2 | Engineers on derricks. | @ | $3.00 | per | day. |
| 2 | Foremen. | " | 3.25 | " | " |
| 15 | Laborers loading and unloading iron. | " | 1.75 | " | " |
| 7 | Laborers on disposal. | " | 1.75 | " | " |
| 6 | Teams. | " | 7.50 | " | " |
At Weehawken Shaft, on 10-hour shifts:
| 3 | Engineers on derricks and locomotives. | @ | $3.00 | per | day. |
| 16 | Laborers loading and unloading iron. | " | 1.75 | " | " |
| 3 | Foremen. | " | 3.50 | " | " |
| 11 | Laborers on disposal. | " | 1.75 | " | " |
| 6 | Teams on disposal. | " | 6.50 | " | " |
Tunnel Transportation (Including Shaft Elevator):
Shaft elevators and to and from the first air-lock on 10-hour shift:
| 2 | Engineers. | @ | $3.00 | per | day. |
| 2 | Signalmen. | " | 2.00 | " | " |
| 1 | Foreman. | " | 3.00 | " | " |
| 12 | Laborers. | " | 1.75 | " | " |
Between first lock and working face, on 8-hour shifts, the force varied:
| From 1 to 3 (average 2) Hoist engineers | @ | $3.00 | per | day. |
| From 0 to 2 (average 1) Lockman | " | 2.75 | " | " |
| From 1 to 2 (average 2) Trackmen | " | 3.00 | " | " |
| From 2 to 7 (average 4) Cablemen (pulling back cable) | " | 3.00 | " | " |
Pumping.—The water was taken out of the invert by a 4-in. blow-pipe which was always kept up to a point near the shield and discharged into the sump near the shaft.
When the air pressure was removed and the blow-pipe device, consequently, was unavailable, small Cameron pumps, driven by compressed air, and having a capacity of about 140 gal. per hour, were used, one being set up wherever it was necessary to keep the invert dry; for example, at points where caulking was in progress.
Lighting.—The tunnels were lighted by electricity, the current being supplied, at a pressure of 250 volts, from the dynamos in the contractor's power-house.
Two 0000 wire cables were used as far as the second air-locks, about 1,650 ft. from the power-house, on each side; and beyond that point, to the junction of the shields (about 1,750 ft.), 00 and 0 wires were used. These cables also carried the current for the cable haulage system. Two rows of 16-c.p. lamps, provided with reflectors, were used in each tunnel; one row was along the side just above the axis, with the lights at about 30-ft. intervals; the other along the crown, with the lamps halfway between the side lamps, also at 30-ft. intervals. At points where work was in progress three groups of 5 lights each were used. The tunnels as a whole were well lighted, and in consequence work of all kinds was much helped.
Period No. 2.—Caulking and Grummettng.—November, 1906, to June, 1907.—After the metal lining had been built completely across the river in both tunnels, the work of making it water-tight was taken up. This consisted in caulking into the joints between the plates a mixture of sal-ammoniac and iron borings which set up into a hard rusty mass, and in taking out each bolt and placing around the shank under the washer at each end a grummet made of yarn [Pg 276] soaked in red lead. These grummets were made by the contractor on the works, and consisted of three or four strands of twisted hemp yarn, known as "lath yarn," making up a rope-like cross-section about ¼ in. in diameter. Usually, one of these under each washer was enough, but in wet gravel, or where bolts were obliquely in the bolt-holes, two were used at each end. After pulling the grummets in, all the nuts were pulled up tight by wrenches about 3 ft. long, with two men on one wrench. Bolts were not passed as tight unless the nut resisted the weight of an average man on a 2½-ft. wrench.
Before putting in the caulking mixture, the joints were carefully scraped out with a special tool, cleaned with cotton waste, and washed with a stream of water. The usual mixture for sides and invert was about 2 lb. of sal-ammoniac and 1 lb. of sulphur to 250 lb. of iron filings or borings. In the arch, 4 lb. of sal-ammoniac and 3 lb. of sulphur to 125 lb. of filings was the mixture. A small hand-hammer was used to drive the caulking tool, but, in the sides and invert, air hammers were used with some advantage. The success of work of this kind depends entirely on the thoroughness with which the mixture is hammered in; and the inspection, which was of an exceedingly monotonous nature, called for the greatest care and watchfulness on the part of the Company's forces, especially in the pocket iron, where each bolt had to be removed, the caulking done at the bottom of the pockets put in, the bolts replaced; and the rest of the pockets filled. The results have been satisfactory, as the leakage under normal air and prior to placing the concrete averaged about 0.14 gal. per lin. ft. of tunnel per 24 hours, which is about 0.0035 gal. per lin. ft. of joint per 24 hours. With each linear foot of joint is included the leakage from 1.27 bolts. Afterward, when the concrete lining was in, the leakage was found to be about 0.05 to 0.06 gal. per lin. ft. of tunnel per 24 hours, which compares favorably with the records of other lined tunnels. The typical gang employed on this work was as follows:
In Pocket Iron:
| 1 | General foreman | @ | $5.00 | per | day. |
| 1 | Mixer | " | 3.00 | " | " |
| 1 | Nipper | " | 3.00 | " | " |
| 5 | Caulkers | " | 3.00 | " | " |
| 10 | Grummeters | " | 3.00 | " | " |
In Pocketless Iron:
| 1 | General foreman | @ | $5.00 | per | day. |
| 1 | Mixer | " | 3.00 | " | " |
| 1 | Nipper | " | 3.00 | " | " |
| 3 | Caulkers | " | 3.00 | " | " |
| 12 | Grummeters | " | 3.00 | " | " |
The average amount of caulking and grummeting done per shift with such a gang was (with pocketless grooves), 348 lin. ft. of joint and 445 bolts grummeted; and in pocket iron: 126 lin. ft. of joint and 160 bolts grummeted.
The caulking and grummeting work was finished in June, 1907, this completing the second period.
Period No. 3.—Experiments, Tests, and Observations.—April, 1907, to April, 1908.—The third period, that of tests and observations in connection with the question of foundations, is dealt with in another paper. It occupied from April, 1907, to November, 1908. The results of the information then gathered was that it was not thought advisable to go on with the foundations.
Period No. 4.—Capping Pile Bores, Sinking Sumps, and Building Cross-Passages.—April, 1908, to November, 1908.—In order to reduce the leakage from the bore segments to the least possible amount before placing the concrete lining, it was decided to remove the plugs and replace them with flat cover-plates; these have been described before, together with the filling of Bore Segments No. 2 with mortar to reduce the leakage around the distance piece.
During this period the turnbuckles to reinforce the broken plates were put in, and the sump sunk at the lowest point of the tunnel. These sumps have been described in a previous part of this paper; they were put down without trouble. As much as possible of the concrete lining was put in before the lining castings were taken into the tunnel, as the space inside was very restricted. The first lining casting was bolted to the flat flanges of the sump segment, the bolts holding the latter to the adjacent segments were removed, and the whole was forced down with two of the old shield jacks, taking a bearing on the tunnel. The two together exerted a pressure of about 150 tons. The plugs in the bottom of the sump segment were taken out, and pipes were put in, through which the silt squeezed up into the tunnel and relieved the pressure on the sump segment. [Pg 278]
If the silt did not flow freely, a water-jet was used. The sump was kept plumb by regulating the jacks. In this way the sump was sunk, adding lining sections one by one, and finally putting on the top segment, which was composed of three pieces.
The time taken to sink one sump was about 4 days, working one 8-hour shift per day, and not counting the time taken to set up the jacks and bracing. The sinking of each section took from 4 to 6 hours. The air pressure was 25 lb. and the hydrostatic head 41 lb. per sq. in. The force was 1 assistant superintendent at $6.00 per day, 1 foreman at $4.50, and 6 laborers at $3.00 per day.
Cross-Passages.—It was during this period that the five cross-passages previously mentioned were built. In the case of those in the rock, careful excavation was needed so as to avoid breaking the iron lining. Drilling was done from both ends, the holes were closely spaced, and about 2 ft. 6 in. deep, and light charges of powder were used. The heading, 5 by 7 ft. in cross-section, was thus excavated in five lengths, with 24 holes to a length, and about 23 lin. ft. of hole per yard. About 5.3 lb. of powder per cu. yd. was used. The sides, top, and bottom were then drilled at a very sharp angle to the face and the excavation was trimmed to the right size. This widening out took about 7½ ft. of hole per cu. yd., and 0.9 lb. of powder.
In the passages in silt the excavation had to be 12 ft. wide and 13 ft. 8 in. high to give enough room inside the timbers. The plates at one end of the passage were first removed. An air pressure of 17 lb. was carried, which was enough to keep the silt from squeezing in and yet left it soft enough to be chopped with a spade.
A top heading, of full width and 6 ft. 8 in. high, was first taken out, and the roof was sheathed with 2-in. boards held by 10 by 10-in. head trees at 3-ft. centers, with 10 by 10-in. side trees. The lower 7 ft. of bench was then taken out, a tight floor of 6 by 6-in. cross-timber was put in, and also longer side trees, the head trees being temporarily held by two longitudinal 10 by 10-in. stringers blocked in place. The bulk of the space between the side trees was filled with 10 by 10-in. posts and blocking. The plates at the other end of the passage were then taken out from the other tunnel.
After the excavation was out, the outer reinforced concrete lining was built. Rough forms were used, as the interior surfaces of the passages were to be rendered with a water-proofing cement. A few [Pg 279] grout pipes were built in, and all voids outside the concrete were grouted. Grouting was also done through the regular grout holes of the metal lining around the openings.
In the case of the most westerly of the cross-passages at Weehawken, which was in badly seamed rock carrying much water, a steel inter-lining, rather smaller than the concrete, was put in. The space between the concrete and the steel was left open, so that water coming through the concrete lining was stopped by the steel plate. This water was led back to the shield chamber in a special drain laid in the bench of the river tunnel and behind the ducts. From the shield chamber the water ran with the rest of the drainage from the Weehawken Land Tunnels to the Weehawken Shaft sump.
Period No. 5.—Placing the Concrete Lining.—November, 1908, to June, 1909.—During the fifth period the concrete lining was put in. This lining was placed in stages, as follows: First, the invert; second, the duct bench; third, the arch; fourth, the ducts; and fifth, the face of the bench. This division can be seen by reference to Fig. 21.
All the work was started on the landward ends and carried toward the middle of the river from both sides. Except where the Weehawken force passed the lowest point of the tunnel, which is at Station 241 or nearly 900 ft. to the west of the middle of the river, all the work was down grade.
Before any concrete was placed, the surface of the iron was cleaned with scrapers and wire brushes, and washed with water. Any leaks in the caulking and grummeting (finished by June, 1907, and therefore all more than 12 months old) were repaired. All the grout hole plugs were examined, and the plugs in any leaking ones were taken out, [Pg 280] smeared with red lead, and replaced. The leakage in the caulking was due to the fact that the tunnel had been settling slightly during the whole 12 months of pile tests, and, therefore, had opened some of the joints. After the caulking had been repaired and the surface thoroughly cleaned, the flanges were covered with neat cement (put on dry or poured on in the form of thick grout) just before the concrete was placed.
Invert Concrete.—The form used for the landward type of concrete, that is, the one with a middle drain, consisted of a frame made of a pair of trussed steel rails on each side of the tunnel and connected at intervals with 6 by 6-in. cross-timbers; two "wing forms" were hung from this frame by adjustable arms. These wings formed the curved sides of the invert, the lip, and the form for the middle drain. The whole form was supported on three wheels, two on the rear end running on a rail laid on the finished concrete, and the third in front attached to the frame by a carriage and running on a rail temporarily laid on the iron lining. The form was braced from the iron lining by 6 by 6-in. blocks.
For the soft-ground type of invert, namely, the one without the middle drain, a form of the same general type was used, except that the form for the middle drain was removed. After the form had been in use for some time, "key pieces" (made of strips of wood about 1 ft. 3 in. in length and 3 by 3 in. in cross-section) were nailed circumferentially on the under side of the wings at 2-ft. intervals. This was done because, at the time, it was not known whether ballasted tracks or some form of rigid concrete track construction would be adopted, and, if the latter, it was desirable not to have the surface smooth.
The concrete was received in cars at the rear end of the form and dumped on a temporary platform. It was then loaded into wheel-barrows on the runways, as shown in Fig. 22. The concrete was thrown from the barrows into the invert, where it was spaded and tamped.
In cases where there was steel-rod reinforcement, the concrete was first brought up to the level of the underside of these rods, which came between the wings; the rods were laid in place, and then more concrete was placed over the rods and brought up to the level of the bottom of the wings. Where there was no reinforcement, the concrete was brought up in one lift. [Pg 281]
After this was finished, the concrete behind the wings was placed, thoroughly spaded and tamped, and, where there were longitudinal reinforcing rods, these were put in at their proper level. Where there were circumferential rods, the 16-ft. rods had already been put in when the lower part of the concrete was placed. As the invert was being finished off, the 8-ft. rods were embedded and tied in position.
The longitudinal rods were held in place at the leading end of each length of arch by the wooden bulkhead, through which holes were drilled in the proper position. At the rear end they were tied to the rods projecting from the previous length. The quantity of water used in mixing the invert concrete needed very nice adjustment; if too wet, the middle would bulge and rise when the weight of the sides came on it; and, if too dry, it would not pack properly between the flanges of the iron lining. The difficulties as to this were often increased by the flow of accumulated leakage water from the tunnel behind on the concrete while it was being put in. To prevent this, a temporary dam of sand bags was always built across the last length of finished invert concrete before beginning a new length. A sump hole, about 4 by 1 ft. and 1 ft. deep, was left every 800 ft. along the tunnel, and a small Cameron pump was put there to pump out the water.
The invert forms were left in place about 12 hours after the pour was finished. The average time taken to fill a length of 30 feet was 7 hours, the form was then left 12 hours, and it took 2 hours to set it up anew. The total time for one length, therefore, was 21 hours, equal to 34 ft. per 24 hours. At one place, a 45-ft. form was used, and this gave an average speed of 45 ft. per 24 hours.
An attempt was made to build the invert concrete without forms (seeing that a rough finish was desired, as previously explained, to form a key for possible sub-track concrete), but it proved a failure.
The typical working force (excluding transport) was as follows:
| 1 | Foreman | @ | $3.25 | per | shift. |
| 2 | Spaders | " | 2.00 | " | " |
| 9 | Laborers | " | 1.75 | " | " |
The average time taken to lay a 30-ft. length of invert was 7 hours; the two spaders remained one hour extra, smoothing off the surface.
For setting the form, the force was:
| 1 | Foreman | @ | $4.50 | per | shift. |
| 5 | Carpenters | " | 3.25 | " | " |
| 6 | Carpenters' helpers | " | 2.25 | " | " |
The average time taken to erect a form was 2 hours, 1 carpenter and 1 helper remaining until the concrete was finished.
Duct Bench Concrete.—The duct bench (as described previously) is the portion of the concrete on which the ducts are laid. The exact height of the steps was found by trial, so as to bring the top of the ducts into the proper position with regard to the top and the face of the bench.
Both kinds of duct bench forms were of the same general type. A drawing of one of them is shown on Plate XLII. The form consisted of a skeleton framework running on wheels on a track at the level of the temporary transportation tracks. The vertical faces of the steps were formed by boards supported from the uprights by adjustable arms. The horizontal surfaces were formed by leveling off the concrete with a shovel at the top of the vertical boards. Where the sheets of expanded metal used for bonding came at a step, the lower edge of the boards forming the back of the step was placed 1 in. above the one forming the front of it; but, when the expanded metal came in the middle of a step, a slot 1 in. wide was left at that point to accommodate it.
A platform was formed on the top of the framework for the form, and on this a car forming a sort of traveling stage was run. There was ample room to maintain traffic on a single track through the form. A photograph of the form is shown in Fig. 1, Plate XLIII.
The concrete, for the most part, was received at the form in ¾-cu. yd. dumping buckets. The buckets were lifted by the rope from a small hoisting engine. This rope passed over a pulley attached to the crown of the tunnel and dumped into the traveling stage on the top of the form. In this the concrete was moved along to the point where it was to be deposited, and there it was thrown out by shovels into the form below. For a portion of the period, while the duct bench concrete was being laid, it was not necessary to maintain a track for traffic through the form and, during that period, the concrete for the lower step was placed from below the form, the concrete being first dumped on a temporary stage at the lower track level.
Owing to the horizontal faces of the steps being uncovered, there was a tendency for the concrete there to rise when concrete was placed in the steps above. For this part of the work, also, it was necessary to see that the concrete was not mixed too wet, for, when that was the case, the concrete in the upper steps was very apt to flow out at the top of the lower one. At the same time, there was the standing objection to the mixture being too dry, namely, the responsibility of getting a sufficient amount of spading and tamping done. Particulars of the exact quantity of water used are given later in describing "Mixing." Fig. 2, Plate XLIII, illustrates the process of laying.
In the section of the tunnel in which there were circumferential reinforcement rods in the duct bench, the rods were in place before the laying commenced, as they had been placed with the invert concrete. The circumferential reinforcing rods in the arch came down into the upper part of the duct bench concrete; these rods were put in position and tied to the iron lining in the crown at the same time as the duct bench concrete was being finished off. Openings for the manholes were left in the duct bench at the regular stationing.
The average time taken to fill a length of 35 ft. was about 6 hours; the form was then left in position for about 8 hours—usually enough to let the concrete set properly—and then moved ahead; it then took about 3 hours to set it up again ready to continue work. The total time for a length, therefore, was about 17 hours, equal to an average progress of about 49 ft. per day. The average force engaged in duct bench concrete (not including transport) was:
| 1 | Foreman | @ | $3.25 | per | day. |
| 2 | Spaders | " | 2.00 | " | " |
| 9 | Laborers | " | 1.75 | " | " |
Arch Concrete.—By far the greater part of the arch work was put in with traveling centers before the face of the bench was built, in which case the whole of the arch was built at once. A short length of arch at each end of the tunnel was built after the face of the bench, in which case the haunches or lower 5 ft. were laid first and the upper part of the arch later.
The first traveling centers were used on the New York side, and were 50 ft. long. The laggings were of 4-in. yellow pine, built up in panels 10 ft. long and 16 in. wide for the sides, and solely longitudinal lagging 5 ft. long for the key.
It was pretty certain that the results to be obtained from forms of such a length would not be satisfactory, and this was pointed out to the contractor, who, however, obtained permission to use them on trial. Grout pipes were built in, as it was not likely that the concrete could be packed tightly into the upper part of the lining.
After about 300 lin. ft. of arch had been built with these forms, a test hole was cut out and large voids were found, and, to confirm this, another hole was cut, and similar conditions observed.
The results were so unsatisfactory that orders were given that the use of longitudinal key lagging should be discontinued, and cross or block lagging used instead. These block laggings were 6 in. in length (in the direction of the tunnel) and 2 ft. in width; at the same time, the system of grout pipes was changed. This will be described later under "Grouting." It was soon found that with block lagging a better job could be made of packing the concrete up into the keys, but the time taken to "key up" a 50-ft. length was so great that the rest of the arch had set by the time the key was finished. Despite a lot of practice, this was the case, even in the unreinforced type. When the reinforcing rods were met, the time for keying up became still greater, and therefore the contractor was directed to shorten the forms to 20-ft. lengths. A typical working force for a 50-ft. length was:
| 1 | Foreman | @ | $3.25 | per | day. |
| 4 | Spaders | " | 2.00 | " | " |
| 12 | Laborers | " | 1.75 | " | " |
Details of the 20-ft. forms are shown on Plate XLIV. The lower 4 ft. of lagging was built on swinging arms, which could be loosened to allow the centers to be dropped and moved ahead. The rest of the lagging was built up in panels 10 ft. long and 1 ft. 4 in. high. The ribs rested on a longitudinal timber on each side; these were blocked up from the top step of the duct bench concrete. When the form was set, or when it was released, it was moved ahead on rollers placed under it.
The concrete was received at the form in ¾-cu. yd. dumping buckets; from the flat cars on which they were run, these were hoisted to the level of the lower platform of the arch form. At this level the concrete was dumped on a traveling car or stage, and moved in that to the point on the form where it was to be placed. For the lower part of the arch, the concrete was thrown directly into the form from this traveling stage, but, for the upper part, it was first thrown on the upper platform of the arch. The hoisting was done by a small Lidgerwood compressed-air hoister, and set up on an overhead platform across the tunnel. The pulley over which the cable from the hoister passed was attached to the iron lining near one end of the form, and the traveling stage ran back from the arch form on a trailer, shown on Plate XLIV. When it was impossible to hang a pulley—owing to the concrete arch having been built at the point where the trailer stood—an A-frame was built on the trailer, and the pulley was attached to that.
In laying the lower part of the arch, about 1 ft. of lagging (including the swinging arms) was first set, the other panels being pulled up toward the top of the arch. When that was filled, the next panel above was lowered into place, and the work continued. As the concrete rose toward the key, it was packed up to a radial surface, so that the arch would not be unduly weakened if the sides set before the key was placed. All the time, great care was taken to see that the concrete was carefully packed into the segments of the metal lining. The quantity of water used in the concrete was carefully regulated, more being used in the lower than in the upper parts of the arch.
In places where there were no reinforcing rods, the width of the concrete key was the length of the block lagging, namely, 2 ft. Where there was circumferential reinforcement, the key had to be more than 5 ft. wide, in order to take the 5-ft. closure rods used in the key. This naturally increased the time of keying very much. On the places where the 5-ft. longitudinal laggings were used, it was impossible to fill the flanges of the metal lining much higher than their undersides.
As the concrete used in the key had to be much drier than that used elsewhere, it was not easy to get a good surface. This trouble was overcome by putting a thin layer of mortar on the laggings just before the concrete was put in.
The overhead conductor pockets were a great hindrance to the placing of the key concrete, especially where the iron was below true grade. Whenever an especially troublesome one was met, a special grout pipe was put in to fill up unavoidable holes by grouting after the concrete had set. All the circumferential reinforcing rods were bent in the tunnel by bending them around a curved form of less diameter than the required bend. This generally left them all right in the middle of their length, but with their end portions too straight; in such cases the ends were bent again. All rods were compared with a template before being passed for use.
The arch forms were left up for 48 hours after keying was finished. Levels taken after striking the forms showed that no appreciable settlement occurred. An average gang for a 20-ft. length of arch was:
| 1 | Foreman | @ | $3.25 | per | shift. |
| 2 | Spaders | " | 2.00 | " | " |
| 10 | Laborers | " | 1.75 | " | " |
Table 30 shows the progress attained under various conditions.
Whenever the face of the bench concrete was constructed before the arch, the latter was built in two separate portions, that is, the bottom 5 ft., or "haunches" of the arch, as they were termed, were built on each side and the rest of the arch later. This involved the use of two separate sets of forms, namely, for the haunch and for the arch. Not very much arch was built in this way, and, as the methods were in principle precisely the same as those used when all the arch was built in one operation, no detailed description is needed.
No provision was made in the contract for grouting the concrete arch, but it soon became evident that by ordinary methods the top part of the concrete could not be packed solid against the iron segments, especially in the keys. As it was imperative to have the arch perfectly solid, it was determined to fill these unavoidable gaps with a 1:1 Portland cement grout, at the same time making every effort to reduce the spaces to a minimum. This made it necessary to build grout pipes into the concrete as it was put in.
The first type of grout pipe arrangement is shown as Type A, in Fig. 23. This was used with the longitudinal key laggings; when this method was found to be no good, and cross-laggings were used, the system shown as Type B, in Fig. 23, was adopted, in which vents were provided to let out the air during grouting. The expense of these pipes was high, and the contractor obtained permission to use sheet-iron tubes, which, however, were found to be unsuitable, so that the screwed pipes were used again. The contractor next obtained permission to try dispensing altogether with the vent pipes, and so Type C, in Fig. 23 was evolved. This, of course, was found to be worse than any of the other systems, as the imprisoned air made it impossible to force grout in. Several other modifications were made, and are shown in Fig. 23.
It was then decided to devise as perfect a system as possible, without allowing the question of cost to be the ruling factor, and to use that system throughout. In this system, shown as Type S, in Fig. 23, most of the vent pipes were contained in the concrete, and their size was independent of the thickness of the arch, so that they were easily fixed in position and not subject to disturbance while placing the concrete. This system was used for about 80% of the total length of the tunnel, and proved entirely satisfactory. The machine used for grouting was the same as that used for grouting outside the metal lining.
TABLE 30.— Average Time Taken for Various Operations Connected with Building Concrete Arches in Subaqueous Tunnels.
| Average time in hours, form stood after filing. | Type of reinforcement. | Length of section, in feet. | Time, in hours, moving and erecting forms. | Time, in hours, placing concrete in Arch. | Time, in hours, placing concrete in key. | Time, in hours, placing concrete in key and arch. | Total Time in hours, for moving, erecting, and filling. | Total time in hours, per linear foot, for moving, erecting, and filling. | Remarks. | |
|---|---|---|---|---|---|---|---|---|---|---|
| 70 | A day work | 50 | 20 | 15 | 15.40 | 30.40 | 50.40 | 1.01 | ||
| Moving | Erecting | |||||||||
| A day work | 20 | 2 | 3 | 8.30 | 2.40 | 11.10 | 16.10 | 0.80 | ||
| 53 | B day work | 20 | 2 | 3 | 10.40 | 11.20 | 22.10 | 27.00 | 1.35 | Includes placing rods |
| 58 | C day work | 20 | 2 | 3 | 11.00 | 7.20 | 18.20 | 23.20 | 1.16 | do. |
| 58 | D day work | 20 | 2 | 3 | 9.30 | 4.35 | 14.25 | 19.25 | 0.91 | do. |
| 53 | D day work | 20 | 2 | 3 | 6.15 | 2.05 | 8.20 | 13.20 | 0.05 | do. |
| 53 | Sub-Type No. 1 piece work | 20 | 2 | 3 | 6.00 | 3.00 | 9.00 | 14.00 | 0.70 | do. |
The only compressed air available was the high-pressure supply, at about 90 lb.; a reducing valve, to lower this pressure to 30 lb. was used between the air line and the grouting machine. This was thought to be about as high a pressure as the green concrete arch would stand, and, even as it was, at one point a section about 2 ft. by 1 ft. was blown out.
A rough traveling stage resting on the bottom step of the duct bench concrete was used as a working platform. In the earlier stages of the work the grouting was carried on in a rather haphazard manner, but, when the last system of grout and vent pipes was adopted; the work was undertaken systematically, and was carried out as follows:
Two 20-ft. lengths of arch were grouted at one time, and, in order to prevent the grout from flowing along the arch and blocking the pipes in the next lengths, a bulkhead of plaster was made at the end of every second length to confine the grout.
After a section had been grouted, test holes were drilled every 50 ft. along the crown to see that all the voids were filled; if not, holes were drilled in the arch, both for grouting and for vents, and the faulty section was re-grouted. An average of ¾ bbl. of cement and an equal quantity of sand was used per linear foot of tunnel. The average amount put in by one machine per shift was 15 bbl., and therefore the average length of tunnel grouted per machine per shift was 20 ft. The typical working force was:
| 1 | Foreman | @ | $3.75 | per | shift |
| 1 | Laborer running grout machine | " | 2.00 | " | " |
| 2 | Laborers handling cement and sand. | " | 1.75 | " | " |
| 1 | Laborer tending valve and grout pipes | " | 1.75 | " | " |
After the grouting was finished, the arches were rubbed over with wire brushes to take off discoloration, and rough places at the junctions of adjoining lengths or left by the block laggings were bush-hammered. [Pg 291]
Face of Bench Concrete.—The form used for this portion of the work is shown on Plate XLV. It consisted of a central framework traveling on wheels, and, from the framework, two vertical forms were suspended, one on each side, and equal in height to the whole height of the bench. Adjusting screws were fitted at intervals both at top and bottom, and thus the position of the face forms could be adjusted accurately. The face forms were built very carefully of 3-in. tongued and grooved yellow pine, and one 50-ft. form was used for 3,000 ft. of tunnel without having the face renewed. Great care was taken to set these forms true to line and grade, as the appearance of the tunnel would have been ruined by any irregularity. Joints between successive lengths were finished with a V-groove.
The concrete was received at the form in dumping buckets; these were hoisted to the top of the form by a Lidgerwood hoister fixed to a trailer. The concrete was placed in the form by shoveling it from the traveling stage down chutes fitted to its side. The quantity of water to be used in the mixture needed careful regulation. The first few batches in the bottom had to be very wet, and were made with less stone than the upper portion, in order that the concrete would pack solidly around the niche box forms and other awkward corners.
The forms for the ladders and refuge niches were fastened to the face of the bench forms by bolts which could be loosened before the main form was moved ahead, and in this way the ladder and niche forms were left in position for some time after the main form was removed.
At first the forms were kept in place for 36 hours after finishing a length, but, after a little experience, 24 hours was found to be enough. In the summer, when the rise of temperature quickened the set, the time was brought down to 18 hours. The average time taken for a 50-ft. length was:
| Laying concrete | 4½ | hours. |
| Interval for setting | 18 | " |
| Moving forms ahead and resetting | 5 | " |
| ——— | ||
| Total | 27½ | hours. |
The typical working gang was:
Laying Concrete.
| 1 | Foreman | @ | $3.25 | per | shift. |
| 2 | Spaders | " | 2.00 | " | " |
| 8 | Laborers | " | 1.75 | " | " |
Moving and Setting Forms.
| 1 | Foreman | @ | $4.00 | per shift. |
| 10 | Laborers | @ | 1.75 | per shift. |
After the forms were removed, any rough places at the lower edge, where the concrete joins the "lip," were bush-hammered; no other cleaning work was done.
Duct Laying and Rodding.—The design and location of the ducts have already been described. It will have been seen that the duct-bench concrete was laid in steps, on which the ducts were laid, hence the maintenance of the grade and line in the ducts was an easy matter. The only complication was the expanded metal bonds, which were bent up out of the way of the arch forms and straightened out again after the arch forms had passed. The materials, such as ducts, sand, and cement, were brought into the tunnel by the regular transportation gang. The mortar was mixed in a wooden trough about 10 ft. long, 2 ft. 6 in. wide and 8 in. deep.
After the single-way ducts had been laid, all the joints were plastered with mortar, in order to prevent any foreign substance from entering the ducts. This was not necessary with the multiple duct, as the joints were wrapped with cotton duck. The ducts were laid on a laying mandrel, and, as soon as possible after the concrete was laid around a set of ducts, they were "rodded" with a rodding mandrel. Not many obstructions were met, and these were usually some stray laying mandrel which had been left in by mistake, or collections of mortar where the plastering of the single-way joints had been defective.
In the 657,000 duct ft. of conduit in the river tunnels only eight serious obstructions were met. That the work was of exceptionally high quality is shown by the fact that a heavy 3-in. lead cable has been passed through from manhole to manhole (450 ft.) in 6 min., and the company, engaged to lay the cables in these ducts, broke all its previous records for laying, not only for tunnel work, but also in the open.
Fig. 1, Plate XXXV, shows a collection of the tools and arrangements used in laying and rodding ducts. The typical working force was:
| Laying Multiple Ducts. | |||||
| 1 | Foreman | @ | $3.50 | per | shift. |
| 9 | Laborers | " | 1.75 | " | " |
| Laying Single-Way Ducts. | |||||
| 1 | Foreman | @ | $3.50 | per | shift. |
| 8 | Laborers | " | 1.75 | " | " |
| Rodding Multiple Ducts. | |||||
| 1 | Foreman | @ | $3.50 | per | shift. |
| 5 | Laborers | " | 1.75 | " | " |
| Rodding Single-Way Ducts. | |||||
| 1 | Foreman | @ | $3.50 | per | shift. |
| 5 | Laborers | " | 1.75 | " | " |
| The average progress per 10-hour shift with such gangs was: | |||
| Laying multiple ducts | 4,000 | duct | ft. |
| Laying single-way ducts | 1,745 | " | " |
| Rodding multiple ducts | 4,040 | " | " |
| Rodding single-way ducts | 2,532 | " | " |
No detailed description need be given of the concreting of the cross-passages, pump chambers, sumps, and other small details, the design of which has been previously shown. The concrete was finished on June 1st, 1909.
Period No. 6.—Final Cleaning Up.—June, 1909, to November, 1909.—As soon as all the concrete was finished, the work of cleaning up the invert was begun. A large quantity of débris littered the tunnels, and it was economical to remove it as quickly as possible. The remaining forms were first removed, and hoisting engines, supported on cross-timber laid across the benches, were set up in the middle of the tunnel at about 500-ft. intervals.
Work was carried on day and night, and about 169 ft. of single tunnel was cleared per 10-hour shift. Work was begun on May 28th, and finished on July 15th, 1909. For part of the time it was carried on at two points in each tunnel, working toward the two shafts, but when the work in the Weehawken Shaft, which was being done at the same time, blocked egress from that point, all material was sent out by the Manhattan Shaft.
The total quantity of material removed was 5,350 cu. yd., or about 0.44 cu. yd. per lin. ft. of tunnel. The average force per shift was:
In Tunnel.
| 3 | Foremen | @ | $3.25 | per | shift |
| 1 | Hoist engineer | " | 3.00 | " | " |
| 1 | Signalman | " | 2.00 | " | " |
| 38 | Laborers | " | 1.75 | " | " |
On the Surface.
| 1 | Foreman | @ | $3.25 | per | shift |
| 1 | Hoist engineer | " | 3.00 | " | " |
| 1 | Signalman | " | 2.00 | " | " |
| 12 | Laborers | " | 1.75 | " | " |
After the cleaning out had been done, the contractor's main work was finished. However, quite a considerable force was employed, up to November, 1909, in doing various incidental jobs, such as the installation of permanent ventilation conduits and nozzles at the intercepting arch near the Manhattan Shaft, the erection of a head-house over the Manhattan Shaft, and collecting and putting in order all the miscellaneous portable plant, which was either sold or returned to store, sorting all waste materials, such as lumber, piping, and scraps of all kinds, and, in general, restoring the sites of the working yards to their original condition.
The plant used in mixing the concrete for the land tunnels was pulled down and re-erected before the concrete work in the river tunnels was begun. At the New York shaft two new bins for sand and stone were built, bringing the total capacity up to 950 cu. yd. Two No. 6 Ransome mixers, driven electrically by 30-h.p. General Electric motors, using current from the contractor's generators, were set up on a special platform in the intercepting arch.
At Manhattan the sand and stone were received from the bins in chutes at a small hopper built on the permanent upper platform of the intercepting arch. Bottom-dumping cars, divided by a partition into two portions, arranged to hold the proper quantities of sand and stone for a 4-bag batch of concrete, were run on a track on this upper platform, filled with the proper quantities of sand and stone, and then run back and dumped into the hoppers of the mixer. After mixing, the batch was run down chutes into the tunnel cars standing on the track below. The water was brought in pipes from the public supply. It was measured in barrels by a graduated scale within the barrels. The water was not put into the mixer until the sand and stone had all run out of the mixer hopper. The mixture was revolved for about 1½ min., or about 20 complete revolutions.
At Weehawken Shaft the mixing plant was entirely rebuilt. Four [Pg 295] large bins, two for sand and two for stone, were built in the shaft. Together, they held 430 cu. yd. of stone and 400 cu. yd. of sand. The sand and stone were dumped directly into the bins from the cars on the trestle which ran from the wharf to the shaft. The materials were run through chutes directly from the bins to the hoppers of the mixers, where they were measured. Two No. 6 Ransome mixers, electrically driven, were used here, as at New York, and, as there, the water was led into measuring tanks before being let into the mixer.
The quantity of water used in the various parts of the concrete cross-section, for a 4-bag batch consisting of 1 bbl. (380 lb.) of cement, 8.75 cu. ft. of sand, and 17.5 cu. ft. of stone, is given in Table 31.
TABLE 31.— Quantity of Water per 4-Bag Batch of Concrete, in U.S. Gallons.
| Portion of cross-section. | Maximum. | Minimum. | Average. |
|---|---|---|---|
| Invert | 40 | 20 | 26 |
| Duct bench | 36 | 21 | 27 |
| Arch (excluding key) | 37 | 19 | 25 |
| Key of arch | 27 | 15 | 20 |
| Face of bench | 31 | 22 | 27 |
The maximum quantities were used when the stone was dry and contained more than the usual proportion of fine material, the minimum quantity when the sand was wet after rain.
The resulting volumes of one batch, for various kinds of stone, are given in Table 32.
TABLE 32.— Volume of Concrete per Batch, with Various Kinds of Stone.
| Mixture. | Description of Stone. | Resulting volume per barrel of cement, in cubic yards. | Remarks. | |
|---|---|---|---|---|
| Passed screen. | Retained on screen. | |||
| 1 : 2½ : 5 | 1½-in. | ⅜-in. | 0.815 | Measured in air |
| 1 : 2½ : 5 | 2½-in. | Run of crusher. | 0.827 | Measured in air. |
| 1 : 2½ : 5 | General average. | 0.808[D] | Measured from plan. | |
| 1 : 2½ : 5 | 2-in. | 1½-in. | 0.768[E] | Measured from plan. |
[D] Average for whole of River Tunnel section.
[E] Average from 7,400 cu. yd. in Land Tunnel section.
The sand used was practically the same for the whole of the river tunnel section, and was supposed to be equal to "Cow Bay" sand. The result of the mechanical analysis of the sand is shown on Plate XLVI. The stone was all trap rock. For the early part of the work it consisted of stone which would pass a 2-in. ring and be retained on a 1½-in. ring, in fact, the same as used for the land tunnels. This was found to be too coarse, and for a time it was mixed with an equal quantity of fine gravel or fine crushed stone. As soon as it could be arranged, run-of-crusher stone was used, everything larger than 2½ in. being excluded. About three-quarters of the river tunnel concrete was put in with run-of-crusher stone. The force was:
At Manhattan.
| 1 | Foreman | @ | $3.00 | per | shift |
| 4 | Men on sand and stone cars | " | 1.75 | " | " |
| 4 | Men handling cement | " | 1.75 | " | " |
| 2 | Men dumping mixers | " | 1.75 | " | " |
At Weehawken.
| 1 | Foreman | @ | $3.00 | per | shift |
| 2 | Men hauling cement | " | 1.75 | " | " |
| 2 | Men dumping mixers | " | 1.75 | " | " |
The average quantity of concrete mixed per 10-hour shift was about 117 batches, or about 90 cu. yd. The maximum output of one of the mixers was about 168 batches, or 129 cu. yd. per 10-hour shift.
Surface Transportation.—At Manhattan the stone and sand were received in scows at the wharf on the river front. For the first part of the work, the wharf at 32d Street and North River was used, and while that was in use the material was unloaded from the scows into scale-boxes by a grab-bucket running on an overhead cable, and then teamed to the shaft. For the latter part of the work, the wharf used was at 38th Street and North River, where facilities for unloading were given to the contractor by the Pennsylvania Railroad Company which was the permanent lessee of the piers. The material was unloaded into scale-boxes by a grab-bucket operated by a derrick, and teamed to the shaft. When the scale-boxes arrived at the shaft they were lifted from the trucks by derricks and dumped into the bins. [Pg 297]
At Weehawken all the stone and sand, with the exception of the stone crushed on the work, was received by water at the North slip. Here it was unloaded by a 2-cu. yd. grab-bucket and dumped into 3-cu. yd. side-tipping cars, which were hauled by a small steam locomotive over the trestle to the shaft, where they were dumped directly into the bins.
Before beginning the concrete lining, the 2-ft. gauge railway, which had been used for the surface transportation during the driving of the iron-lined tunnels, was taken up and replaced by a 3-ft. gauge track consisting largely of 30-lb. rails. The cars were 3-cu. yd. side-dumping, with automatic swinging sides. Two steam locomotives which were being stored at Weehawken (part of the plant from another contract), were used for hauling the cars in place of the electric ones used with the 2-ft. gauge railway.
Tunnel Transport.—The track used in the tunnel was of 2-ft. gauge, laid with the 20-lb. rails previously used in driving the iron-lined tunnels. The mining cars (previously mentioned in describing the driving of the iron-lined tunnels) were used for transporting the invert concrete, although, for most of the work, dumping buckets carried on flat cars were used. Several haulage systems were considered for this work, but not one of them was thought to be flexible enough to be used with the constantly changing conditions, and it was eventually decided to move all the cars by hand, because, practically all the work being down grade, the full cars could be run down by gravity and the empty ones pushed back by hand. Two men were allotted to each car, and were able to keep the traffic moving in a manner that would have been perhaps impossible with any system of mechanical haulage. This system was apparently justified by the results, for the whole cost of the tunnel transport, over an average haul of about 2,000 ft., was only about 50 cents per cu. yd., which will be found to compare favorably with mechanical haulage on similar work elsewhere, provided full allowance is made for the use of the plant and power.
Force Employed.—The average force employed on transport, both on the surface and in the tunnel, is shown in Table 33.
During the work, careful records of the actual cost to the contractor of carrying out this work were kept by the Company's forces; these costs include all direct charges, such as labor and materials, and all indirect charges such as head office, plant depreciation, insurance, etc., but do not include the cost of any financing, of which the Company had no information.
TABLE 33.— Average Force per Shift for Transportation in Two Tunnels.
| Location | Grade | Rate | Work in Progress | ||
|---|---|---|---|---|---|
| Two inverts and two duct benches | Two arches, two inverts, and two duct benches | Four arches and one face of bench | |||
| Tunnel | Foreman | $3.00 | 2 | 2 | 2 |
| Laborer | 1.75 | 24 | 28 | 70 | |
| Switchmen | 2.00 | 2 | 2 | ||
| Hoisting engineers | 3.00 | 2 | 4 | 5 | |
| Surface | Foreman | 3.00 | 1 | 1 | 2 |
| Laborers | 1.75 | 8 | 8 | 15 | |
| Teams | 6.50 | 1 | 1 | 2 | |
The field staff may be considered as divisible into five main divisions:
(A).—Construction, including alignment,
(B).—Cost records,
(C).—Testing of cement and other materials of construction,
(D).—Photography,
(E).—Despatch-boat service.
(A).—Construction(Inspection and Alignment) Staff.—A comparatively large staff was maintained by the Company, and to this two causes contributed. In the first place, the contractor maintained no field engineering staff, because, early in the proceedings, it was arranged that the Company would carry out all this work, and thus avoid the overlapping, confusion, and lack of definite responsibility which often ensues when two engineering forces are working over the same ground. Even had the contractor maintained an engineering force, it would have been necessary for the Company to check most of the contractor's work.
In the second place, this work gave rise to a number of special surveys, tests, borings, and observations of various kinds, most of which were kept up as a part of the regular routine work, and this necessitated [Pg 299] a staff. Also, for a whole year, active progressive work was at a standstill while the pile tests were going on.
(B).—Cost Records Staff.—A distinct feature was made of keeping as accurately as possible detailed records of the actual cost to the contractor of carrying out the work. A small staff of clerks, retained solely for this purpose, tabulated and recorded the information furnished by the members of the construction staff. About $12,000, altogether, was spent in salaries in this department, and it may be considered an extremely wise investment, for, not only is the information thus obtained of great value and interest in itself, but it also puts the Company in an excellent position should any claim or discussion arise with the contractor.
(C).—Cement-Testing Department.—As the Company furnished the cement to the contractor, it became incumbent to make careful tests of the quality. A cement-testing laboratory was established at the Manhattan Shaft offices, under the charge of a cement inspector who was furnished with assistants for sampling, shipping, and testing cement. All materials used on the work, such as bricks, sand, stone, water-proofing, etc., were tested here, with the exception of metals, which were under the charge of a metal inspector reporting directly to the head office. This department cost about $10,000 for salaries and $3,000 for apparatus and supplies, or about $13,000, in all.
There were 800,000 bbl. of cement tested, and samples from 2,100,000 brick. A large amount of useful information has resulted from the work of this laboratory.
(D).—Photography.—It was desired to keep a complete photographic record of the progress of the work, and therefore a photographer was appointed, with office room at the Manhattan Shaft. The photographer took all the progress photographs on the work of the North River Division, made photographic reductions of all drawings and plans, made lantern slides of all negatives of a more important nature, and, in addition, during the period of compressed air, analyzed the samples of compressed air, brought into the office for the purpose, for the amount of CO2 present. About $8,000 was spent on this department.
(E).—Despatch-Boat Service.—To provide access to the New Jersey side, a despatch boat was purchased. This boat was at first (June, 1904) chartered, and in May, 1905, was bought outright, and ran on regular schedules, day and night. It continued in the service until [Pg 300] April, 1909, when it was given up, as the tunnels were so far completed that they provided easy access to New Jersey. The cost of the boat (second-hand) was about $3,000. It was then thoroughly overhauled and the cabin remodeled. The monthly cost, when working a 12-hour shift, was $270 for manning, $65 for supplies, and $64 for coal. On two 12-hour shifts, the monthly cost was $533 for manning, $100 for supplies, and $96 for coal. About 100,000 passengers were carried during the boat's period of service, and the total cost was about $37,500.
For the major part of the period embraced by this paper, B. H. M. Hewett, M. Am. Soc. C. E., served as General Resident Engineer, in charge of the Field Work as a whole.
W. L. Brown, M. Am. Soc. C. E., was at first Resident Engineer of the work constructed from the Manhattan Shaft, while H. F. D. Burke, M. Am. Soc. C. E., was Resident Engineer of the work constructed from the Weehawken Shaft. After the meeting of the shields, Mr. Burke left to take up another appointment, and from that time Mr. Brown acted as Resident Engineer.
It may be said, without reflecting in any way on the manufacturers, that the high standard of all the metal materials also testified to the efficient inspection conducted under the direction of Mr. J. C. Naegeley.
It is impossible to close this brief account of these tunnels without recording the invaluable services at all times rendered by the members of the Company's field staff. Where all worked with one common aim it might seem invidious to single out names, but special credit is due to the following Assistant Engineers: Messrs. H. E. Boardman, Assoc. M. Am. Soc. C. E., W. H. Lyon, H. U. Hitchcock, E. R. Peckens, H. J. Wild, Assoc. M. Am. Soc. C. E., J. F. Sullivan, Assoc. M. Am. Soc. C. E., and R. T. Robinson, Assoc. M. Am. Soc. C. E. Mr. C. E. Price was in charge of the cement tests throughout the entire period, and brought to his work not only ability but enthusiasm. Mr. H. D. Bastow was in charge of the photographic work, and Mr. A. L. Heyer of the cost account records, in which he was ably seconded by Mr. A. P. Gehling, who, after Mr. Heyer's departure, finished the records and brought them into their final shape. The organization of the Company's field engineering staff is shown graphically by Fig. 24.
FIELD ORGANIZATION OF THE O'ROURKE ENGINEERING CONSTRUCTION COMPANY FOR THE BUILDING OF THE PENNSYLVANIA RAILROAD TUNNELS INTO NEW YORK CITY—NORTH RIVER DIVISION. Sections Gy East, Gy West Supplementary, Gy West, and Co.
Fig. 24.
Contractor's Organization.—The contracting firm which did the work described in this paper was the O'Rourke Engineering Construction Company, of New York City. The President of this Company was John F. O'Rourke, M. Am. Soc. C. E., the Vice-President was F. J. Gubelman, Assoc. M. Am. Soc. C. E. The General Superintendent was Mr. George B. Fry, assisted by J. F. Sullivan, Assoc. M. Am. Soc. C. E. The duties of General Tunnel Superintendent fell to Mr. Patrick Fitzgerald. The generally pleasant relations existing between the Company and the contractor's forces did much to facilitate its execution.
The organization of the Contractor's field staff is shown on Fig. 25.
PENNSYLVANIA TUNNEL AND TERMINAL RAILROAD COMPANY. NORTH RIVER DIVISION.
Sections Gy East, Gy West Supplementary, Gy West, Gj, and I, i. e., From 10th Avenue, Manhattan, to the Weehawken Shaft, Field Engineering Staff Organization.
In conclusion, the writers cannot forego the pleasure of expressing their deep obligation to Samuel Rea, M. Am. Soc. C. E., as representing the Management of the Company, to the Chief Engineer, Charles M. Jacobs, M. Am. Soc. C. E., and to James Forgie, M. Am. Soc. C. E., Chief Assistant Engineer, for their permission to write this paper, and also to all the members of the field office staff for their great and unfailing assistance in its preparation.